- Tổng quan
- Nội dung
- VB gốc
- Tiếng Anh
- Hiệu lực
- VB liên quan
- Lược đồ
-
Nội dung hợp nhất
Tính năng này chỉ có tại LuatVietnam.vn. Nội dung hợp nhất tổng hợp lại tất cả các quy định còn hiệu lực của văn bản gốc và các văn bản sửa đổi, bổ sung, đính chính... trên một trang. Việc hợp nhất văn bản gốc và những văn bản, Thông tư, Nghị định hướng dẫn khác không làm thay đổi thứ tự điều khoản, nội dung.
Khách hàng chỉ cần xem Nội dung hợp nhất là có thể nắm bắt toàn bộ quy định hiện hành đang áp dụng, cho dù văn bản gốc đã qua nhiều lần chỉnh sửa, bổ sung.
- Tải về
Thông tư 51/2012/TT-BGTVT về bản đồ, sơ đồ hàng không
| Cơ quan ban hành: | Bộ Giao thông Vận tải |
Số công báo:
Số công báo là mã số ấn phẩm được đăng chính thức trên ấn phẩm thông tin của Nhà nước. Mã số này do Chính phủ thống nhất quản lý.
|
Đã biết
|
| Số hiệu: | 51/2012/TT-BGTVT | Ngày đăng công báo: |
Đã biết
|
| Loại văn bản: | Thông tư | Người ký: | Đinh La Thăng |
|
Ngày ban hành:
Ngày ban hành là ngày, tháng, năm văn bản được thông qua hoặc ký ban hành.
|
20/12/2012 |
Ngày hết hiệu lực:
Ngày hết hiệu lực là ngày, tháng, năm văn bản chính thức không còn hiệu lực (áp dụng).
|
Đã biết
|
|
Áp dụng:
Ngày áp dụng là ngày, tháng, năm văn bản chính thức có hiệu lực (áp dụng).
|
Đã biết
|
Tình trạng hiệu lực:
Cho biết trạng thái hiệu lực của văn bản đang tra cứu: Chưa áp dụng, Còn hiệu lực, Hết hiệu lực, Hết hiệu lực 1 phần; Đã sửa đổi, Đính chính hay Không còn phù hợp,...
|
Đã biết
|
| Lĩnh vực: | Giao thông, Hàng không |
TÓM TẮT THÔNG TƯ 51/2012/TT-BGTVT
Nội dung tóm tắt đang được cập nhật, Quý khách vui lòng quay lại sau!
Tải Thông tư 51/2012/TT-BGTVT
|
BỘ GIAO THÔNG VẬN TẢI Số: 51/2012/TT-BGTVT |
CỘNG HÒA XÃ HỘI CHỦ NGHĨA VIỆT NAM Hà Nội, ngày 20 tháng 12 năm 2012 |
THÔNG TƯ
QUY ĐỊNH VỀ BẢN ĐỒ, SƠ ĐỒ HÀNG KHÔNG
Căn cứ Luật Hàng không dân dụng Việt Nam ngày 29 tháng 6 năm 2006;
Căn cứ Nghị định số 51/2008/NĐ-CP ngày 28 tháng 4 năm 2008 của Chính phủ quy định chức năng, nhiệm vụ, quyền hạn và cơ cấu tổ chức của Bộ Giao thông vận tải;
Căn cứ Nghị định số 12/2002/NĐ-CP ngày 22 tháng 01 năm 2002 của Chính phủ về hoạt động đo đạc và bản đồ;
Căn cứ Nghị định số 134/2007/NĐ-CP ngày 15 tháng 8 năm 2007 của Chính phủ quy định về đơn vị đo lường chính thức;
Căn cứ Nghị định số 94/2007/NĐ-CP ngày 04 tháng 6 năm 2007 của Chính phủ về quản lý hoạt động bay;
Xét đề nghị của Cục trưởng Cục Hàng không Việt Nam và Vụ trưởng Vụ Vận tải;
Bộ trưởng Bộ Giao thông vận tải ban hành Thông tư quy định về bản đồ, sơ đồ hàng không,
Chương 1.
QUY ĐỊNH CHUNG
Điều 1. Phạm vi điều chỉnh và đối tượng áp dụng
1. Thông tư này quy định về bản đồ, sơ đồ hàng không và việc quản lý, sử dụng bản đồ, sơ đồ hàng không liên quan đến bảo đảm an toàn hoạt động bay.
2. Thông tư này áp dụng đối với tổ chức, cá nhân Việt Nam và tổ chức, cá nhân nước ngoài liên quan đến việc sử dụng bản đồ, sơ đồ hàng không của Việt Nam.
Điều 2. Định nghĩa, thuật ngữ, chữ viết tắt
Trong Thông tư này, các từ ngữ dưới đây được hiểu như sau:
1. AIM (Aeronautical Information Management): quản lý tin tức hàng không.
2. ATM (Air Traffic Management): quản lý không lưu.
3. DME (Distance measuring equipment): thiết bị đo cự ly bằng vô tuyến.
4. eTOD (Electronic Terrain and Obstacle Data): cơ sở dữ liệu địa hình và chướng ngại vật điện tử.
5. ICAO (International Civil Aviation Organization): Tổ chức Hàng không dân dụng quốc tế.
6. ILS (Instrument Landing System): hệ thống hạ cánh bằng thiết bị.
7. MLS (Microwave Landing System): hệ thống hạ cánh bằng sóng vi ba.
8. NOTAM (Notice To Airmen): điện văn thông báo tin tức hàng không.
9. VOR (Very high fequency omnidirectional radio range): đài dẫn đường đa hướng sóng cực ngắn.
10. SWIM (System Wide Information Management): Hệ thống Quản lý tin tức toàn cầu.
11. Hệ trắc địa toàn cầu (WGS-84 - World Geodetic System): là tiêu chuẩn áp dụng cho hàng không theo hệ quy chiếu ngang và mức nước biển trung bình (MSL) theo hệ quy chiếu dọc.
12. Phép chiếu Lambert là phép chiếu nón đồng góc.
13. Bản đồ, sơ đồ hàng không (Aeronautical maps and charts) là các bản đồ, sơ đồ chứa đựng các tin tức cần thiết để người lái, các tổ chức và cá nhân liên quan đến hoạt động bay sử dụng. Trong bản đồ có sự thể hiện một phần của trái đất gồm địa hình, địa vật và được đặt tên một cách rõ ràng phù hợp với các yêu cầu về dẫn đường hàng không.
14. Feet (ft) là bộ - đơn vị đo chiều dài tương đương 0,3048 mét.
15. Bề mặt Geoid (Geoid) là bề mặt đẳng trọng lực của trái đất với giả thiết trùng với mực nước biển trung bình tĩnh lặng (MSL) mở rộng liên tục xuyên qua các lục địa.
Chú thích: Mặt Geoid bị thay đổi vì có những điều kiện địa phương (gió thổi, độ mặn, dòng nước v.v...) và hướng trọng lực vuông góc với mặt Geoid tại mỗi điểm thay đổi.
16. Bộ dữ liệu (Datum) là mọi đại lượng hoặc một tập hợp đại lượng bất kỳ có thể làm tài liệu tham khảo hoặc làm cơ sở để tính ra các số liệu khác.
17. CRC-32 (Cyclic redundancy check-32) là thuật toán kiểm tra 32 bit.
18. Các giai đoạn của chuyến bay (Flight segments):
a) Giai đoạn 1: lăn từ bến đỗ tàu bay đến điểm cất cánh;
b) Giai đoạn 2: cất cánh và lấy độ cao để vào hệ thống đường hàng không;
c) Giai đoạn 3: bay trong đường hàng không;
d) Giai đoạn 4: giảm độ cao để tiếp cận;
đ) Giai đoạn 5: tiếp cận hạ cánh và tiếp cận hụt;
e) Giai đoạn 6: hạ cánh và lăn đến bến đỗ tàu bay.
19. Chất lượng dữ liệu (Data quality) là mức độ hoặc độ tin cậy dữ liệu được cung cấp thỏa mãn yêu cầu sử dụng dữ liệu về độ chính xác, độ phân giải và tính toàn vẹn.
20. Chướng ngại vật (Obstacle - CNV) là tất cả những vật thể cố định (lâu dài hay tạm thời) và di động, hoặc một phần của chúng nằm trên khu vực dự định cho tàu bay hoạt động trên bề mặt hoặc nhô lên khỏi bề mặt giới hạn an toàn bay.
21. Cự ly DME (DME distance) là đường khoảng cách theo tầm nhìn trực tiếp (tầm nghiêng) từ nguồn phát tín hiệu DME tới ăng-ten thu của tàu bay.
22. Dịch vụ không lưu (Air traffic Service - ATS) là thuật ngữ chung tùy theo từng trường hợp có thể là dịch vụ thông báo bay, dịch vụ báo động, dịch vụ tư vấn không lưu, dịch vụ điều hành bay (dịch vụ kiểm soát đường dài, dịch vụ kiểm soát tiếp cận hoặc dịch vụ kiểm soát tại sân).
23. Dịch vụ thông báo tin tức hàng không (Aeronautical information Service) là hoạt động thu thập, xử lý, biên soạn, phát hành và cung cấp các tin tức cần thiết trong nước và quốc tế bảo đảm an toàn cho hoạt động bay.
24. Dấu hiệu (Marking) là một hoặc một nhóm ký hiệu hiển thị trên bề mặt của khu vực hoạt động tại sân bay nhằm mục đích chuyển tải thông tin hàng không.
25. Dữ liệu trắc địa (Geodetic datum) là một tập hợp tối thiểu những tham số cần thiết nhằm xác định vị trí và hướng của hệ thống định vị cục bộ so với hệ thống định vị chung toàn cầu.
26. Dữ liệu sản phẩm kỹ thuật (Data product specification) là việc mô tả chi tiết một tập dữ liệu hoặc dữ liệu thiết lập hàng loạt cùng với các thông tin bổ sung mà sẽ cho phép tạo ra nó, cung cấp cho và được sử dụng bởi một bên khác (ISO 19131).
27. Địa vật (Culture) là những nét đặc trưng do con người xây dựng nên trên bề mặt trái đất như các thành phố, đường xe lửa và hệ thống kênh đào.
28. Địa hình (Terrain) là những đặc điểm tự nhiên trên bề mặt trái đất như núi, đồi, thung lũng, khối nước, băng và tuyết vĩnh cửu, ngoại trừ các chướng ngại vật.
29. Đầu thềm đường cất hạ cánh (Threshold) là nơi bắt đầu của phần đường cất hạ cánh có thể sử dụng cho hạ cánh.
30. Đầu thềm đường cất hạ cánh dịch chuyển (Displaced threshold) là đầu thềm đường cất hạ cánh được xác định tại vị trí không phải là điểm bắt đầu của đường cất hạ cánh.
31. Điểm báo cáo (Reporting point) là vị trí địa lý cụ thể (có tên gọi) theo đó vị trí của tàu bay có thể được báo cáo.
32. Điểm đổi đài (Change-over point) là một điểm mà tại đó một tàu bay trên được bay ATS tham chiếu sử dụng đài VOR, thay đổi tham chiếu từ đài dẫn đường phía sau sang tham chiếu đến đài phía trước.
33. Điểm quy chiếu sân bay (Aerodrome Reference Point) là điểm đánh dấu vị trí địa lý của sân bay.
34. Điểm tiếp cận hụt (Missed approach point - MAPt) là điểm được xác định trong một phương thức tiếp cận bằng thiết bị mà phương thức tiếp cận hụt phải được tiến hành tại hoặc trước điểm này để đảm bảo rằng không vi phạm độ cao hoặc chiều cao vượt chướng ngại vật. Điểm tiếp cận hụt được xác định tại:
a) Giao điểm giữa đường bay theo góc hạ cánh tiêu chuẩn GP với độ cao hoặc chiều cao quyết định (DA/H) được áp dụng trong phương thức tiếp cận chính xác;
b) Thiết bị dẫn đường, điểm mốc hoặc một cự ly cụ thể từ điểm tiếp cận chót trong phương thức tiếp cận giản đơn.
35. Độ chênh cao giữa mặt Geoid và Ellipsoid (Geoid undulation) là khoảng cách của điểm thuộc mặt Geoid ở cao hơn hoặc thấp hơn so với elipsoid toán học chuẩn.
Chú thích: Theo Hệ trắc địa toàn cầu (WSG-84) ellipsoid xác định sự khác nhau giữa độ cao ellpsoid WGS-84 và độ cao trực tâm (orthometrical) cho ta khái niệm địa hình (độ lồi lõm) mặt Geoid WGS-84.
36. Độ chính xác (Accuracy) là sự phù hợp giữa giá trị tính toán hoặc đo đạc so với giá trị thực.
37. Độ cao trắc địa (Ellipsoid height - Geodetic height) là độ cao so với mặt độ cao trắc địa chuẩn (elipsoid chuẩn), được đo theo pháp tuyến xuyên qua elipsoid tại điểm xét.
38. Độ cao (Altitude) là khoảng cách theo chiều thẳng đứng từ mực nước biển trung bình đến một mực, một điểm hoặc một vật được coi như một điểm.
39. Độ cao hoặc chiều cao quyết định (Decision altitude/height - DA/H) là độ cao hoặc chiều cao qui định nêu trong phương thức tiếp cận chính xác hoặc tiếp cận có dẫn hướng theo phương thẳng đứng, mà tại đó phải bắt đầu phương thức tiếp cận hụt trong trường hợp chưa quan sát được bằng mắt các vật chuẩn để tiếp tục tiếp cận hạ cánh.
40. Độ cao giảm thấp tối thiểu hoặc chiều cao giảm thấp tối thiểu (Minimum descent altitude - MDA or minimum descent height - MDH) là độ cao hoặc chiều cao trong tiếp cận giản đơn hoặc theo vòng lượn mà dưới độ cao, chiều cao đó việc giảm thấp không được phép thực hiện nếu không có sự tham chiếu cần thiết bằng mắt.
41. Độ cao bay đường dài tối thiểu (Minimum en-route altitude - MEA) là độ cao sử dụng trong giai đoạn bay đường dài được cung cấp các thiết bị dẫn đường và thông tin liên lạc liên quan, phù hợp với cấu trúc vùng trời và độ cao vượt chướng ngại vật cần thiết
42. Độ cao hoặc chiều cao vượt chướng ngại vật (Obstacle clearance altitude/height - OCA/H) là độ cao hoặc chiều cao tối thiểu trên mức cao của đầu thềm đường cất hạ cánh hoặc mức cao sân bay sử dụng để bảo đảm các tiêu chuẩn về bay vượt chướng ngại vật
43. Độ cao tối thiểu theo phân khu (Minimum sector altitude) là độ cao tối thiểu trên toàn bộ các chướng ngại vật trong khu vực là 300 mét (1000 bộ) hoặc 600 mét (2000 bộ) đối với địa hình vùng núi trong phạm vi phân khu là vòng tròn có bán kính 46 ki-lô-mét (25 NM) và vùng đệm 9 km, tâm là phụ trợ dẫn đường vô tuyến được sử dụng.
44. Độ cao chuyển tiếp (Transition altitude) là độ cao được qui định trong khu vực sân bay mà khi bay ở độ cao đó hoặc thấp hơn, vị trí theo phương đứng của tàu bay được kiểm soát thông qua độ cao tuyệt đối.
45. Độ cao tối thiểu trong khu vực (Area minimum altitude - AMA) là độ cao thấp nhất sử dụng trong điều kiện khí tượng bay bằng thiết bị đảm bảo độ cao bay tối thiểu 300 mét (hoặc 600 mét đối với địa hình vùng núi) trên các chướng ngại vật trong phạm vi được xác định và được làm tròn lên 30 mét gần nhất, thông thường được thực hiện theo đường vĩ tuyến và đường kinh tuyến.
46. Độ lệch từ (Magnetic variation) là sự khác biệt giữa hướng Bắc thực và hướng Bắc từ.
47. Đường bình độ (Contour line) là đường trong bản đồ hoặc sơ đồ nối những điểm có cùng mức cao với nhau.
48. Đường cất hạ cánh (CHC - Runway) là một khu vực hình chữ nhật được xác định trên mặt đất sân bay dùng cho tàu bay cất cánh và hạ cánh.
49. Đường hàng không (Airway) là khu vực được kiểm soát hoặc một phần của khu vực đó dưới dạng một hành lang.
50. Đường đến (Arrival route) là đường bay trong một phương thức đến tiêu chuẩn, được thiết lập để kết nối từ giai đoạn bay đường dài sang giai đoạn tiếp cận sử dụng một thiết bị dẫn đường.
51. Đường bay ATS (ATS route) là tuyến đường được thiết lập để định hướng luồng trong việc cung cấp dịch vụ ATS.
52. Đường bay chuyển tiếp (Air transit route) là một đoạn đường xác định trên mặt đất được thiết lập để phục vụ cho tàu bay trực thăng chuyển tiếp trạng thái trên không.
53. Đường lăn (Taxiway) là một khu vực chỉ định được thiết lập trên sân bay để phục vụ cho tàu bay lăn.
54. Giai đoạn tiếp cận đầu (Initial approach segment) là giai đoạn của một phương thức tiếp cận bằng thiết bị giữa điểm mốc tiếp cận dầu và điểm mốc tiếp cận giữa hay mốc hoặc điểm tiếp cận chót.
55. Giai đoạn tiếp cận giữa (Intermediate approach segment) là giai đoạn của một phương thức tiếp cận bằng thiết bị giữa điểm mốc tiếp cận giữa và mốc hoặc điểm tiếp cận chót hoặc giữa điểm cuối của phương thức đảo ngược, hình hộp hoặc xác định vị trí bằng cách dùng la bàn và mốc hoặc điểm tiếp cận chót phù hợp.
56. Màn hình hiển thị bản đồ điện tử hàng không (Electronic aeronautical chart display) là thiết bị hiển thị điện tử mà tổ lái sử dụng để lập kế hoạch về đường bay, giám sát đường bay và dẫn đường nhờ vào việc hiển thị các thông tin theo yêu cầu.
57. Hệ thống giám sát ATS (ATS surveillance system) là thuật ngữ chung dùng đề chỉ hệ thống giám sát tự động phụ thuộc - dạng phát quảng bá (ADS-B), ra đa giám sát sơ cấp (PSR), ra đa giám sát thứ cấp (SSR) hoặc các hệ thống trang thiết bị mặt đất cho phép nhận dạng tàu bay.
58. Hệ thống dẫn đường khu vực (RNAV system) là hệ thống dẫn đường cho phép tàu bay hoạt động theo mọi quỹ đạo bay mong muốn trong tầm phủ của thiết bị dẫn đường ở mặt đất hoặc trên không hoặc giới hạn về khả năng các thiết bị độc lập hoặc kết hợp cả hai phương pháp. Hệ thống RNAV có thể được tính như là một phần của hệ thống quản lý chuyến bay (FMS).
59. Kiểm tra dữ liệu mạch vòng (Cyclic redundancy check (CRC)) là giải thuật toán học áp dụng cho tệp dữ liệu để bảo đảm không bị mất dữ liệu.
60. Khoảng trống (Clearway) là một khu vực hình chữ nhật xác định trên mặt đất, mặt nước. Khu vực này nằm trong sự kiểm soát của cơ quan có thẩm quyền thích hợp và được lựa chọn hoặc dự kiến là khu vực thích hợp để tàu bay có thể thực hiện giai đoạn bay lên ban đầu đến một độ cao qui định.
61. Khu hoạt động tại sân bay (Manoeuvring area) là một phần của sân bay được sử dụng cho tàu bay cất cánh, hạ cánh, lăn bánh và đỗ, bao gồm khu di chuyển và sân đỗ.
62. Khu di chuyển tại sân bay (Movement area) là một phần của sân bay được sử dụng cho tàu bay cất cánh, hạ cánh và lăn bánh, không bao gồm sân đỗ tàu bay.
63. Khu vực nguy hiểm (Danger area) là một khu vực vùng trời có kích thước xác định mà tại đó tồn tại các hoạt động nguy hiểm đến hoạt động bay theo những khoảng thời gian cụ thể.
64. Lịch (Calendar) là hệ thống tham chiếu rời rạc nhằm cung cấp để định nghĩa một thời điểm, tính theo ngày (ISO 19108).
65. Lộ điểm (Waypoint (WPT)) là một vị trí địa lí xác định được sử dụng để chỉ ra đường bay dẫn đường khu vực hoặc tuyến của chuyến bay sử dụng dẫn đường khu vực. Lộ điểm bao gồm:
a) Lộ điểm bay tắt áp dụng bay tham chiếu (yêu cầu vòng rẽ trước) (Fly - by way point) là lộ điểm yêu cầu vòng rẽ trước để cho phép tiến nhập tiếp tuyến với phần tiếp theo của đường bay hoặc phương thức bay;
b) Lộ điểm bay qua áp dụng bay qua lộ điểm đó (tại đó vòng rõ bắt đầu) (Fly over waypoint) là lộ điểm tại đó vòng rẽ được bắt đầu để tiến nhập phần tiếp theo của đường bay hoặc phương thức bay;
66. Mô hình mức cao kỹ thuật số (Digital Elevation Model (DEM)) là sự thể hiện bề mặt địa hình bằng các giá trị mức cao liên tục ở tất cả các giao điểm của lưới tọa độ xác định được tham chiếu đến gốc quy chiếu chung.
67. Mốc hoặc điểm tiếp cận chót (Final approach fix or point) là mốc hoặc điểm của một phương thức tiếp cận bằng thiết bị mà tại đó bắt đầu thực hiện giai đoạn tiếp cận chót.
68. Mức cao (Elevation) là khoảng cách theo phương thẳng đứng từ mực nước biển trung bình đến một điểm hoặc một bề mặt nằm trên bề mặt quả đất.
69. Mức cao sân bay (Aerodrome elevation) là mức cao của điểm cao nhất trên khu hạ cánh.
70. Mực bay (Flight level) là mặt đẳng áp so với mốc áp suất 1013,2 hPa (hector pascal) và cách mặt đẳng áp cùng tính chất những quãng áp suất qui định.
71. Mực bay chuyển tiếp (Transition level) là mực bay thấp nhất có thể sử dụng cao hơn độ cao chuyển tiếp.
72. NM là hải lý (tương đương với 1,852 ki-lô-mét); m là mét; km là ki-lô-mét.
73. Phương thức bay chờ (Holding procedure) là động tác dự định trước nhằm giữ tàu bay trong một vùng trời xác định khi chờ huấn lệnh tiếp theo.
74. Phương thức đến tiêu chuẩn sử dụng thiết bị (Standard instrument arrival) là đường bay được xác định cho tàu bay đến theo qui tắc bay bằng thiết bị nối một điểm trọng yếu, thông thường trên đường bay ATS với một điểm mà từ đó có thể bắt đầu thực hiện phương thức tiếp cận bằng thiết bị đã được công bố.
75. Phương thức khởi hành tiêu chuẩn sử dụng thiết bị (Standard instrument departure) là đường bay được xác định cho tàu bay cất cánh theo qui tắc bay bằng thiết bị nối sân bay hoặc đường CHC của sân bay với một điểm trọng yếu xác định trên đường bay ATS mà tại đó bắt đầu thực hiện giai đoạn bay đường dài của chuyến bay.
76. Phương thức tiếp cận sử dụng thiết bị (Instrument approach procedure) là những động tác di chuyển được xác định trước trên cơ sở tham chiếu các thiết bị chỉ dẫn bảo đảm an toàn tránh va chạm chướng ngại vật, tính từ điểm mốc tiếp cận đầu hoặc từ điểm đầu của đường bay đến một điểm mà từ đó có thể hoàn tất việc hạ cánh; nếu không hạ cánh được thì đến một điểm mà từ đó áp dụng tiêu chuẩn bay tránh chướng ngại vật khi bay chờ hoặc bay đường dài.
77. Phương thức tiếp cận hụt (Missed approach procedure) là phương thức phải tuân theo trong trường hợp không thể tiếp tục tiếp cận hạ cánh.
78. Phòng thủ tục bay (Air traffic services reporting office) là cơ sở nhận báo cáo liên quan đến ATS và kế hoạch bay không lưu trước khi tàu bay khởi hành.
79. Ra-đi-ăng (Radial) là phương vị theo hướng từ tính từ đài VOR đến máy thu.
80. Sân bay (Aerodrome) là một vùng được chỉ rõ ở mặt đất hoặc mặt nước (bao gồm cả các toà nhà, được lắp đặt các hệ thống thiết bị) với mục đích sử dụng toàn bộ hoặc một phần cho hạ cánh hoặc cất cánh và lăn của tàu bay.
81. Sân bay trực thăng (Heliport) là một khu vực xác định trên mặt đất hoặc một khu vực xác định trên công trình được xây dựng phục vụ cho trực thăng cất cánh, hạ cánh và di chuyển.
82. Sân đỗ (Apron) là khu vực được xác định trong sân bay dành cho tàu bay đỗ để phục vụ hành khách lên, xuống; xếp, dỡ hành lý, thư, bưu phẩm, bưu kiện, hàng hóa; tiếp nhiên liệu; cung ứng suất ăn; phục vụ kỹ thuật hoặc bảo dưỡng tàu bay.
83. Tán cây (Canopy) là mặt đất cộng thêm chiều cao thực vật.
84. Tập tu chỉnh AIP (AIP Amendment) là tài liệu chứa đựng những thay đổi mang tính chất lâu dài đối với những tin tức trong AIP.
85. Tập thông báo tin tức hàng không (Aeronautical information publication - AIP) là tài liệu thông báo tin tức hàng không cơ bản, bao gồm những tin tức ổn định lâu dài, cần thiết cho hoạt động bay.
86. Tập bổ sung AIP (AIP Supplement) là tài liệu chứa đựng những thay đổi mang tính chất tạm thời đối với những tin tức trong AIP và được phát hành bằng những trang đặc biệt.
87. Tập tin tức hàng không trọn gói (Intergrated aeronautical information package), bao gồm các tài liệu sau đây:
a) Tập AIP, tập tu chỉnh AIP;
b) Tập bổ sung AIP;
c) NOTAM và bản thông báo tin tức trước chuyến bay;
d) Thông tri hàng không;
đ) Bản danh mục NOTAM còn hiệu lực và Bản tóm tắt nội dung NOTAM còn hiệu lực.
88. Tập hợp số dữ liệu (Data set series) là tập hợp các tệp dữ liệu có cùng quy cách sản phẩm (ISO 19115).
89. Tệp dữ liệu (Data set) là tập hợp các dữ liệu được nhận dạng (ISO 19101).
90. Tiếp cận chót (Final approach) là một giai đoạn của phương thức tiếp cận bằng thiết bị bắt đầu từ một dải hoặc một điểm xác định trước, hoặc khi đài hoặc điểm đó không được xác định thì:
a) Từ điểm cuối của vòng lượn chuẩn cuối cùng, vòng lượn cơ bản hoặc vòng lượn vào tuyến hướng đài trong sơ đồ hình hộp và kết thúc ở một điểm gần sân bay mà khi bay qua điểm đó có thể thực hiện hạ cánh hoặc bắt đầu phương thức tiếp cận hụt;
b) Từ điểm tiến nhập vào đoạn đường bay cuối cùng trong phương thức tiếp cận và kết thúc ở một điểm gần sân bay mà khi bay qua điểm đó có thể thực hiện hạ cánh hoặc bắt đầu phương thức tiếp cận hụt.
91. Tiếp cận theo vòng lượn (Circling approach) là phần mở rộng một phương thức tiếp cận bằng thiết bị cung cấp vòng lượn bằng mắt tại sân bay trước khi hạ cánh.
92. Tiêu chuẩn khai thác tối thiểu của sân bay (Aerodrome operating minima) là giới hạn sử dụng sân bay cho:
a) Cất cánh, được thể hiện dưới dạng tầm nhìn của đường CHC, khi cần thiết có thể hiện bằng điều kiện của mây;
b) Hạ cánh chính xác và các hoạt động hạ cánh thể hiện dưới dạng tầm nhìn, tầm nhìn đường CHC, độ cao, chiều cao quyết định (DA/DH) thích hợp cho từng chủng loại tàu bay;
c) Tiếp cận hạ cánh và các hoạt động tiếp cận hạ cánh có dẫn hướng theo chiều thẳng đứng được thể hiện dưới dạng tầm nhìn độ cao so với mặt biển, chiều cao quyết định;
d) Tiếp cận giản đơn và các hoạt động tiếp cận hạ cánh được thể hiện bằng tầm nhìn, tầm nhìn đường CHC, độ cao, mức cao tối thiểu, khi cần thiết có thể có thêm các điều kiện về mây.
93. Tầm nhìn đường CHC (Runway visual range - RVR) là khoảng cách mà trong giới hạn đó tổ lái tàu bay ở trên trục đường CHC có thể nhìn thấy các dấu hiệu bề mặt đường CHC, các đèn đánh dấu đường CHC hoặc nhận biết trục đường CHC.
94. Đặc điểm kỹ thuật dẫn đường (Navigation specifications) là tập hợp các yêu cầu cần thiết đối với tàu bay và tổ lái để hỗ trợ dẫn đường trong vùng trời xác định. Có 2 loại tính năng dẫn đường sau:
a) Tính năng dẫn đường theo yêu cầu (Required Navigation Performance (RNP)) là đặc tính dẫn đường khu vực bao gồm yêu cầu tính năng giám sát và cảnh báo trên tàu bay;
b) Dẫn đường khu vực (Area Navigation (RNAV)) là đặc tính dẫn đường khu vực không bao gồm yêu cầu tính năng giám sát và cảnh báo trên tàu bay.
95. Tính toàn vẹn - dữ liệu hàng không (Intergrity - aeronautical data) là mức độ đảm bảo cho dữ liệu hàng không và giá trị của nó không bị mất đi hoặc thay đổi trừ khi thay đổi nguồn gốc dữ liệu hoặc được người có thẩm quyền cho phép.
96. Trần mây (Ceiling) là khoảng cách theo chiều thẳng đứng từ mặt đất hoặc mặt nước đến đáy mây của lớp mây thấp nhất nằm dưới 6000 m và bao phủ hơn một nửa bầu trời.
97. Vị trí đỗ của tàu bay (Aircraft stand) là một vùng được chỉ định trên sân bay phục vụ cho tàu bay đỗ.
98. Vùng chạm bánh (Touch down zone): Một phần đường CHC nằm sau đầu thềm đường CHC dùng cho tàu bay hạ cánh chạm bánh đầu tiên với đường CHC.
99. Ứng dụng (Application) là việc xử lý các dữ liệu thông qua một tiêu chuẩn được yêu cầu (ISO-19104).
Điều 3. Trách nhiệm của các cơ quan, đơn vị
1. Trách nhiệm của Cục Hàng không Việt Nam:
a) Chủ trì xây dựng các quy chế, tiêu chuẩn và hướng dẫn về bản đồ, sơ đồ hàng không;
b) Quản lý và tổ chức việc xây dựng và ban hành các loại bản đồ, sơ đồ hàng không;
c) Nghiên cứu, đề xuất áp dụng và tổ chức thực hiện các quy định, tiêu chuẩn về bản đồ, sơ đồ hàng không phù hợp với quy định của pháp luật Việt Nam, điều ước quốc tế mà Việt Nam là thành viên;
d) Tổ chức, quản lý cơ sở dữ liệu địa hình và chướng ngại vật hàng không phục vụ cho các hoạt động hàng không trong nước, quốc tế;
Chủ trì giám sát việc khảo sát, đo đạc và lập cơ sở dữ liệu về eTOD theo quy định tại Chương III Thông tư này; cung cấp dữ liệu eTOD ở định dạng chuẩn cho các tổ chức, doanh nghiệp hàng không được phép sử dụng dữ liệu này;
đ) Hướng dẫn về việc sử dụng đơn vị đo lường và hướng dẫn xây dựng các loại sơ đồ, bản đồ hàng không được quy định tại khoản 19 và 20 Điều 4 của Thông tư này;
e) Thanh tra, kiểm tra, giám sát việc tuân thủ các quy định về bản đồ, sơ đồ hàng không của các tổ chức, cá nhân có liên quan đến hoạt động hàng không dân dụng.
2. Trách nhiệm của Cảng vụ Hàng không:
a) Giám sát việc tuân thủ các quy định về bản đồ, sơ đồ hàng không của các tổ chức, cá nhân có liên quan đến hoạt động hàng không dân dụng tại cảng hàng không, sân bay;
b) Tham gia xây dựng quy định, tiêu chuẩn về bản đồ, sơ đồ hàng không;
c) Kiểm tra, phát hiện các công trình nhân tạo, cây vượt lên trên bề mặt giới hạn chướng ngại vật hàng không thuộc phạm vi quản lý theo định ký ít nhất 02 (hai) lần trong một năm, báo cáo Cục Hàng không Việt Nam;
d) Tổ chức đo đạc vị trí theo WGS-84, chiều cao, cự ly so với điểm quy chiếu sân bay của các chướng ngại vật hàng không nằm trong khu vực sân bay (45 km tính từ điểm quy chiếu sân bay). Xây dựng, cập nhật Cơ sở dữ liệu địa hình và chướng ngại vật điện tử theo sự phân công của Cục Hàng không Việt Nam.
3. Trách nhiệm của doanh nghiệp cung cấp dịch vụ ATS:
a) Tham gia xây dựng quy định, tiêu chuẩn về bản đồ, sơ đồ hàng không;
b) Thu thập và xử lý số liệu để biên soạn, in ấn và phát hành bản đồ, sơ đồ hàng không;
c) Tổ chức đo đạc vị trí theo WGS-84, chiều cao ăng ten của các đài trạm thông tin, dẫn đường, giám sát và các cơ sở hạ tầng phục vụ hoạt động bay do doanh nghiệp quản lý và báo cáo Cục Hàng không Việt Nam (độ chính xác và tính toàn vẹn theo quy định tại Phụ lục 5 ban hành kèm theo Thông tư này). Xây dựng Cơ sở dữ liệu địa hình và chướng ngại vật điện tử theo sự phân công của Cục Hàng không Việt Nam;
d) Cập nhật cơ sở dữ liệu eTOD, sơ đồ bản đồ hàng không vào Hệ thống quản lý dữ liệu hàng không (AIM) để hòa vào mạng Hệ thống quản lý không lưu (ATM) của Việt Nam và Hệ thống Quản lý tin tức toàn cầu (SWIM);
đ) Sản xuất và kinh doanh các loại sơ đồ, bản đồ hàng không theo sự phân công của Cục Hàng không Việt Nam.
4. Trách nhiệm của doanh nghiệp khai thác cảng hàng không:
a) Tham gia xây dựng quy định, tiêu chuẩn về bản đồ, sơ đồ hàng không;
b) Tổ chức đo đạc vị trí theo WGS-84, kích thước và mức cao của các cơ sở hạ tầng do doanh nghiệp khai thác cảng hàng không quản lý và báo cáo Cục Hàng không Việt Nam, bao gồm: đường CHC, đường lăn, sân đỗ tàu bay; tọa độ đầu thềm đường CHC, điểm quy chiếu sân bay, các vị trí sân đỗ tàu bay, điểm kiểm tra tín hiệu của đài VOR tại sân bay, các đài trạm dẫn đường và các cơ sở hạ tầng phục vụ hoạt động bay; mức cao sân bay, độ lệch từ, sức chịu tải, các cự ly công bố và các thông số khác liên quan đến đường CHC, đường lăn, sân đỗ tàu bay do doanh nghiệp quản lý theo quy định tại Phụ lục V ban hành kèm theo Thông tư này;
c) Doanh nghiệp khai thác cảng hàng không phải tổ chức đo đạc và báo cáo Cục Hàng không Việt Nam khi có bất kỳ thay đổi nào về các cơ sở hạ tầng dẫn đến việc thay đổi số liệu tại điểm b khoản này;
d) Xây dựng các loại sơ đồ: Sơ đồ địa hình tiếp cận chính xác, Sơ đồ sân bay, sân bay trực thăng, Sơ đồ hướng dẫn di chuyển mặt đất, Sơ đồ sân đỗ, vị trí đỗ tàu bay để phục vụ công tác Thông báo tin tức hàng không.
Điều 4. Danh mục bản đồ, sơ đồ hàng không
Bản đồ, sơ đồ hàng không bao gồm:
1. Sơ đồ chướng ngại vật sân bay - loại A.
2. Sơ đồ chướng ngại vật sân bay - loại B.
3. Sơ đồ địa hình và chướng ngại vật sân bay, phiên bản điện tử.
4. Sơ đồ địa hình tiếp cận chính xác.
5. Sơ đồ sân bay, sân bay trực thăng.
6. Sơ đồ hướng dẫn di chuyển mặt đất.
7. Sơ đồ sân đỗ, vị trí đỗ tàu bay.
8. Sơ đồ phương thức khởi hành tiêu chuẩn sử dụng thiết bị (SID).
9. Sơ đồ khu vực tiếp cận.
10. Sơ đồ phương thức đến tiêu chuẩn sử dụng thiết bị (STAR).
11. Sơ đồ phương thức tiếp cận sử dụng thiết bị.
12. Sơ đồ phương thức tiếp cận bằng mắt.
13. Sơ đồ hệ thống đường hàng không.
14. Sơ đồ dẫn đường hàng không tỷ lệ nhỏ.
15. Bản đồ đánh dấu vệt bay.
16. Bản đồ hàng không thế giới tỷ lệ 1:1000000.
17. Bản đồ hàng không tỷ lệ 1:500000.
18. Sơ đồ độ cao tối thiểu giám sát không lưu.
19. Sơ đồ giới hạn độ cao chướng ngại vật hàng không.
20. Các loại sơ đồ, bản đồ phục vụ cho hoạt động bay.
Chương 2.
THIẾT KẾ, XÂY DỰNG BẢN ĐỒ, SƠ ĐỒ HÀNG KHÔNG
Điều 5. Quy định chung
1. Bản đồ, sơ đồ hàng không phải bao gồm các thông tin liên quan đến chức năng của bản đồ, sơ đồ hàng không và việc thiết kế bản đồ, sơ đồ hàng không phải tuân thủ nguyên tắc về yếu tố con người để tạo điều kiện thuận lợi cho việc sử dụng.
2. Bản đồ, sơ đồ hàng không phải bao gồm các thông tin phù hợp với từng giai đoạn của chuyến bay để bảo đảm hoạt động an toàn và nhanh chóng của tàu bay.
3. Việc trình bày các thông tin trong bản đồ, sơ đồ hàng không phải chính xác, có trật tự, rõ ràng và đọc được trong mọi điều kiện hoạt động bình thường.
4. Màu sắc hoặc sắc thái màu và kích thước chữ phải đảm bảo cho tổ lái đọc, hiểu sơ đồ một cách dễ dàng trong điều kiện ánh sáng tự nhiên, ánh sáng đèn bình thường (nhân tạo).
5. Thông tin trong bản đồ, sơ đồ hàng không phải đảm bảo cho tổ lái nắm bắt một cách nhanh chóng trong điều kiện khối lượng công việc lớn và phù hợp với điều kiện khai thác thực tế.
6. Bản đồ, sơ đồ hàng không có thể được thể hiện ở dạng bản in và bản điện tử. Ngôn ngữ sử dụng trên bản đồ, sơ đồ là tiếng Anh hoặc tiếng Việt.
Điều 6. Tiêu đề
Tiêu đề của một bản đồ, sơ đồ hàng không phải phù hợp với danh mục bản đồ, sơ đồ hàng không được quy định tại Điều 4 của Thông tư này.
Điều 7. Quy cách thể hiện
1. Kích cỡ, mẫu chữ, biên lề của bản đồ, sơ đồ hàng không phải tuân thủ quy định tại Phụ lục I, IV và VI ban hành kèm theo Thông tư này, trừ các trường hợp được quy định cụ thể cho từng loại bản đồ, sơ đồ hàng không.
2. Các thông tin sau đây phải được trình bày ở mặt trước của bản đồ, sơ đồ hàng không, trừ trường hợp đã nêu trong phần thông số kỹ thuật của bản đồ, sơ đồ hàng không có liên quan:
a) Ký hiệu hoặc tiêu đề của loại bản đồ, sơ đồ hàng không;
b) Tên và số tham chiếu của tờ bản đồ, sơ đồ hàng không;
c) Số hiệu của tờ liền kề trên kế của bản đồ, sơ đồ hàng không (nếu có).
3. Phần chú thích cho các biểu tượng và chữ viết tắt phải ở mặt trước hoặc mặt sau của mỗi bản đồ, sơ đồ hàng không. Trường hợp không thực hiện được, phần chú thích phải được in riêng.
4. Tên và địa chỉ đầy đủ của cơ quan ban hành phải được trình bày ở lề của bản đồ, sơ đồ hàng không và được thể hiện ở mặt trước của tài liệu, trừ khi bản đồ, sơ đồ hàng không được công bố như một phần của một tài liệu hàng không.
5. Mẫu của một số loại sơ đồ hàng không được quy định tại Phụ lục IV ban hành kèm theo Thông tư này.
Điều 8. Biểu tượng
1. Các biểu tượng sử dụng trong bản đồ, sơ đồ hàng không phải phù hợp với quy định tại Phụ lục II ban hành kèm theo Thông tư này. Khi có những thông tin quan trọng mà chưa có biểu tượng thể hiện thì lựa chọn ký hiệu phù hợp nhưng không được phép gây nhầm lẫn với biểu tượng của bản đồ, sơ đồ hàng không hiện hành hoặc làm giảm mức độ dễ đọc của bản đồ, sơ đồ hàng không.
2. Các thiết bị dẫn đường trên mặt đất, các giao điểm và lộ điểm phải được sử dụng cùng loại biểu tượng trên tất cả các bản đồ, sơ đồ hàng không.
3. Các biểu tượng được sử dụng cho các điểm trọng yếu phải dựa trên một hệ thống phân cấp các biểu tượng và được chọn theo thứ tự sau: thiết bị dẫn đường trên mặt đất, giao điểm, lộ điểm. Chỉ sử dụng biểu tượng lộ điểm khi điểm trọng yếu không có thiết bị dẫn đường trên mặt đất hoặc giao điểm.
4. Các biểu tượng phải được trình bày theo quy định tại khoản 2 và 3 của Điều này và Phụ lục II ban hành kèm theo Thông tư này.
Điều 9. Sử dụng đơn vị đo lường
1. Các đơn vị đo lường được sử dụng phải phù họp với các quy định tại Phụ ước 5 của Công ước quốc tế về Hàng không dân dụng (Annex 5 ICAO).
2. Khoảng cách thể hiện trong bản đồ, sơ đồ hàng không phải căn cứ vào khoảng cách trắc địa thực tế.
3. Khoảng cách phải được thể hiện bằng km, NM hoặc cả hai đơn vị và bảo đảm rằng các đơn vị phải được phân biệt rõ ràng.
4. Độ cao, mức cao và chiều cao phải được thể hiện bằng mét hoặc bộ (feet) hoặc cả hai đơn vị, các đơn vị phải được phân biệt rõ ràng.
5. Kích thước thẳng trên sân bay và các khoảng cách ngắn phải được thể hiện bằng mét.
6. Yêu cầu về độ phân giải cho khoảng cách, kích thước, mức cao và chiều cao phải theo quy định cho từng loại bản đồ, sơ đồ hàng không cụ thể.
7. Các đơn vị đo lường dùng để thể hiện khoảng cách, độ cao, mức cao và chiều cao phải được ghi rõ ở mặt trước của bản đồ, sơ đồ hàng không.
8. Tỷ lệ chuyển đổi (km sang hải lý, m sang bộ và ngược lại) phải được thể hiện trên mỗi bản đồ, sơ đồ hàng không, trên đó có thể hiện khoảng cách, mức cao hoặc độ cao. Tỷ lệ chuyển đổi phải được đặt ở mặt trước của bản đồ, sơ đồ hàng không.
Điều 10. Tỷ lệ và phép chiếu
1. Đối với bản đồ hàng không của khu vực rộng lớn thì tên, các thông số cơ bản và phép chiếu phải được trình bày trên bản đồ hàng không.
2. Đối với bản đồ, sơ đồ hàng không của các khu vực nhỏ, phải đưa ra tỷ lệ tuyến tính phù hợp.
Điều 11. Hiệu lực của các thông tin hàng không
Ngày có hiệu lực của thông tin hàng không phải được ghi rõ ở mặt trước của mỗi bản đồ, sơ đồ hàng không.
Điều 12. Tên các địa danh và chữ tắt
1. Phải sử dụng bảng chữ cái La Mã để viết tên các địa danh và chữ tắt.
2. Tên địa danh và các điểm đặc trưng về địa lý trong nước có thể sử dụng bảng chữ cái tiếng Việt.
3. Trường hợp thuật ngữ địa lý như “mũi”, “điểm”, “vịnh”, “sông” được viết tắt bằng tiếng Anh, thuật ngữ đó phải được nêu ra đầy đủ bằng tiếng Việt. Không sử dụng các dấu chấm câu khi viết tắt trong nội dung của bản đồ, sơ đồ hàng không.
4. Chữ viết tắt phải được sử dụng trên các bản đồ, sơ đồ hàng không một cách hợp lý.
Điều 13. Thể hiện biên giới và lãnh thổ quốc gia
1. Biên giới quốc gia phải được thể hiện trong bản đồ, sơ đồ hàng không. Trường hợp phải thể hiện các dữ liệu quan trọng thì đường biên giới Quốc gia có thể không phải thể hiện tại vị trí đó.
2. Trường hợp lãnh thổ của hơn một quốc gia được thể hiện trên bản đồ, sơ đồ hàng không, phải nêu rõ tên xác định các quốc gia đó.
Điều 14. Màu sắc
Màu sắc được sử dụng trên bản đồ, sơ đồ hàng không phải phù hợp với quy định tại Phụ lục III ban hành kèm theo Thông tư này trong trường hợp cần thiết.
Điều 15. Địa hình
1. Địa hình thể hiện trên bản đồ, sơ đồ hàng không phải đáp ứng nhu cầu của người sử dụng về:
a) Định hướng và thông tin nhận dạng;
b) Bay an toàn trên địa hình;
c) Làm rõ thông tin hàng không;
d) Công tác lập kế hoạch bay.
2. Trường hợp mức cao được sử dụng, các mức cao này phải thể hiện các điểm trọng yếu.
3. Giá trị mức cao của điểm có độ chính xác dao động phải được thêm dấu “cộng” và “trừ” (±) với giá trị biến thiên.
Điều 16. Khu vực cấm bay, khu vực hạn chế bay và khu vực nguy hiểm
Khi thể hiện khu vực cấm bay, khu vực hạn chế bay hoặc khu vực nguy hiểm, phải bao gồm các tham chiếu hoặc nhận dạng khác.
Điều 17. Khu vực trách nhiệm của cơ sở cung cấp dịch vụ ATS
Khi vùng trời được cung cấp dịch vụ ATS được biểu thị trên bản đồ, sơ đồ hàng không, phải chỉ rõ loại vùng trời; loại, tên hoặc hô hiệu, giới hạn cao và tần số vô tuyến; các giới hạn được mô tả phải phù hợp với quy định tại Phụ lục II ban hành kèm theo Thông tư này.
Điều 18. Độ lệch từ
Phải chỉ rõ hướng Bắc thực và độ lệch từ trên bản đồ, sơ đồ hàng không. Sự thay đổi độ lệch từ phải được thể hiện theo quy định cho từng loại bản đồ, sơ đồ hàng không.
Điều 19. Trình bày bản in
Mẫu kiểu chữ để sử dụng cho các bản đồ, sơ đồ hàng không thực hiện theo quy định tại Tài liệu Doc 8697 của ICAO “Tài liệu hướng dẫn về bản đồ, sơ đồ hàng không”. Phông chữ được sử dụng chủ yếu là phông “Arial” thuộc bộ mã Unicode.
Điều 20. Dữ liệu hàng không
1. Cục Hàng không Việt Nam thực hiện các biện pháp cần thiết bao gồm các thủ tục, quy trình, nguồn lực cần thiết để thực hiện quản lý chất lượng ở từng giai đoạn chức năng. Phải bảo đảm rằng các thủ tục có thể truy vấn đến nguồn gốc của nguồn tin và cho phép phát hiện sự bất thường hoặc sai sót của dữ liệu trong giai đoạn phát hành hoặc bảo trì để bảo đảm thông tin luôn chính xác đối với các dữ liệu hàng không.
2. Phải bảo đảm tính nhất quán của các dữ liệu thông tin hàng không theo quy định cho từng loại bản đồ, sơ đồ hàng không cụ thể và được trình bày tại bảng 2 Phụ lục V ban hành kèm theo Thông tư này.
3. Phải bảo đảm tính toàn vẹn của dữ liệu thông tin hàng không từ khi tiến hành khảo sát dữ liệu cho tới khi đến tay người sử dụng cuối cùng. Yêu cầu về tính toàn vẹn của dữ liệu thông tin hàng không phải dựa trên rủi ro tiềm tàng. Cụ thể như sau:
a) Dữ liệu rất quan trọng, mức độ toàn vẹn 1 x 10-8: có xác suất rủi ro cao có thể xảy ra khi sử dụng các dữ liệu bị sai lệch mà từ đó ảnh hưởng đến an toàn của tàu bay khi bay và hạ cánh và có thể dẫn đến tai nạn;
b) Dữ liệu quan trọng, mức độ toàn vẹn 1 x 10-5: có xác suất rủi ro thấp có thể xảy ra khi sử dụng các dữ liệu bị sai lệch mà từ đó ảnh hưởng đến an toàn của tàu bay khi bay và hạ cánh và có thể dẫn đến tai nạn;
c) Dữ liệu thông thường, mức độ toàn vẹn 1 x 10-3: có xác suất rủi ro rất thấp có thể xảy ra khi sử dụng các dữ liệu bị sai lệch mà từ đó ảnh hưởng đến an toàn của tàu bay khi bay và hạ cánh và có thể dẫn đến tai nạn.
4. Yêu cầu chất lượng dữ liệu hàng không liên quan đến tính toàn vẹn và phân loại dữ liệu được quy định tại Bảng 1, 2, 3, 4, 5 và 6 Phụ lục V ban hành kèm theo Thông tư này.
5. Các tập hợp dữ liệu hàng không dạng điện tử phải được bảo vệ bằng cách đưa thuật toán kiểm tra 32 bit (CRC-32) vào các tập hợp dữ liệu, được thực hiện bằng ứng dụng xử lý các tập hợp dữ liệu để bảo vệ tất cả các mức toàn vẹn của các tập hợp dữ liệu được quy định tại khoản 3 Điều này.
Điều 21. Hệ quy chiếu
1. Hệ quy chiếu ngang
a) Hệ trắc địa toàn cầu (WGS-84) phải được sử dụng làm hệ quy chiếu (trắc địa) ngang. Tọa độ địa lý hàng không được công bố (chỉ ra vĩ độ và kinh độ) phải được thể hiện theo hệ quy chiếu trắc địa WGS-84.
b) Tọa độ địa lý đã được chuyển đổi thành tọa độ WGS-84 nhưng có độ chính xác của công việc ngoại trường ban đầu không đáp ứng các yêu cầu tại Chương 2 của Phụ ước 11 và Chương 2 của Phụ ước 14 của ICAO thì phải được chỉ ra bằng dấu hoa thị.
c) Yêu cầu về độ chính xác cho các tọa độ địa lý phải được quy định cho từng loại bản đồ, sơ đồ hàng không cụ thể và phù hợp với Bảng 1 Phụ lục V ban hành kèm theo Thông tư này.
2. Hệ quy chiếu đứng
a) Mốc quy chiếu mực nước biển trung bình phải được sử dụng làm hệ quy chiếu đứng.
b) Ngoài các mức cao được tham chiếu đến mực nước biển trung bình, các vị trí trên mặt đất được khảo sát cụ thể, bề mặt của thể địa cầu (bề mặt trái đất) (được tham chiếu tới ellipsoid WGS-84) cho những vị trí này cũng phải được công bố theo như quy định cho một bản đồ, sơ đồ hàng không cụ thể.
c) Yêu cầu độ chính xác về mức cao và độ mấp mô của thể địa cầu (bề mặt trái đất) của bản đồ, sơ đồ hàng không phải theo đúng quy định cụ thể và phù hợp với Bảng 2, Phụ lục V ban hành kèm theo Thông tư này.
3. Hệ tham chiếu thời gian
a) Lịch dương và giờ quốc tế (UTC) phải được sử dụng làm hệ tham chiếu thời gian.
b) Khi sử dụng một hệ tham chiếu thời gian khác cho việc thiết lập bản đồ, sơ đồ hàng không phải được chỉ rõ tại AIP Việt Nam.
Chương 3.
SƠ ĐỒ CHƯỚNG NGẠI VẬT
MỤC 1. SƠ ĐỒ CHƯỚNG NGẠI VẬT SÂN BAY - LOẠI A
Điều 22. Chức năng
Kết hợp với các thông tin liên quan được công bố trong AIP và cung cấp các dữ liệu cần thiết để người khai thác tuân theo những hạn chế khai thác.
Điều 23. Tính khả dụng
1. Sơ đồ chướng ngại vật hàng không, loại A (hạn chế khai thác) phải được thiết lập cho tất cả các sân bay có hoạt động bay quốc tế, trừ những sân bay không có chướng ngại vật trong dải cất cánh hoặc các sân bay có Sơ đồ chướng ngại vật và địa hình sân bay bản điện tử quy định tại Mục 3 của Chương này.
2. Trong trường hợp không cần xây dựng sơ đồ vì không có chướng ngại vật ảnh hưởng trong dải cất cánh thì phải được công bố trong AIP Việt Nam và Quy chế bay trong khu vực các sân bay.
Điều 24. Nguyền tắc làm tròn số đối với các đại lượng đo lường
1. Mức cao phải được làm tròn số tới 0,5 m gần nhất hoặc tới bộ gần nhất.
2. Kích thước thẳng phải được làm tròn tới 0,5 m gần nhất.
Điều 25. Phạm vi và tỷ lệ
1. Phạm vi của sơ đồ phải bao trùm tất cả các chướng ngại vật
2. Tỷ lệ theo chiều ngang phải trong phạm vi từ 1:10000 đến 1:15000.
3. Tỷ lệ theo chiều cao phải gấp mười lần so với tỷ lệ theo chiều ngang.
4. Tỷ lệ tuyến tính chiều ngang và chiều thẳng đứng được trình bày bằng đơn vị mét và đơn vị bộ phải được đưa vào các sơ đồ.
Điều 26. Quy cách thể hiện
1. Các sơ đồ phải mô tả mặt bằng và mặt cắt của từng đường CHC, đoạn dừng hoặc khoảng trống đầu thềm đường CHC có liên quan, dải cất cánh và các chướng ngại vật.
2. Phải thể hiện mặt cắt cho từng đường CHC, đoạn dừng, khoảng trống đầu thềm đường CHC và các chướng ngại vật trong dải cất cánh trên bản vẽ mặt bằng tương ứng. Mặt cắt của dải cất cánh thay thế phải bao gồm hình chiếu tuyến tính của đường bay cất cánh đầy đủ, phải được bố trí trên bản vẽ mặt bằng tương ứng cho phù hợp với việc giải thích thông tin.
3. Lưới mặt cắt phải được thể hiện trên toàn bộ khu vực mặt cắt trừ đường CHC. Điểm gốc cho tọa độ theo chiều cao là mực nước biển trung bình. Điểm gốc cho các tọa độ nằm ngang phải là đầu thềm đường CHC xa nhất tính từ dải cất cánh có liên quan. Vạch thang đo phải được trình bày dọc theo đường cơ sở của lưới và dọc theo lề dọc.
4. Sơ đồ phải bao gồm cả ô ghi dữ liệu được quy định tại khoản 3 Điều 29 Thông tư này và ô để ghi các sửa đổi, ngày sửa đổi.
Điều 27. Nhận dạng về địa điểm
Nhận dạng sơ đồ phải được xác định theo thứ tự sau: tên quốc gia, tên tỉnh, thành phố trực thuộc Trung ương, tên của sân bay và định danh của đường CHC.
Điều 28. Độ lệch từ
Phải chỉ ra độ lệch từ làm tròn tới độ gần nhất và ngày xác định thông tin về độ lệch từ.
Điều 29. Thông tin dữ liệu về hàng không
1. Các chướng ngại vật:
a) Các vật thể trong dải cất cánh vượt lên trên bề mặt phẳng có độ dốc 1,2% bắt đầu từ đường cất cánh sẽ được coi là chướng ngại vật, trừ các chướng ngại vật nằm hoàn toàn dưới bóng của các chướng ngại vật khác theo quy định trong điểm b khoản 2 Điều này. Các vật thể di động như tàu thuyền, xe lửa và xe tải, có thể vượt lên trên mặt phẳng 1,2%, được xác định là chướng ngại vật nhưng không được coi là có khả năng tạo ra bóng.
b) Bóng của một chướng ngại vật được coi là một bề mặt phẳng xuất phát từ đường nằm ngang đi qua đỉnh của chướng ngại vật vuông góc với đường trục của dải cất cánh. Mặt phẳng bao phủ toàn bộ chiều rộng dải cất cánh và mở rộng đến mặt phẳng được quy định ở điểm trên hoặc tới chướng ngại vật cao hơn tiếp theo trường hợp xảy ra trước. Đối với 300m đầu tiên của dải cất cánh, mặt phẳng bóng nằm ngang và vượt quá điểm này, các mặt phẳng đó có dộ dốc lên là 1,2%.
c) Trong trường hợp chướng ngại vật tạo ra bóng có khả năng được loại bỏ, những vật thể có thể trở thành chướng ngại vật sau khi loại bỏ chướng ngại vật tạo ra bóng phải được thể hiện trong sơ đồ.
2. Dải cất cánh:
a) Dải cất cánh bao gồm một khu vực hình thang cân trên bề mặt trái đất nằm ngay bên dưới và được bố trí đối xứng với đường CHC.
Khu vực này có những đặc điểm sau đây:
- Bắt đầu từ cuối khu vực được công bố thích hợp cho việc cất cánh (cuối đường CMC hoặc khoảng trống đầu thềm đường CHC);
- Chiều rộng tại điểm bắt đầu là 180m và tăng theo tỷ lệ 0,25 lần cự ly từ điểm bắt đầu đến tối đa là 1.800m.
- Kéo dài ra xa đến điểm không còn chướng ngại vật hoặc đến khoảng cách 10 km, lựa chọn khoảng cách nhỏ hơn;
b) Đối với đường CHC được sử dụng cho tàu bay có hạn chế khai thác mà không ngăn cản việc sử dụng độ dốc cất cánh thấp hơn 1,2%, cự ly phần kéo dài của dải cất cánh được quy định tại khoản này phải được tăng lên tới ít nhất là 12 km và độ dốc của bề mặt phẳng quy định tại khoản 1 Điều này phải được giảm xuống còn 1 % hoặc nhỏ hơn.
3. Các cự ly công bố:
Các thông tin sau đây cho từng hướng đường CHC: đoạn chạy lấy đà có thể sử dụng (TORA); cự ly có thể dừng khẩn cấp (ASDA); cự ly có thể cất cánh (TODA); cự ly có thể hạ cánh (LDA).
4. Bản vẽ mặt bằng:
a) Bản vẽ mặt bằng phải trình bày:
- Hình của đường CHC bằng đường liền, bao gồm chiều dài và chiều rộng, độ lệch từ được làm tròn tới độ gần nhất và số hiệu của đường CMC;
- Hình của khoảng trống đầu thềm đường CHC bằng đường nét đứt, bao gồm chiều dài và thông tin nhận dạng;
- Dải cất cánh bằng đường gạch và đường trục bằng nét thanh gồm những nét gạch ngắn và nét gạch dài xen kẽ;
- Các dải cất cánh dự bị. Khi các dải cất cánh dự bị không nằm giữa phần kéo dài của trục đường CHC, phải cung cấp phần ghi chú giải thích tầm quan trọng của các khu vực đó;
- Các chướng ngại vật, bao gồm: vị trí chính xác của từng chướng ngại vật và biểu tượng xác định loại chướng ngại vật;
- Mức cao và nhận dạng chướng ngại vật;
- Mức độ vi phạm của chướng ngại vật được xác định trong phần ghi chú.
b) Khi trình bày đoạn dừng, phải xác định độ dài của mỗi đoạn dừng.
5. Mặt trắc dọc phải hiển thị:
a) Mặt cắt của các đường trục của đường CHC bằng đường liền nét và mặt cắt của các đường trục của đoạn dừng và khoảng trống đầu đường CHC có liên quan bằng đường kẻ đứt nét;
b) Mức cao của trục đường CHC tại mỗi đầu của đường CHC, tại đoạn dừng và điểm đầu của từng dải cất cánh và ở mỗi thay đổi lớn về độ dốc của đường CHC, đoạn dừng;
c) Các thông số thể hiện chướng ngại vật bao gồm: đường thẳng đứng liền nét, kéo dài từ một ô lưới phù hợp tới đỉnh của chướng ngại vật; đặc điểm nhận dạng, mức độ vi phạm bề mặt giới hạn chướng ngại vật.
Điều 30. Thông tin công bố trên sơ đồ
1. Yêu cầu về độ chính xác đạt được phải được trình bày trên sơ đồ.
2. Mốc quy chiếu. Trường hợp không có mốc quy chiếu chính xác để tham chiếu theo chiều dọc, mức cao của điểm quy chiếu được sử dụng phải được thể hiện và được ghi chú là giả định.
MỤC 2. SƠ ĐỒ CHƯỚNG NGẠI VẬT SÂN BAY - LOẠI B
Điều 31. Chức năng
Sơ đồ chướng ngại vật sân bay cung cấp thông tin để đáp ứng các chức năng sau đây:
1. Xác định độ cao và chiều cao an toàn tối thiểu bao gồm cả cho các phương thức vòng lượn.
2. Xác định các phương thức sử dụng trong trường hợp khẩn cấp khi cất cánh hoặc hạ cánh.
3. Áp dụng các tiêu chí loại bỏ và đánh dấu chướng ngại vật.
4. Cung cấp nguồn tài liệu cho các sơ đồ hàng không.
Điều 32. Tính khả dụng
Sơ đồ chướng ngại vật sân bay - loại B phải được cung cấp cho các sân bay có các chuyến bay quốc tế, ngoại trừ các sân bay đã có Bản đồ địa hình và chướng ngại vật điện tử được quy định tại Mục 3 Chương này.
Điều 33. Nguyên tắc làm tròn số đối với các đại lượng đo lường
1. Mức cao phải được làm tròn tới 0,5 m gần nhất hoặc tới bộ gần nhất.
2. Kích thước thẳng phải được làm tròn đến đơn vị 0,5 m gần nhất hoặc tới bộ gần nhất.
Điều 34. Phạm vi và tỷ lệ
1. Phạm vi của sơ đồ phải đủ để bao trùm tất cả các chướng ngại vật.
2. Tỷ lệ theo chiều ngang phải nằm trong phạm vi từ 1:10000 đến 1:20000.
3. Tỷ lệ tuyến tính ngang và dọc phải được thể hiện cả bằng mét và bộ. Khi cần thiết, phải trình bày tỷ lệ tuyến tính bằng km và hải lý.
Điều 35. Quy cách thể hiện
Sơ đồ phải bao gồm:
1. Giải thích về phép chiếu được sử dụng.
2. Thông tin nhận dạng cần thiết về lưới tọa độ sử dụng.
3. Ký hiệu chỉ ra các chướng ngại vật vi phạm các bề mặt giới hạn chướng ngại vật được quy định tại Nghị định 20/2009/NĐ-CP ngày 23 tháng 02 năm 2009 của Chính phủ về quản lý độ cao chướng ngại vật hàng không và các trận địa quản lý, bảo vệ vùng trời tại Việt Nam.
4. Ô để ghi nhận các tu chỉnh và ngày tu chỉnh.
5. Ở phần biên lề, mỗi phút vĩ độ, kinh độ được đánh dấu theo độ và phút.
Điều 36. Nhận dạng về địa điểm
Sơ đồ phải được xác định theo thứ tự sau: tên quốc gia, tên tỉnh, thành phố trực thuộc trung ương và tên của sân bay.
Điều 37. Cách thức thể hiện và các ghi chú về địa hình
1. Các chi tiết về hệ thống thoát nước và thủy văn (kênh, rạch, mương, sông ngòi) phải được thể hiện ngắn gọn nhất.
2. Các tòa nhà và các đặc điểm nổi bật khác có liên quan đến sân bay phải được thể hiện trên sơ đồ và phải theo tỷ lệ.
3. Tất cả các vật thể vượt lên trên các bề mặt cất cánh và tiếp cận hạ cánh được quy định tại Nghị định 20/2009/NĐ-CP ngày 23 tháng 02 năm 2009 của Chính phủ về quản lý độ cao chướng ngại vật hàng không và các trận địa quản lý, bảo vệ vùng trời tại Việt Nam.
4. Đường bộ và đường sắt trong khu vực cất cánh, tiếp cận hạ cánh và cách đầu thềm đường CMC hoặc đường CHC kéo dài dưới 600 m (2000 ft) phải được thể hiện trên sơ đồ.
Điều 38. Độ lệch từ
Sơ đồ phải thể hiện hình la bàn chỉ hướng Bắc thực và độ lệch từ tới độ gần nhất, ngày xác định thông tin về độ lệch từ.
Điều 39. Dữ liệu hàng không được công bố
Các sơ đồ phải thể hiện:
1. Điểm quy chiếu của sân bay và tọa độ địa lý của điểm quy chiếu theo độ, phút và giây.
2. Hình dạng của các đường CHC dưới dạng đường liền nét.
3. Chiều dài và chiều rộng của đường CHC.
4. Hướng từ được làm tròn tới độ gần nhất của đường CHC và số đường CHC.
5. Mức cao của trục đường CHC tại đầu thềm đường CHC, tại đoạn dừng và điểm đầu của dải cất cánh, tiếp cận hạ cánh và các thay đổi lớn về độ dốc của đường CHC, đoạn dừng.
6. Đường lăn, sân đỗ và các khu vực đỗ bằng đường liền nét.
7. Đoạn dừng được mô tả bằng đường đứt nét.
8. Chiều dài của đoạn dừng.
9. Khoảng trống đầu thềm đường CHC được trình bày bằng đường đứt nét.
10. Chiều dài của mỗi khoảng trống đầu đường CHC.
11. Các bề mặt cất cánh, tiếp cận hạ cánh được trình bày bằng đường đứt nét.
12. Các dải cất cánh và tiếp cận hạ cánh.
13. Vị trí chính xác của các chướng ngại vật, bao gồm: biểu tượng để thể hiện loại chướng ngại vật, mức cao, thông tin nhận dạng, mức độ vi phạm bề mặt giới hạn.
14. Chướng ngại vật bổ sung được xác định tại khoản 1 Điều 29 của Thông tư này, bao gồm cả những chướng ngại vật núp bóng của chướng ngại vật khác.
Điều 40. Độ chính xác
1. Yêu cầu về độ chính xác phải được trình bày trên sơ đồ.
2. Mốc quy chiếu. Trường hợp không có mốc quy chiếu chính xác để tham khảo theo chiều cao, mức cao của điểm quy chiếu được sử dụng phải được ghi rõ và được ghi chú là giả định.
MỤC 3. SƠ ĐỒ ĐỊA HÌNH VÀ CHƯỚNG NGẠI VẬT SÂN BAY, PHIÊN BẢN ĐIỆN TỬ - ICAO
Điều 41. Chức năng
Mô tả các dữ liệu địa hình và chướng ngại vật kết hợp với dữ liệu hàng không cần thiết, nhằm:
1. Cho phép người khai thác tuân thủ những hạn chế khai thác quy định tại Chương 5 Phần I và tại Chương 3, Mục II, Phần III Phụ ước 6 (Annex 6) của Công ước Chicago bằng cách xây dựng các phương thức dự phòng để sử dụng trong trường hợp khẩn cấp trong giai đoạn tiếp cận hụt hoặc cất cánh và bằng cách thực hiện phân tích những hạn chế khai thác của tàu bay.
2. Hỗ trợ những ứng dụng dẫn đường sau đây:
a) Thiết kế phương thức bay sử dụng thiết bị;
b) Hạn chế và loại bỏ chướng ngại vật sân bay;
c) Cung cấp các nguồn dữ liệu cho việc sản xuất các sơ đồ hàng không khác.
Điều 42. Tính khả dụng
1. Từ ngày 12 tháng 11 năm 2015, Sơ đồ địa hình và chướng ngại vật sân bay phiên bản điện tử phải được thiết lập cho các sân bay quốc tế trên toàn quốc.
2. Sơ đồ địa hình và chướng ngại vật sân bay phiên bản điện tử cũng phải có sẵn ở dạng bản in khi được yêu cầu.
3. Tiêu chuẩn về chất lượng thông tin địa lý sử dụng ISO 19100 làm cơ sở mô hình hóa dữ liệu chung.
Điều 43. Nhận dạng về địa điểm
1. Sơ đồ phải được xác định theo thứ tự sau: tên quốc gia, tên tỉnh, thành phố trực thuộc trung ương và tên của sân bay.
2. Phạm vi của sơ đồ
Các vùng bao phủ cho các tập hợp eTOD được quy định cụ thể như sau:
a) Khu vực 1: Toàn bộ lãnh thổ quốc gia;
b) Khu vực 2: Trong khu vực lân cận sân bay, được chia nhỏ ra như sau:
- Khu vực 2a: Khu vực hình chữ nhật quanh đường CHC, bao gồm dải bay đường CHC và khoảng trống đầu đường CHC;
- Khu vực 2b: Khu vực kéo dài từ điểm cuối của Khu vực 2a theo hướng khởi hành, với chiều dài 10 km và mở rộng 15% về mỗi bên;
- Khu vực 2c: Khu vực mở rộng ra bên ngoài Khu vực 2a và 2b ở khoảng cách không quá 10 km từ ranh giới của Khu vực 2a;
- Khu vực 2d: Khu vực bên ngoài các Khu vực 2a, 2b và 2c tới khoảng cách lên đến 45 km từ điểm quy chiếu sân bay hoặc tới ranh giới khu vực trung tận (TMA), lấy cự ly nào gần hơn.
c) Khu vực 3: Khu vực bao gồm khu di chuyển của sân bay, mở rộng theo chiều ngang từ rìa của đường CHC đến khoảng cách 90m từ trục đường CHC và 50m từ mép ngoài của khu di chuyển;
d) Khu vực 4: Khu vực kéo dài 900m trước ngưỡng đường CHC và 60m về mỗi bên của trục đường CHC kéo dài theo hướng tiếp cận hạ cánh trên đường CHC tiếp cận chính xác CAT II hoặc III.
3. Trong sơ đồ Khu vực 1 phải thể hiện các chướng ngại vật có độ cao vượt quá 100 m so với cốt đất tự nhiên.
4. Từ ngày 12 tháng 11 năm 2015, tại tất cả các sân bay quốc tế phải có eTOD cho tất cả các chướng ngại vật trong Khu vực 2 được đánh giá là có nguy cơ cho hoạt động bay.
5. Từ ngày 12 tháng 11 năm 2015, tại tất cả các sân bay quốc tế phải có eTOD cho:
a) Khu vực 2a cho những chướng ngại vật vi phạm bề mặt giới hạn chướng ngại vật có liên quan;
b) Vi phạm các bề mặt nhận dạng chướng ngại vật của dải cất cánh;
c) Vi phạm vào các bề mặt giới hạn chướng ngại vật sân bay.
6. Tại các sân bay quốc tế, eTOD phải được cung cấp cho Khu vực 4 đối với địa hình và các chướng ngại vật vi phạm bề mặt thu thập dữ liệu chướng ngại vật có liên quan đến các đường CHC tiếp cận chính xác CAT II hoặc III và các người khai thác yêu cầu thông tin địa hình chi tiết để cho phép đánh giá ảnh hưởng của địa hình lên việc xác định chiều cao quyết định bằng cách sử dụng thiết bị đo độ cao vô tuyến.
Điều 44. Nội dung
1. Yêu cầu chung:
a) Khi phát triển các ứng dụng đồ họa máy tính được sử dụng để mô tả các đặc điểm trên sơ đồ, mối quan hệ giữa các đặc điểm, thuộc tính, hình học không gian cơ bản và các mối quan hệ địa hình phải được chi rõ bằng một lược đồ ứng dụng. Thông tin mô tả sẽ được cung cấp trên cơ sở của chi tiết kỹ thuật mô tả được áp dụng theo các quy tắc mô tả đã xác định. Chi tiết kỹ thuật mô tả và quy tắc mô tả không phải là một phần của tập hợp dữ liệu. Quy tắc mô tả phải được lưu trữ trong một danh mục mô tả, có tham khảo thông số kỹ thuật mô tả được lưu trữ riêng;
b) Các biểu tượng được sử dụng để mô tả các đặc điểm phải phù hợp với quy định tại Điều 8 Thông tư này và quy định tại Phụ lục II ban hành kèm theo Thông tư này.
2. Đặc điểm địa hình:
a) Đặc điểm địa hình và các thuộc tính có liên quan được mô tả và liên kết cơ sở dữ liệu vào sơ đồ phải dựa trên các tập hợp dữ liệu địa hình điện tử đáp ứng các quy định tại Chương 10 Phụ ước 15 của ICAO và quy định tại Phụ lục V ban hành kèm theo Thông tư này;
b) Đặc điểm địa hình phải được mô tả để cung cấp một ấn tượng hiệu quả chung về địa hình. Đây là sự thể hiện bề mặt địa hình bằng các giá trị mức cao liên tục ở tất cả các giao điểm của lưới tọa độ đã xác định, còn được gọi là Mô hình mức cao kỹ thuật số (DEM);
c) Đặc điểm địa hình được mô tả phải được liên kết với các thuộc tính có liên quan sau đây trong cơ sở dữ liệu: vị trí nằm ngang của các điểm lưới theo tọa độ địa lý và mức cao của các điểm; loại bề mặt; giá trị đường đồng mức (nếu có); tên các thành phố, thị xã và các đặc điểm địa hình nổi bật khác.
3. Các đặc điểm chướng ngại vật:
a) Các đặc điểm chướng ngại vật, các thuộc tính có liên quan, được mô tả và kết nối với cơ sở dữ liệu vào sơ đồ phải dựa trên các tập hợp dữ liệu eTOD;
b) Chướng ngại vật phải được mô tả bằng biểu tượng thích hợp và mã định danh chướng ngại vật;
c) Đặc điểm chướng ngại vật được mô tả phải được kết nối với các thuộc tính có liên quan sau đây trong cơ sở dữ liệu: vị trí theo tọa độ địa lý và mức cao; loại chướng ngại vật; mức độ vượt của chướng ngại vật.
4. Các đặc điểm của sân bay:
a) Các đặc điểm của sân bay, các thuộc tính có liên quan, được mô tả và liên kết cơ sở dữ liệu vào sơ đồ phải dựa vào dữ liệu sân bay;
b) Các đặc điểm sau đây của sân bay phải được mô tả bằng biểu tượng thích hợp: điểm quy chiếu sân bay; đường CHC với đoạn dừng và khoảng trống đầu đường CHC (nếu có); đường lăn, sân đỗ, các tòa nhà lớn và các đặc điểm nổi bật khác của sân bay;
c) Đặc điểm sân bay được mô tả phải được kết nối vào các thuộc tính có liên quan sau đây trong cơ sở dữ liệu: tọa độ địa lý của điểm quy chiếu, độ lệch từ, năm xác định thông tin và thay đổi hàng năm, chiều dài, chiều rộng của đường CHC, đoạn dừng, khoảng trống đầu đường CHC, loại bề mặt của đường CMC và của đoạn dừng, hướng từ của đường CHC làm tròn đến đơn vị độ; mức cao của đầu thềm đường CHC, thay đổi đáng kể về độ dốc của đường CHC và đoạn dừng; cự ly công bố cho mỗi hướng đường CHC hoặc chữ viết tắt “NU” khi hướng của đường CHC không sử dụng để cất cánh và hạ cánh.
5. Các đặc điểm thiết bị dẫn đường: thiết bị dẫn đường bằng vô tuyến nằm trong phạm vi của sơ đồ phải được mô tả bằng một biểu tượng thích hợp.
Điều 45. Độ chính xác
1. Yêu cầu về độ chính xác của dữ liệu hàng không phải theo quy định hiện hành.
2. Yêu cầu về độ phân giải của dữ liệu hàng không phải theo quy định hiện hành.
Điều 46. Chức năng điện tử
1. Sơ đồ phải cho phép thay đổi tỷ lệ khi sử dụng để tra cứu. Các biểu tượng và cỡ chữ phải thay đổi theo tỷ lệ sơ đồ để tăng cường khả năng đọc.
2. Thông tin trên sơ đồ phải được tham chiếu theo tọa độ địa lý và phải có khả năng xác định vị trí con trỏ tới giây gần nhất.
3. Sơ đồ phải tương thích với phần cứng, phần mềm máy tính cá nhân và phương tiện truyền thông thông dụng.
4. Chỉ được loại bỏ thông tin từ sơ đồ khi có bản mới cập nhật được cơ quan có thẩm quyền phê duyệt.
5. Khi xảy ra tắc nghẽn thông tin, các chi tiết cần thiết để hỗ trợ chức năng của sơ đồ không thể hiển thị được với độ rõ ràng đầy đủ trên một màn hình hiển thị, các lớp thông tin lựa chọn phải được cung cấp để cho phép sự kết hợp tùy chọn thông tin.
6. Sơ đồ có thể được in ấn ở định dạng bản in trên giấy theo các thông số kỹ thuật về nội dung và tỷ lệ do người sử dụng xác định.
Điều 47. Chi tiết kỹ thuật sản phẩm dữ liệu
1. Bản thống kê đầy đủ những tập hợp dữ liệu tạo thành sơ đồ phải được cung cấp dưới dạng các thông số kỹ thuật sản phẩm dữ liệu, trên cơ sở đó người sử dụng dữ liệu sẽ đánh giá sản phẩm dữ liệu của sơ đồ và xác định mức độ đáp ứng của dữ liệu yêu cầu theo mục đích sử dụng.
2. Thông số kỹ thuật của sản phẩm dữ liệu sơ đồ phải bao gồm: tổng quan, phạm vi thông số kỹ thuật, nhận dạng sản phẩm dữ liệu, thông tin nội dung dữ liệu, hệ tham chiếu được sử dụng, yêu cầu chất lượng dữ liệu và thông tin về thu thập dữ liệu, bảo trì dữ liệu, mô tả dữ liệu, chuyển giao sản phẩm dữ liệu cũng như bất kỳ thông tin bổ sung nào có sẵn, thông tin mô tả nội dung cơ sở dữ liệu.
3. Tổng quan về các thông số kỹ thuật của sản phẩm sơ đồ cung cấp một phần mô tả không chính thức về sản phẩm và phải có các thông tin chung về sản phẩm dữ liệu. Phạm vi thông số kỹ thuật của sản phẩm dữ liệu sơ đồ phải có phạm vi không gian (nằm ngang) xác định vùng bao phủ của sơ đồ. Thông tin nhận dạng sản phẩm dữ liệu sơ đồ phải bao gồm tiêu đề của sản phẩm, bản tóm tắt thuyết minh ngắn gọn về nội dung và mục đích, mô tả khu vực địa lý bao trùm trong sơ đồ.
4. Nội dung dữ liệu của các thông số kỹ thuật sản phẩm dữ liệu sơ đồ phải xác định rõ loại bao phủ hoặc dữ liệu hình ảnh và phải cung cấp phần mô tả thuyết minh về mỗi thông số.
5. Các thông số kỹ thuật về sản phẩm dữ liệu sơ đồ phải:
a) Xác định thông tin về cách hệ quy chiếu được sử dụng, bao gồm hệ quy chiếu không gian (ngang và cao) và hệ tham chiếu thời gian;
b) Xác định các yêu cầu chất lượng dữ liệu, bao gồm bản thống kê các mức chất lượng phù hợp có thể chấp nhận được và chất lượng dữ liệu tương ứng;
c) Bản thống kê các thông số kỹ thuật sản phẩm dữ liệu sơ đồ phải bao gồm tất cả các thành phần chất lượng dữ liệu và thành phần phụ của chất lượng dữ liệu, ngay cả khi chỉ đề nêu ra là một yếu tố hoặc yếu tố phụ của chất lượng dữ liệu cụ thể không áp dụng được.
6. Các thông số kỹ thuật của sản phẩm dữ liệu phải bao gồm bản thống kê thu thập dữ liệu để mô tả các nguồn và các quy trình đã áp dụng cho việc thu thập các dữ liệu sơ đồ. Các nguyên tắc và tiêu chí đã áp dụng trong việc bảo trì sơ đồ cũng phải được thể hiện trong các thông số kỹ thuật sản phẩm sơ đồ, bao gồm tần suất sản phẩm sơ đồ được cập nhật và thông tin bảo trì các tập hợp dữ liệu chướng ngại vật được đưa vào trong sơ đồ và chỉ dẫn các nguyên tắc, phương pháp, tiêu chí áp dụng cho việc bảo trì dữ liệu chướng ngại vật.
7. Các thông số kỹ thuật sản phẩm dữ liệu sơ đồ phải bao gồm những thông tin về cách thức dữ liệu được mô tả trên sơ đồ và được quy định chi tiết tại Điều 44 Thông tư này. Các thông số kỹ thuật sản phẩm dữ liệu sơ đồ cũng phải có các thông tin chuyển giao sản phẩm dữ liệu, bao gồm các định dạng chuyển giao và thông tin phương tiện chuyển giao.
8. Các thành phần siêu dữ liệu cốt lõi của sơ đồ phải được đưa vào trong thông số kỹ thuật sản phẩm dữ liệu sơ đồ. Siêu dữ liệu bổ sung nào yêu cầu được cung cấp phải được ghi trong các thông số kỹ thuật sản phẩm cùng với định dạng và mã hóa siêu dữ liệu.
MỤC 4. SƠ ĐỒ ĐỊA HÌNH TIẾP CẬN CHÍNH XÁC
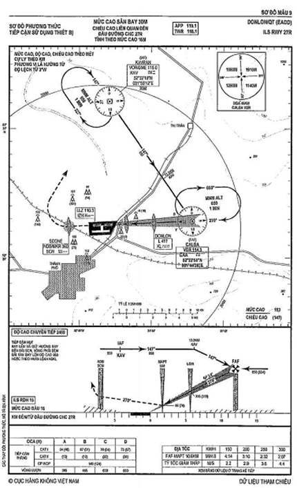
Điều 48. Chức năng
Sơ đồ địa hình tiếp cận chính xác cung cấp thông tin mặt cắt địa hình chi tiết trong một khu vực xác định của giai đoạn tiếp cận chót cho phép người khai thác tàu bay đánh giá tác động của địa hình đến việc xác định chiều cao quyết định bằng cách sử dụng thiết bị đo độ cao dạng sóng vô tuyến.
Điều 49. Tính khả dụng
1. Sơ đồ địa hình tiếp cận chính xác phải được thiết lập cho tất cả các đường CHC tiếp cận chính xác Cat II và III tại các sân bay quốc tế, trừ các thông tin cần thiết được cung cấp trong sơ đồ địa hình và chướng ngại vật điện tử sân bay theo quy định tại Mục 3 Chương này.
2. Sơ đồ địa hình tiếp cận chính xác phải được sửa đổi khi có bất kỳ sự thay đổi quan trọng nào.
Điều 50. Tỷ lệ
Tỷ lệ ngang là 1:2500 và tỷ lệ thẳng đứng là 1:500.
Điều 51. Nhận dạng về địa điểm
Sơ đồ phải được xác định theo thứ tự sau: tên của quốc gia, tên tỉnh, thành phố trực thuộc trung ương và tên của sân bay, định danh của đường CHC.
Điều 52. Thông tin về mặt cắt ngang và đứng
Sơ đồ phải bao gồm:
1. Mặt bằng hiển thị các đường đồng mức cách nhau 01m (03 ft) trong khu vực 60m (200 ft) ở một trong hai phía của đường trục kéo đài của đường CHC với cùng khoảng cách tương tự như mặt cắt, các đường đồng mức liên quan đến đầu thềm đường CHC.
2. Dấu hiệu cho thấy địa hình hoặc bất kỳ đối tượng nào trong bản vẽ mặt bằng đã xác định tại khoản 1 Điều này, chênh nhau đến ± 03m (10 ft) về chiều cao từ mặt cắt đường trục và có khả năng ảnh hưởng đến máy đo độ cao vô tuyến.
3. Mặt cắt dọc của địa hình đến khoảng cách 900m (3000 ft) từ ngưỡng dọc theo đường trục kéo dài của đường CHC.
Chương 4.
SƠ ĐỒ KHU VỰC SÂN BAY
MỤC 1. SƠ ĐỒ SÂN BAY, SÂN BAY TRỰC THĂNG
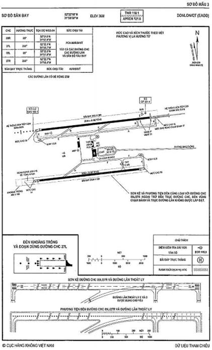
Điều 53. Chức năng
1. Cung cấp cho tổ lái những thông tin để tạo thuận lợi cho việc di chuyển tàu bay trên mặt đất bao gồm:
a) Đối với sân bay: từ vị trí đỗ của tàu bay ra tới đường CHC và từ đường CHC vào đến vị trí đỗ của tàu bay;
b) Đối với sân bay trực thăng:
- Từ vị trí đỗ của trực thăng ra tới khu vực chạm bánh, rời đất tới khu vực tiếp cận chót và khu vực cất cánh;
- Từ khu vực tiếp cận chót và khu vực cất cánh đến khu vực chạm bánh, rời đất và tới vị trí đỗ của trực thăng;
- Dọc theo các đường lăn trên mặt đất và di chuyển trên không của trực thăng;
- Dọc theo các đường bay chuyển tiếp trên không của trực thăng.
- Cung cấp các thông tin khai thác trọng yếu tại sân bay, sân bay trực thăng.
Điều 54. Tính khả dụng
1. Sơ đồ sân bay, sân bay trực thăng được sử dụng cho hoạt động hàng không dân dụng và quân sự.
2. Sơ đồ di chuyển mặt đất và sơ đồ sân đỗ, vị trí đỗ tàu bay cần được thiết lập trong một số điều kiện nhất định. Trong trường hợp này, những yếu tố đã được thể hiện trong những sơ đồ nêu trên không cần thiết phải được thể hiện trong sơ đồ sân bay, sân bay trực thăng.
Điều 55. Phạm vi và tỷ lệ
1. Phạm vi sơ đồ phải đủ lớn để thể hiện rõ ràng tất cả các yếu tố được quy định tại Điều 58 Thông tư này.
2. Tỷ lệ tuyến tính cần phải được thể hiện.
Điều 56. Nhận dạng về địa điểm
Sơ đồ phải được xác định theo thứ tự sau: tên tỉnh, thành phố trực thuộc trung ương, tên của sân bay và định danh của đường CHC.
Điều 57. Độ lệch từ
1. Hướng Bắc thực và hướng Bắc từ phải được thể hiện bằng dấu mũi tên trên sơ đồ.
2. Độ lệch từ được làm tròn đến đơn vị độ gần nhất và sự thay đội độ lệch từ hàng năm phải được thể hiện.
Điều 58. Dữ liệu về sân bay, sân bay trực thăng
1. Tọa độ địa lý của điểm quy chiếu của sân bay, sân bay trực thăng bao gồm độ, phút, giây.
2. Mức cao làm tròn đến đơn vị mét hoặc bộ của sân bay, sân bay trực thăng và sân đỗ (các vị trí kiểm tra độ cao) nếu áp dụng. Mức cao và sự gồ ghề của đầu thềm đường CHC, tâm điểm của khu vực chạm bánh và rời đất của trực thăng đối với tiếp cận giản đơn.
3. Mức cao và sự gồ ghề của đầu thềm đường CHC sử dụng cho tiếp cận chính xác làm tròn đến 0,1 m, tâm điểm của khu vực chạm bánh và rời đất và tại mức cao nhất của khu vực chạm bánh đối với đường CHC sử dụng cho tiếp cận chính xác.
4. Tất cả các đường CHC, bao gồm cả những đường CHC đang được xây dựng với tên đường CHC, chiều dài, chiều rộng làm tròn đến đơn vị mét, sức chịu tải, đầu thềm dịch chuyển, các đoạn dừng, khoảng trống, hướng đường CHC được làm tròn đến đơn vị độ gần nhất, loại bề mặt và hệ thống sơn kẻ ký hiệu trên đường CHC. Sức chịu tải có thể được hiển thị ở dạng bảng trên mặt trước hoặc mặt sau của sơ đồ.
6. Các sân đỗ và các vị trí đỗ của tàu bay, máy bay trực thăng, hệ thống chiếu sáng, sơn kẻ tín hiệu, các phụ trợ kiểm tra và hướng dẫn bằng mắt khác nếu áp dụng, bao gồm vị trí và kiểu loại của các hệ thống hướng dẫn bằng mắt vào sân đỗ, loại bề mặt đối với sân bay trực thăng, sức chịu tải hoặc hạn chế đối với loại tàu bay nếu sức chịu tải nhỏ hơn sức chịu tải của các đường CHC liên quan. Sức chịu tải hoặc hạn chế đối với loại tàu bay có thể được hiển thị ở dạng bảng trên mặt trước hoặc mặt sau của sơ đồ.
6. Các tọa độ địa lý bao gồm độ, phút, giây của các khu vực đầu thềm, tâm điểm của khu vực chạm đất, khu vực rời đất và đầu thềm của khu vực tiếp cận chót và khu vực cất cánh nếu áp dụng.
7. Các đường lăn, đường lăn trên mặt đất và di chuyển trên không của trực thăng cùng với loại bề mặt, các đường chuyển tiếp trên không của trực thăng, tên đường lăn, chiều rộng, hệ thống chiếu sáng, sơn kẻ ký hiệu bao gồm cả các vị trí dừng chờ cố định và các vị trí dừng chờ tạm thời nếu được thiết lập, vạch dừng chờ, các thiết bị kiểm tra và hướng dẫn bằng mắt, sức chịu tải hoặc các hạn chế đối với các loại tàu bay nếu sức chịu tải nhỏ hơn sức chịu tải của các đường CHC. Sức chịu tải hoặc hạn chế đối với loại tàu bay có thể được hiển thị ở dạng bảng trên mặt trước hoặc mặt sau của sơ đồ.
8. Các vị trí quan trọng cần lưu ý phải được ghi chú các thông tin bổ sung. Những thông tin này có thể được hiển thị ở dạng bảng trên mặt trước hoặc mặt sau của sơ đồ.
9. Các tọa độ địa lý bao gồm độ, phút, giây và phần trăm giây của các điểm trên trục đường lăn phù hợp và các vị trí đỗ của tàu bay.
10. Các đường tiêu chuẩn cho tàu bay lăn và tên gọi đầy đủ nếu được thiết lập.
11. Các ranh giới cung cấp dịch vụ kiểm soát không lưu.
12. Vị trí các điểm quan trắc tầm nhìn đường CHC (RVR).
13. Hệ thống đèn đường CHC và đèn tiếp cận.
14. Vị trí và kiểu loại của hệ thống đèn chỉ đường trượt tiếp cận bằng mắt với góc trượt tiếp cận theo thiết kế, độ cao quan sát tối thiểu qua đầu thềm đường CHC trên đường trượt chuẩn, khi trục của hệ thống không song song với trục đường CHC, phải cung cấp góc và hướng dịch chuyển (bên phải hoặc bên trái).
15. Các phương tiện thông tin liên lạc vô tuyến và kênh liên lạc, địa chỉ đăng nhập nếu áp dụng.
16. Các chướng ngại vật ảnh hưởng tới việc lăn của tàu bay.
17. Các khu vực phục vụ tàu bay và các toà nhà có vai trò quan trọng đối với hoạt động khai thác.
18. Điểm kiểm tra đài VOR.
19. Khu vực di chuyển không thường xuyên sử dụng cho tàu bay cũng cần phải được thể hiện.
20. Đối với sân bay trực thăng, phải thể hiện bổ sung trên sơ đồ các dữ liệu sau đây:
a) Loại sân bay trực thăng;
b) Khu vực chạm đất và khu vực rời đất bao gồm các kích thước làm tròn đến đơn vị mét, độ dốc, loại bề mặt và sức chịu tải tính theo đơn vị tấn;
c) Khu vực tiếp cận chót và khu vực cất cánh bao gồm kiểu loại, hướng thực làm tròn đến đơn vị độ gần nhất, chiều dài và chiều rộng làm tròn đến đơn vị mét, độ dốc và loại bề mặt;
d) Khu vực an toàn bao gồm chiều dài, chiều rộng và loại bề mặt;
đ) Khoảng trống của tàu bay trực thăng bao gồm chiều dài và bề mặt của khu vực đó;
e) Các chướng ngại vật bao gồm loại và độ cao của chướng ngại vật cao nhất làm tròn đến đơn vị mét hoặc bộ gần nhất;
g) Các phụ trợ bằng mắt đối với các phương thức tiếp cận, hệ thống chiếu sáng và sơn kẻ dấu hiệu của khu vực tiếp cận chót, khu vực cất cánh, khu vực chạm đất và khu vực rời đất;
h) Các cự ly công bố làm tròn đến đơn vị mét gần nhất đối với các sân bay trực thăng, bao gồm: đoạn chạy lấy đà có thể sử dụng, cự ly có thể hủy bỏ cất cánh, cự ly có thể hạ cánh.
MỤC 2. SƠ ĐỒ HƯỚNG DẪN DI CHUYỂN MẶT ĐẤT
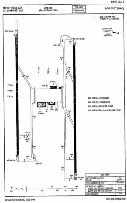
Điều 59. Chức năng
Cung cấp cho tổ lái những thông tin chi tiết để tạo thuận lợi cho việc di chuyển tàu bay ra, vào các vị trí đỗ, sân đỗ tàu bay.
Điều 60. Tính khả dụng
Sơ đồ di chuyển mặt đất cung cấp các chi tiết cần thiết cho việc di chuyển của tàu bay dọc theo các đường lăn giữa các vị trí đỗ của tàu bay không được thể hiện trong sơ đồ sân bay, sân bay trực thăng.
Điều 61. Phạm vi và tỷ lệ
1. Phạm vi sơ đồ phải đủ lớn để thể hiện rõ ràng tất cả các yếu tố được quy định tại Điều 64 Thông tư này.
2. Tỷ lệ tuyến tính cần phải được thể hiện trên sơ đồ.
Điều 62. Nhận diện về địa điểm
Sơ đồ phải được xác định theo thứ tự sau: tên của quốc gia, tên tỉnh, thành phố trực thuộc trung ương và tên của sân bay và định danh của đường CHC.
Điều 63. Độ lệch từ
1. Hướng Bắc thực và hướng Bắc từ phải được thể hiện bằng đầu mũi tên trên sơ đồ.
2. Độ lệch từ được làm tròn đến đơn vị độ gần nhất và sự thay đổi độ lệch từ hàng năm phải được thể hiện.
Điều 64. Dữ liệu về sân bay
1. Mức cao sân đỗ làm tròn đến đơn vị mét hoặc bộ gần nhất.
2. Sân đỗ bao gồm vị trí đỗ, sức chịu tải hoặc loại tàu bay giới hạn được khai thác, đèn chiếu sáng, sơn kẻ tín hiệu và các thiết bị phụ trợ kiểm tra, hướng dẫn bằng mắt nếu có, bao gồm vị trí và kiểu loại các hệ thống dẫn đỗ bằng mắt.
3. Tọa độ các vị trí đỗ tàu bay bao gồm độ, phút, giây và phần trăm của giây.
4. Đường lăn và tên đường lăn, chiều rộng đường lăn làm tròn đến đơn vị mét, sức chịu tải của đường lăn hoặc các hạn chế đối với các loại tàu bay nếu sức chịu tải nhỏ hơn sức chịu tải của các đường CHC liên quan, hệ thống chiếu sáng, sơn kẻ ký hiệu bao gồm cả các vị trí dừng chờ cố định và các vị trí dừng chờ tạm thời nếu được thiết lập, hàng đèn dừng chờ, các thiết bị phụ trợ kiểm tra và hướng dẫn bằng mắt khác.
5. Các vị trí quan trọng cần lưu ý phải được ghi chú bằng các thông tin bổ sung. Những thông tin này có thể được hiển thị ở dạng bảng trên mặt trước hoặc mặt sau của sơ đồ.
6. Các đường tiêu chuẩn cho tàu bay lăn và tên gọi đầy đủ nếu được thiết lập.
7. Tọa độ của các điểm nằm trên trục đường lăn được tính đến độ, phút, giây và phần trăm của giây.
8. Các ranh giới cung cấp dịch vụ kiểm soát không lưu.
9. Các phương tiện thông tin liên lạc vô tuyến và kênh liên lạc, địa chỉ đăng nhập nếu áp dụng.
10. Các chướng ngại vật ảnh hưởng tới việc lăn của tàu bay.
11. Các khu vực phục vụ tàu bay và các tòa nhà có vai trò quan trọng đối với hoạt động khai thác.
12. Điểm kiểm tra đài VOR và tần số vô tuyến của thiết bị liên quan.
13. Khu vực di chuyển không thường xuyên sử dụng cho tàu bay.
MỤC 3. SƠ ĐỒ SÂN ĐỖ, VỊ TRÍ ĐỖ TÀU BAY
Điều 65. Chức năng
Sơ đồ sân đỗ, vị trí đỗ tàu bay cung cấp cho tổ lái những thông tin chi tiết nhằm tạo thuận lợi cho việc di chuyển giữa khu vực đường lăn, sân đỗ và vị trí đỗ tàu bay.
Điều 66. Tính khả dụng
Sơ đồ này được xuất bản cho các sân bay có mặt bằng sân đỗ phức tạp và nội dung hướng dẫn di chuyển giữa đường lăn, sân đỗ của tàu bay không thể được mô tả chi tiết trong sơ đồ sân bay, sân bay trực thăng hoặc trên sơ đồ hướng dẫn di chuyển mặt đất.
Điều 67. Phạm vi và tỷ lệ
1. Phạm vi sơ đồ phải đủ lớn để thể hiện rõ ràng tất cả các yếu tố được quy định tại Điều 70 Thông tư này.
2. Tỷ lệ tuyến tính cần phải được thể hiện trên sơ đồ.
Điều 68. Nhận diện về địa điểm
Sơ đồ phải được xác định theo thứ tự sau: tên của quốc gia, tên tỉnh, thành phố trực thuộc trung ương và tên của sân bay.
Điều 69. Độ lệch từ
1. Hướng Bắc từ phải được thể hiện bằng dấu mũi tên trên sơ đồ.
2. Độ lệch từ được làm tròn đến đơn vị độ gần nhất và thể hiện sự thay đổi độ lệch từ hàng năm phải được thể hiện.
Điều 70. Dữ liệu về sân bay
1. Mức cao sân đỗ làm tròn đến đơn vị mét hoặc bộ gần nhất.
2. Sân đỗ bao gồm vị trí đỗ, sức chịu tải hoặc loại tàu bay giới hạn được khai thác, đèn chiếu sáng, sơn kẻ tín hiệu và các thiết bị phụ trợ kiểm tra, hướng dẫn bằng mắt nếu có, bao gồm vị trí và kiểu loại các hệ thống dẫn đỗ bằng mắt.
3. Tọa độ các vị trí đỗ tàu bay bao gồm độ, phút, giây và phần trăm của giây.
4. Các lối vào đường lăn, tên đường lăn, các vị trí chờ lên đường CHC, các vị trí dừng tạm thời và các vạch dừng.
5. Các vị trí quan trọng cần lưu ý phải được ghi chú bằng các thông tin bổ sung. Những thông tin này có thể được hiển thị ở dạng bảng trên mặt trước hoặc mặt sau của sơ đồ.
6. Các đường tiêu chuẩn cho tàu bay lăn với đầy đủ tên gọi nếu được thiết lập.
7. Tọa độ của các điểm nằm trên trục đường lăn được tính đến độ, phút, giây và phần trăm của giây.
8. Các ranh giới cung cấp dịch vụ kiểm soát không lưu.
9. Các phương tiện thông tin liên lạc vô tuyến và kênh liên lạc, địa chỉ đăng nhập nếu áp dụng.
10. Các chướng ngại vật ảnh hưởng tới việc lăn của tàu bay.
11. Các khu vực phục vụ tàu bay và các toà nhà có vai trò quan trọng đối với hoạt động khai thác.
12. Điểm kiểm tra đài VOR và tần số vô tuyến của thiết bị liên quan.
13. Khu vực di chuyển không thường xuyên sử dụng cho tàu bay cũng phải được thể hiện.
Chương 5.
SƠ ĐỒ PHƯƠNG THỨC KHỞI HÀNH TIÊU CHUẨN SỬ DỤNG THIẾT BỊ, SƠ ĐỒ KHU VỰC TIẾP CẬN, SƠ ĐỒ PHƯƠNG THỨC ĐẾN TIÊU CHUẨN SỬ DỤNG THIẾT BỊ, SƠ ĐỒ PHƯƠNG THỨC TIẾP CẬN SỬ DỤNG THIẾT BỊ, SƠ ĐỒ PHƯƠNG THỨC TIẾP CẬN BẰNG MẮT, SƠ ĐỒ ĐỘ CAO TỐI THIỂU GIÁM SÁT KHÔNG LƯU
MỤC 1. SƠ ĐỒ PHƯƠNG THỨC KHỞI HÀNH TIÊU CHUẨN SỬ DỤNG THIẾT BỊ
Điều 71. Chức năng
1. Cung cấp các thông tin cho phép tổ lái thực hiện phương thức cất cánh theo tuyến đường khởi hành tiêu chuẩn bằng thiết bị tiến nhập vào giai đoạn bay đường dài.
2. Các thông tin liên quan đến nhận dạng các phương thức khởi hành tiêu chuẩn được qui định tại Phụ đính 3, Phụ ước 11 (Annex 11) của Công ước Chicago; nội dung hướng dẫn liên quan đến việc thiết lập các phương thức này được trình bày tại Tài liệu hướng dẫn lập kế hoạch dịch vụ không lưu (Doc 9426 - ICAO).
3. Các thông tin liên quan đến các yêu cầu tiêu chuẩn bay vượt chướng ngại vật và các nội dung chi tiết về các thông tin tối thiểu cần công bố được trình bày tại Phần II, Quyển II Tài liệu hướng dẫn về phương thức không vận và khai thác tàu bay (PANS-OPS, Doc 8168 - ICAO).
Điều 72. Tính khả dụng
1. Sơ đồ phương thức khởi hành tiêu chuẩn sử dụng thiết bị (SID) phải được xây dựng và công bố cho mọi sân bay có thiết lập các phương thức khởi hành tiêu chuẩn sử dụng thiết bị và trong trường hợp các thông tin cần thiết liên quan không được thể hiện đầy đủ trong sơ đồ khu vực tiếp cận.
Điều 73. Phạm vi và tỷ lệ
1. Phạm vi của sơ đồ phải đủ đảm bảo để xác định được giai đoạn từ điểm bắt đầu của phương thức khởi hành cho đến điểm kết nối với giai đoạn bay đường dài được chỉ định và bắt đầu cho đường bay có cung cấp dịch vụ ATS.
2. Sơ đồ phải được trình bày theo tỷ lệ cụ thể. Thước tỷ lệ phải được thể hiện trong các sơ đồ được trình bày theo tỷ lệ.
3. Khi không thể trình bày theo tỷ lệ, sơ đồ phải được ghi chú bằng cụm chỉ dẫn "KHÔNG THEO TỶ LỆ".
Điều 74. Phép chiếu
1. Trong trường hợp sơ đồ được thể hiện theo tỷ lệ, các đường vĩ tuyến và kinh tuyến phải được thể hiện theo các cự ly thích hợp.
2. Các dấu hiệu chia độ phải được thể hiện phù hợp kèm theo các đường thể hiện các cự ly.
Điều 75. Nhận dạng
Sơ đồ phải được nhận dạng bằng tên của tỉnh, thành phố trực thuộc trung ương có sân bay, tên của sân bay và việc nhận dạng của các phương thức khởi hành tiêu chuẩn được thiết lập phù hợp với các qui định của ICAO.
Điều 76. Cách thức thể hiện và các ghi chú về địa hình
1. Trường hợp sơ đồ được thể hiện theo tỷ lệ, các đường viền của bờ biển, vùng có nước, hồ lớn, sông đều phải được thể hiện trên sơ đồ trừ khi những thông tin này ảnh hưởng đến các thông tin quan trọng hơn đối với sơ đồ.
2. Sơ đồ phải được xây dựng theo tỷ lệ và tất cả hình thái địa hình cao hơn 300m (1000 ft) so với mức cao sân bay đều phải được thể hiện theo hình thức đường bình độ có giá trị độ cao đi kèm và được in bằng màu nâu nhạt. Các mức cao bao gồm cả các điểm cao nhất nằm trong các đường bình độ phải được in bằng màu đen. Các chướng ngại vật cũng phải được thể hiện trên sơ đồ.
3. Đường bình độ cao hơn kế tiếp so với độ cao 300m (1000 ft) trên mức cao sân bay trong sơ đồ địa hình gốc có thể được lựa chọn để bắt đầu thể hiện màu cho các lớp.
Điều 77. Độ lệch từ
Độ lệch từ sử dụng để xác định các hướng từ, vệt bay và ra-đi-ăng phải được thể hiện bằng đơn vị độ gần nhất.
Điều 78. Phương vị, vệt bay và ra-đi-ăng
1. Phương vị, vệt bay và ra-đi-ăng phải được thể hiện theo hướng từ. Qui định này có thể được thể hiện kèm theo trong sơ đồ khi cần thiết.
2. Trường hợp sơ đồ thể hiện phương vị, vệt bay và ra-đi-ăng theo hình thức hướng Bắc thực hoặc hướng Bắc theo lưới tọa độ thì các thông tin này phải được xác nhận rõ ràng.
Điều 79. Dữ liệu hàng không
1. Sân bay:
a) Sân bay khởi hành phải được thể hiện bằng hình thức đường CHC;
b) Tất cả các sân bay có ảnh hưởng đến phương thức khởi hành tiêu chuẩn bằng thiết bị liên quan phải được thể hiện và nhận diện.
2. Các khu vực cấm bay, hạn chế bay và khu vực nguy hiểm có thể ảnh hưởng đến việc thực hiện các phương thức phải được thể hiện với thông tin nhận dạng và kèm theo các giới hạn về độ cao.
3. Độ cao tối thiểu theo phân khu:
a) Các độ cao tối thiểu theo phân khu được thiết lập dựa trên cơ sở phương tiện phụ trợ dẫn đường thích hợp với phương thức phải được thể hiện rõ ràng với các chỉ số áp dụng cho các phân khu liên quan;
b) Trong trường hợp các độ cao tối thiểu theo phân khu chưa được thiết lập, sơ đồ phải được xây dựng theo tỷ lệ và các độ cao an toàn tối thiểu theo khu vực phải được thể hiện trong tứ giác được định dạng bởi các đường vĩ tuyến và kinh tuyến. Các độ cao tối thiểu theo khu vực cũng phải được thể hiện trong các phần của sơ đồ không nằm trong phạm vi qui định đối với độ cao tối thiểu theo phân khu;
c) Tùy thuộc vào tỷ lệ sơ đồ được lựa chọn, các tứ giác được định dạng bởi các đường vĩ tuyến và đường kinh tuyến thường được lựa chọn phải có giá trị tương ứng với 0,5 độ của các kinh dộ, vĩ độ.
4. Hệ thống cung cấp dịch vụ ATS
Các thành phần của hệ thống cung cấp dịch vụ ATS thích hợp được thiết lập phải được thể hiện trên sơ đồ. Các thành phần được thể hiện bao gồm:
a) Biểu đồ mô tả từng phương thức khởi hành bằng thiết bị, bao gồm: chỉ danh đường bay; các điểm trọng yếu xác định đường bay; vệt bay hoặc ra-đi-ăng với giá trị chính xác đến độ gần nhất cho từng đoạn của đường bay; giá trị cự ly giữa các điểm trọng yếu làm tròn đến km hoặc hải lý gần nhất; các độ cao bay tối thiểu dọc theo đường bay hay các đoạn đường bay cần thiết cho phương thức với giá trị làm tròn gần nhất đến hàng bội số của 50 m hoặc 100 các hạn chế về độ cao bay (nếu có); với các sơ đồ được thể hiện theo tỷ lệ và được cung cấp phương thức dẫn dắt tàu bay khởi hành bằng ra-đa thì các độ cao tối thiểu được thiết lập để sử dụng dẫn dắt ra-đa phải được thể hiện với giá trị làm tròn gần nhất đến hàng bội số của 50 m hoặc 100 ft;
b) Các phương tiện phụ trợ dẫn đường phù hợp với các đường bay, bao gồm: tên của các phương tiện thể hiện dưới dạng ngôn ngữ rõ nghĩa; nhận dạng của các thiết bị; tần số; tọa độ địa lý của các thiết bị được thể hiện bằng độ, phút, giây; đối với DME, phần thể hiện bao gồm cả kênh tín hiệu và mức cao của ăng- ten phải được thể hiện với độ chính xác đến 30m gần nhất;
c) Tên mã hóa của các điểm trọng yếu không được đánh dấu bằng vị trí của các thiết bị phụ trợ dẫn đường; tọa độ địa lý của các điểm này theo hình thức độ, phút, giây; phương vị so với thiết bị phụ trợ được tham chiếu theo hình thức độ, phút, giây (độ chính xác 0,1 giây); cự ly tính từ thiết bị phụ trợ được tham chiếu với độ chính xác tương ứng với 0,2 km (0,1 NM);
d) Các khu chờ;
đ) Độ cao chuyển tiếp;
e) Vị trí và độ cao của các chướng ngại vật gần kề có vi phạm bề mặt nhận dạng chướng ngại vật. Chướng ngại vật vi phạm và gần kề với trục bề mặt nhận dạng chướng ngại vật nhưng không được xem xét trong mối liên quan đến độ dốc bay lên được công bố phải được thể hiện bằng một lưu ý cụ thể;
g) Giới hạn tốc độ trong khu vực (nếu áp dụng);
h) Các điểm báo cáo bắt buộc, báo cáo theo yêu cầu;
i) Phương thức liên lạc vô tuyến, bao gồm: tên gọi của cơ sở cung cấp ATS; tần số liên lạc; yêu cầu về cài đặt máy phát đáp.
MỤC 2. SƠ ĐỒ KHU VỰC TIẾP CẬN
Điều 80. Chức năng
Cung cấp cho tổ lái các thông tin để tạo điều kiện thuận lợi cho các giai đoạn sau đây của một chuyến bay sử dụng thiết bị:
1. Đoạn chuyển tiếp giữa giai đoạn trên đường bay và giai đoạn tiếp cận đến một sân bay.
2. Đoạn chuyển tiếp giữa giai đoạn cất cánh hoặc giai đoạn tiếp cận hụt và giai đoạn trên đường bay.
3. Khi bay qua các khu vực có cấu trúc vùng trời hoặc đường bay không lưu phức tạp.
4. Các chức năng này có thể được đáp ứng bằng một sơ đồ riêng biệt hoặc trang rời trên sơ đồ đường bay.
Điều 81. Tính khả dụng
1. Sơ đồ khu vực tiếp cận phải được chuẩn bị sẵn sàng khi các đường bay không lưu hoặc các yêu cầu về báo cáo vị trí phức tạp và không thích hợp cho việc thể hiện trên Sơ đồ hệ thống đường hàng không.
2. Trường hợp các đường bay không lưu hoặc các yêu cầu về báo cáo vị trí có sự khác biệt ở giai đoạn đến, giai đoạn khởi hành và không thể thể hiện rõ ràng trên một sơ đồ thì phải cung cấp theo các sơ đồ tách riêng.
Điều 82. Phạm vi và tỷ lệ
1. Phạm vi của từng sơ đồ phải mở rộng đến các điểm của các tuyến bay khởi hành và các tuyến bay đến.
2. Sơ đồ phải được trình bày theo tỷ lệ cụ thể. Thước tỷ lệ phải được thể hiện trong các sơ đồ và được trình bày theo tỷ lệ.
Điều 83. Phép chiếu hình
1. Các đường kinh tuyến, vĩ tuyến phải được thể hiện với khoảng giãn cách phù hợp.
2. Các dấu chia đoạn phải được bố trí thích hợp đọc theo đường chia khoảng giãn cách kinh tuyến và vĩ tuyến.
Điều 84. Nhận dạng
Sơ đồ phải được nhận dạng bằng tên của vùng trời được mô tả và là một trong các tên sau: tên của cơ sở cung cấp dịch vụ không lưu, tên của thành phố hoặc thị trấn lớn nhất nằm trong khu vực được bao trùm trong sơ đồ hoặc tên của thành phố nơi có sân bay. Trường hợp có nhiều hơn một sân bay trong thành phố hoặc thị trấn, cần bổ sung tên của sân bay mà các phương thức dẫn đường được xây dựng cho sân bay đó.
Điều 85. Cách thức thể hiện và các ghi chú về địa hình
Các đường ven của tất cả các vùng nước mở rộng, các vùng hồ lớn và các dòng sông phải được biểu thị khái quát trừ khi có sự xung đột với các dữ liệu khác cần thiết hơn cho chức năng sử dụng của sơ đồ.
Điều 86. Độ lệch từ
Độ lệch từ trung bình trong khu vực thuộc phạm vi của sơ đồ phải được biểu thị đến hàng đơn vị của giá trị độ theo hệ đo lường góc và được làm tròn gần nhất.
Điều 87. Phương vị, vệt bay và ra-đi-ăng
1. Phương vị, vệt bay và ra-đi-ăng phải theo hướng từ, trừ qui định trong khoản 2 Điều này. Khi phương vị và vệt bay được cung cấp bổ sung các giá trị hướng thực cho các giai đoạn RNAV, chúng phải được biểu thị trong ngoặc đơn đến 0,1 độ và được làm tròn gần nhất.
2. Phải chỉ rõ khi phương vị, vệt bay hoặc ra-đi-ăng được tham chiếu theo hướng Bắc thực hoặc hướng Bắc theo lưới tọa độ. Khi hướng Bắc theo lưới tọa độ được sử dụng, kinh tuyến lưới tham chiếu phải được chỉ rõ.
Điều 88. Dữ liệu hàng không
1. Sân bay: tất cả các sân bay có ảnh hưởng đến các tuyến bay khu vực tiếp cận phải được biểu thị. Biểu tượng khuôn hình đường CHC phải được sử dụng phù hợp.
2. Khu vực cấm, khu vực hạn chế và khu vực nguy hiểm: các khu vực cấm, khu vực hạn chế và khu vực nguy hiểm phải được mô tả cùng với nhận dạng và giới hạn theo phương thẳng đứng.
3. Độ cao tối thiểu khu vực: các độ cao tối thiểu khu vực phải được biểu thị trong các khu vực tứ giác kinh, vĩ tuyến chẵn độ.
4. Hệ thống dịch vụ điều hành bay phải thể hiện các thành phần của hệ thống dịch vụ điều hành bay liên quan, các thành phần này bao gồm:
a) Các phương tiện phụ trợ dẫn đường vô tuyến liên quan đến hệ thống dịch vụ điều hành bay gồm tên, nhận dạng, tần số, tọa độ địa lý theo độ, phút, giây;
b) Đối với phương tiện DME, bổ sung mức cao của ăng-ten phát sóng được làm tròn đến 30 m (100 ft);
c) Các phương tiện vô tuyến vùng tiếp cận được yêu cầu cho các hoạt động bay đi, bay đến và bay chờ;
d) Các giới hạn theo chiều ngang, chiều cao của các vùng trời thiết lập và phân loại vùng trời đó;
đ) Loại đặc tính dẫn đường bao gồm bất cứ các hạn chế nào (nếu có);
e) Các khu chờ và các tuyến bay vùng tiếp cận bao gồm tên tuyến bay, vệt bay được làm tròn đến đơn vị độ dọc theo từng giai đoạn của các đường hàng không và các tuyến bay vùng tiếp cận được thể hiện;
g) Tất cả các điểm trọng yếu xác định các tuyến bay vùng tiếp cận và không được đánh dấu bằng vị trí của phương tiện dẫn đường vô tuyến, bao gồm cả tên đã được mã hóa, tọa độ địa lý theo đơn vị độ, phút và giây;
h) Đối với các lộ điểm xác định các tuyến bay dẫn đường khu vực theo hệ thống VOR/DME, cần bổ sung:
- Nhận dạng của phương tiện và tần số vô tuyến của hệ thống VOR/DME tham chiếu;
- Phương vị theo độ được làm tròn gần nhất đến phần mười của đơn vị km hoặc phần mười của đơn vị hải lý tính từ hệ thống VOR/DME tham chiếu, nếu lộ điểm không có cùng vị trí với hệ thống VOR/DME.
i) Tên của tất cả các điểm báo cáo bắt buộc và theo yêu cầu;
k) Các cự ly theo km hoặc hải lý được làm tròn đến hàng đơn vị giữa các điểm trọng yếu xác định nên các điểm vòng rẽ hoặc các điểm báo cáo;
l) Đối với các điểm đổi đài nằm trên các giai đoạn của tuyến bay được xác định dựa trên tầm hoạt động của VOR, phải chỉ ra các cự ly theo đơn vị km hoặc hải lý cách phương tiện dẫn đường vô tuyến;
m) Các độ cao tối thiểu trên đường bay và các độ cao vượt chướng ngại vật tối thiểu của các đường bay không lưu được làm tròn gần nhất đến hàng bội số của 50 m hoặc đến hàng bội số của 100 ft;
n) Các độ cao dẫn dắt ra đa tối thiểu đã thiết lập theo đơn vị mét và được làm tròn gần nhất đến hàng bội số của 50 m hoặc đến hàng bội số của 100 ft;
o) Các hạn chế về tốc độ trong khu vực và các hạn chế về mức cao, độ cao (nếu có);
p) Các phương tiện thông tin liên lạc được liệt kê cùng với các kênh tần số và địa chỉ đăng nhập nếu được áp dụng;
q) Dấu hiệu của các điểm trọng yếu bay qua.
MỤC 3. SƠ ĐỒ PHƯƠNG THỨC ĐẾN TIÊU CHUẨN SỬ DỤNG THIẾT BỊ
Điều 89. Chức năng
Cung cấp cho tổ lái các thông tin để thực hiện chuyến bay theo các đường đến tiêu chuẩn bằng thiết bị bắt đầu từ giai đoạn bay đường dài đến giai đoạn tiếp cận để hạ cánh.
Điều 90. Tính khả dụng
Sơ đồ phương thức đến tiêu chuẩn bằng thiết bị (STAR) phải được xây dựng và công bố cho mọi sân bay có thiết lập các phương thức đến tiêu chuẩn bằng thiết bị và trong trường hợp mà các thông tin cần thiết liên quan không được thể hiện đầy đủ trong sơ đồ khu vực sân bay.
Điều 91. Phạm vi và tỷ lệ
1. Phạm vi của sơ đồ phải đủ để xác định từ điểm kết thúc của giai đoạn bay đường dài đến điểm bắt đầu của giai đoạn tiếp cận.
2. Sơ đồ phải được trình bày theo tỷ lệ cụ thể. Thước tỷ lệ phải được thể hiện trong các sơ đồ và được trình bày theo tỷ lệ.
3. Khi không thể trình bày theo tỷ lệ, sơ đồ phải được ghi chú rõ ràng bằng cụm từ chỉ dẫn "KHÔNG THEO TỶ LỆ".
Điều 92. Phép chiếu
1. Phép chiếu phải bảo đảm sử dụng các đường thẳng gần đúng với vòng tròn lớn.
2. Khi sơ đồ được thể hiện theo tỷ lệ, các đường vĩ tuyến và kinh tuyến phải được thể hiện theo các cự ly thích hợp.
3. Các dấu hiệu chia độ phải được thể hiện phù hợp kèm theo các đường thể hiện các cự ly.
Điều 93. Nhận dạng
Sơ đồ phải bảo đảm được nhận dạng bằng tên của thành phố hay khu vực có sân bay, tên của sân bay và nhận dạng của các phương thức đến tiêu chuẩn được thiết lập phù hợp với các qui định của ICAO.
Điều 94. Cách thức thể hiện và các ghi chú về địa hình
1. Trường hợp sơ đồ được thể hiện theo tỷ lệ, các đường viền của bờ biển, vùng có nước, hồ lớn, sông đều phải được thể hiện trên sơ đồ trừ khi những thông tin này ảnh hưởng đến các thông tin có chức năng quan trọng hơn đối với sơ đồ.
2. Sơ đồ cần được xây dựng theo tỷ lệ và tất cả hình thái địa hình nổi bật cao hơn 300 m (1000 ft) so với mức cao sân bay đều phải được thể hiện theo hình thức đường bình độ có giá trị độ cao đi kèm và được in bằng màu nâu nhạt. Các mức cao bao gồm cả các điểm cao nhất nằm trong các đường bình độ phải được in bằng màu đen. Các chướng ngại vật cũng phải được thể hiện trên sơ đồ.
3. Đường bình độ cao hơn kế tiếp so với độ cao 300 m (1000 ft) trên mức cao sân bay trong sơ đồ địa hình gốc được lựa chọn để bắt đầu thể hiện màu cho các lớp.
Điều 95. Độ lệch từ
Độ lệch từ sử dụng để xác định các hướng từ, vệt bay và ra-đi-ăng phải được thể hiện bằng đơn vị độ gần nhất.
Điều 96. Phương vị, vệt bay và ra-đi-ăng
1. Phương vị, vệt bay và ra-đi-ăng phải được thể hiện theo hướng từ.
2. Khi sơ đồ thể hiện phương vị, vệt bay và ra-đi-ăng theo hình thức hướng Bắc thực hoặc hướng Bắc theo lưới tọa độ thì các thông tin này phải được xác nhận rõ ràng.
Điều 97. Dữ liệu hàng không
1. Sân bay:
a) Sân bay hạ cánh phải được thể hiện bằng hình thức đường CHC;
b) Tất cả các sân bay có ảnh hưởng đến phương thức đến tiêu chuẩn bằng thiết bị liên quan phải được thể hiện và nhận dạng. Trong trường hợp có thể, các sân bay này nên được thể hiện bằng hình thức đường CHC.
2. Các khu vực cấm bay, hạn chế bay và nguy hiểm: các khu vực cấm bay, hạn chế bay và nguy hiểm có thể ảnh hưởng đến việc thực hiện các phương thức phải được thể hiện với thông tin nhận dạng đầy đủ kèm theo cả các giá trị giới hạn về độ cao.
3. Độ cao tối thiểu theo phân khu:
a) Các độ cao tối thiểu theo phân khu được thiết lập dựa trên cơ sở phương tiện phụ trợ dẫn đường thích hợp với phương thức phải được thể hiện rõ ràng các chỉ số áp dụng cho phân khu liên quan;
b) Trong trường hợp các độ cao tối thiểu theo phân khu chưa được thiết lập, sơ đồ được xây dựng theo tỷ lệ và các độ cao an toàn tối thiểu theo khu vực phải thể hiện trong tứ giác được định dạng bởi các đường vĩ tuyến và kinh tuyến. Các độ cao tối thiểu theo khu vực cũng phải được thể hiện trong các phần của sơ đồ không nằm trong phạm vi qui định đối với độ cao tối thiểu theo phân khu.
4. Hệ thống cung cấp dịch vụ ATS
Các thành phần của hệ thống cung cấp dịch vụ ATS thích hợp được thiết lập phải được thể hiện trên sơ đồ. Các thành phần được thể hiện bao gồm:
a) Biểu đồ mô tả từng phương thức khởi hành bằng thiết bị bao gồm: các chỉ danh đường đến; các điểm trọng yếu xác định đường bay; vệt bay hoặc ra-đi-ăng với giá trị chính xác đến đơn vị độ gần nhất cho từng đoạn của đường bay; giá trị cự ly giữa các điểm trọng yếu tính đến km hoặc NM gần nhất; các độ cao bay tối thiểu dọc theo đường bay hay các đoạn đường bay cần thiết của phương thức với giá trị làm tròn gần nhất đến hàng bội số của 50 m hoặc 100 ft, các hạn chế về độ cao bay (nếu có); với các sơ đồ được thể hiện theo tỷ lệ và được cung cấp phương thức dẫn dắt tàu bay khởi hành bằng ra-đa thì các độ cao tối thiểu được thiết lập để sử dụng dẫn dắt ra-đa phải được thể hiện rõ ràng với giá trị được làm tròn gần nhất đến hàng bội số của 50 m hoặc 100 ft;
b) Các thiết bị phụ trợ dẫn đường phù hợp với các đường bay, bao gồm: tên của các thiết bị thể hiện dưới dạng rõ nghĩa; tần số; nhận dạng của các thiết bị; tọa độ địa lý của các thiết bị được thể hiện bằng độ, phút, giây; đối với DME, phần thể hiện bao gồm cả kênh tín hiệu và mức cao của ăng ten phải được thể hiện với độ chính xác đến 30 m gần nhất;
c) Tên mã hóa của các điểm trọng yếu không được đánh dấu bằng vị trí của các thiết bị phụ trợ dẫn đường; tọa độ địa lý của các điểm này theo hình thức độ, phút, giây; phương vị so với phương tiện phụ trợ được tham chiếu theo hình thức độ, phút, giây (độ chính xác 0,1 giây); cự ly tính từ phương tiện phụ trợ được tham chiếu với độ chính xác tương ứng với 0,2 km;
d) Các khu chờ;
đ) Độ cao chuyển tiếp;
e) Giới hạn tốc độ trong khu vực (nếu áp dụng);
g) Tất cả các điểm báo cáo bắt buộc, báo cáo theo yêu cầu;
h) Phương thức liên lạc vô tuyến, bao gồm: tên gọi của cơ sở cung cấp dịch vụ ATS; tần số liên lạc; yêu cầu về cài đặt máy phát đáp.
MỤC 4. SƠ ĐỒ PHƯƠNG THỨC TIẾP CẬN SỬ DỤNG THIẾT BỊ
Điều 98. Chức năng
Sơ đồ này cung cấp cho tổ lái các thông tin để thực hiện chuyến bay theo một phương thức tiếp cận bằng thiết bị được phê chuẩn đến đường CMC dự định bao gồm cả phương thức tiếp cận hụt và các khu chờ.
Điều 99. Tính khả dụng
1. Sơ đồ phương thức tiếp cận sử dụng thiết bị (IAP) phải được xây dựng và công bố cho sân bay có hoạt động bay dân dụng.
2. Sơ đồ phương thức tiếp cận riêng biệt phải được xây dựng và công bố cho từng phương thức tiếp cận chính xác.
3. Sơ đồ phương thức tiếp cận riêng biệt phải được xây dựng và công bố cho từng phương thức tiếp cận giản đơn.
4. Khi có sự khác biệt của các giá trị (số liệu) về vệt bay, thời gian hay độ cao (trừ số liệu liên quan đến giai đoạn tiếp cận chót) xác lập cho các loại tàu bay khác nhau và việc liệt kê các sự khác biệt này trong cùng một sơ đồ làm cho sơ đồ trở nên rắc rối, dễ nhầm lẫn thì phương thức phải được công bố trên nhiều sơ đồ.
5. Sơ đồ phương thức tiếp cận phải được sửa đổi khi có thông tin quan trọng liên quan đến an toàn hoạt động bay thay đổi.
Điều 100. Phạm vi và tỷ lệ
1. Phạm vi của sơ đồ phải bao quát toàn bộ các giai đoạn của phương thức tiếp cận sử dụng thiết bị và các khu vực bổ sung cần thiết.
2. Tỷ lệ của sơ đồ được lựa chọn phải bảo đảm tính tối ưu, rõ ràng và phù hợp với:
a) Phương thức được thể hiện trên sơ đồ;
b) Kích thước khổ giấy trình bày.
3. Chỉ số tỷ lệ phải được xác định:
a) Khi không thể xác định được chỉ số tỷ lệ, một vòng tròn bán kính 20 km (10 NM) tính từ đài DME được lắp đặt trên hoặc gần sân bay hoặc tính từ điểm qui chiếu sân bay đối với trường hợp không có DME phải được thể hiện trên sơ đồ. Bán kính của vòng tròn này phải được xác định rõ trên chu vi của đường tròn;
b) Tỷ lệ về cự ly phải được thể hiện ngay dưới phần trình bày quĩ đạo theo chiều thẳng đứng.
Điều 101. Định dạng và phép chiếu
1. Định dạng: kích thước khổ giấy sử dụng để trình bày là A4 hoặc A5.
2. Phép chiếu:
a) Phép chiếu phải bảo đảm sử dụng các đường thẳng gần đúng với vòng tròn lớn;
b) Các dấu hiệu chia độ phải được thể hiện phù hợp kèm theo các đường thể hiện các cự ly.
Điều 102. Nhận dạng
1. Sơ đồ phải bảo đảm được nhận dạng bằng tên của tỉnh, thành phố trực thuộc trung ương hay khu vực có sân bay, tên của sân bay và nhận dạng của các phương thức tiếp cận sử dụng thiết bị được thiết lập phù hợp với các qui định của ICAO.
2. Tên nhận dạng của các phương thức tiếp cận bằng thiết bị phải do các nhân viên thiết kế phương thức bay xác lập.
Điều 103. Cách thức thể hiện và các ghi chú về địa hình
1. Các thông tin thích hợp liên quan đến việc thực hiện an toàn phương thức tiếp cận bằng thiết bị bao gồm cả phương thức tiếp cận hụt, các khu chờ, phương thức di chuyển bằng mắt được thiết lập phải được thể hiện đúng quy định về cách thức và các ghi chú về địa hình. Trường hợp cần thiết, các ghi chú địa hình nên được đặt tên để bảo đảm thuận tiện cho việc nhận biết các thông tin này và phải bảo đảm các thông tin tối thiểu mô tả về các khu vực trên đất liền, hồ lớn và sông ngòi.
2. Các đặc điểm nổi bật về mức cao trong khu vực phải được thể hiện theo cách phù hợp nhất. Trong các khu vực địa hình có sự khác biệt về mức cao trên 1200 m (4000 ft) so với mức cao sân bay trong phạm vi bán kính 11 km (6 NM) tính từ điểm qui chiếu sân bay, khi giai đoạn tiếp cận chót, giai đoạn tiếp cận hụt có độ dốc lớn hơn độ dốc tối ưu xuất phát từ điều kiện địa hình thì các sự khác biệt trên 150 m (400 ft) so với mức cao sân bay phải được thể hiện bằng các đường bình độ. Các đường bình độ và giá trị của nó phải được thể hiện bằng màu nâu. Các điểm đánh dấu độ cao bao gồm cả các điểm có mức cao lớn nhất trong các đường bình độ trên cùng phải được thể hiện bằng màu đen.
3. Trong trường hợp các đặc điểm địa hình có sự khác biệt về mức cao thấp hơn chỉ số qui định tại khoản 2 Điều này, tất cả các sự khác biệt trên 150 m (400 bộ ft) so với mức cao sân bay đều phải được thể hiện bằng các đường bình độ. Các đường bình độ và giá trị của nó phải được thể hiện bằng màu nâu. Các điểm đánh dấu độ cao bao gồm cả các điểm có mức cao lớn nhất trong các đường bình độ trên cùng phải được thể hiện bằng màu đen.
4. Đường bình độ cao hơn kế tiếp so với độ cao 150 m (400 bộ) trên mức cao sân bay trong sơ đồ địa hình gốc được lựa chọn để bắt đầu thể hiện màu cho các lớp.
Điều 104. Độ lệch từ
1. Độ lệch từ phải được thể hiện trong sơ đồ.
2. Giá trị độ lệch từ được xác định đến đơn vị độ gần nhất phải phù hợp với việc sử dụng để xác định phương vị, vệt bay và ra-đi-ăng.
Điều 105. Phương vị, vệt bay và ra-đi-ăng
1. Phương vị, vệt bay và ra-đi-ăng phải được thể hiện dựa trên hướng từ.
2. Khi sơ đồ thể hiện phương vị, vệt bay và ra-đi-ăng theo hình thức hướng Bắc thực hoặc hướng Bắc theo lưới tọa độ thì các thông tin này phải được thể hiện trên sơ đồ.
Điều 106. Dữ liệu hàng không
1. Sân bay:
a) Tất cả các sân bay có đặc điểm riêng biệt phải được thể hiện trên sơ đồ bằng ký hiệu thích hợp. Sân bay không sử dụng cho các hoạt động thương mại phải được nhận dạng là sân bay không sử dụng;
b) Hình thái đường CHC phải được thể hiện rõ ràng ở tỷ lệ đủ lớn để biểu thị:
- Sân bay được xây dựng phương thức;
- Các sân bay có ảnh hưởng đến mô hình hoạt động không lưu hoặc được đặt tại vị trí có thể gây nhầm lẫn với sân bay dự định hạ cánh trong các trường hợp điều kiện thời tiết xấu.
c) Mức cao sân bay phải được thể hiện tại vị trí dễ nhận biết trong sơ đồ với độ chính xác đến mét hoặc bộ gần nhất.
2. Các chướng ngại vật:
a) Phải được thể hiện trên sơ đồ theo mặt phẳng ngang;
b) Được xác định là nhân tố quyết định độ cao, chiều cao vượt chướng ngại vật đều phải được nhận điện;
c) Mức cao của chướng ngại vật cao nhất phải được làm tròn lên đơn vị mét hoặc bộ gần nhất;
d) Các chiều cao của các chướng ngại vật so với một mốc khác mực nước biển trung bình (như mức cao sân bay) phải được thể hiện theo hình thức để trong ngoặc đơn;
đ) Trường hợp các chiều cao của các chướng ngại vật so với một mốc khác mực nước biển trung bình được thể hiện thì mức cao sân bay phải được lựa chọn làm mốc tham chiếu trừ trường hợp đường CHC sử dụng thiết bị có mức cao đầu thềm thấp hơn mức cao sân bay 02 m (07 ft). Trong trường hợp này, mức cao đầu thềm đường CHC có liên quan đến phương thức phải được lựa chọn làm mốc tham chiếu;
e) Điểm mốc lựa chọn phải được thể hiện nổi bật trong sơ đồ;
g) Sơ đồ phải bảo đảm thông tin về việc sân bay không được thiết lập các bề mặt không có chướng ngại vật đối với tiếp cận chính xác cấp 1 (Cat I).
3. Các khu vực cấm bay, khu vực hạn chế bay và khu vực nguy hiểm có ảnh hưởng đến quá trình thực hiện phương thức phải được thể hiện trên sơ đồ bao gồm cả nhận dạng và các giới hạn về độ cao.
4. Thiết bị thông tin liên lạc, dẫn đường:
a) Sơ đồ phải thể hiện tất cả các phương tiện phụ trợ dẫn đường cần thiết cho các phương thức với các thông tin tần số, nhận dạng các đặc điểm xác định vệt bay kèm theo. Trong trường hợp phương thức có nhiều hơn một phương tiện được bố trí trên tuyến tiếp cận chót thì phương tiện được sử dụng để cung cấp thông tin dẫn hướng cho giai đoạn tiếp cận chót phải được nhận dạng rõ ràng. Ngoài ra, các phương tiện phụ trợ không được sử dụng cho phương thức nên được xem xét loại bỏ khỏi sơ đồ phương thức tiếp cận;
b) Sơ đồ phải thể hiện đầy đủ vị trí và cả thông tin nhận dạng các điểm mốc tiếp cận chót (FAF) hoặc điểm tiếp cận chót trong phương thức sử dụng thiết bị ILS;
c) Mốc tiếp cận chót (FAF) hoặc điểm tiếp cận chót trong phương thức ILS cần được nhận diện bằng tọa độ địa lý tính theo độ, phút, giây;
d) Các phương tiện phụ trợ dẫn đường được sử dụng trong các phương thức đi sân bay dự bị (nếu có) cũng cần được thể hiện và chỉ ra trong sơ đồ kèm theo các thông tin cần thiết về đặc điểm xác định vệt bay;
đ) Sơ đồ phải thể hiện được các thông tin về tần số liên lạc vô tuyến, tên gọi của cơ sở liên quan cần thiết cho việc thực hiện phương thức;
e) Sơ đồ phải thể hiện được các thông tin về cự ly (tính đến km hoặc NM gần nhất) tính từ sân bay tới các phương tiện phụ trợ dẫn đường có liên quan đến giai đoạn tiếp cận chót. Phương vị của sân bay so với vị trí thiết bị cũng cần phải được thể hiện đến đơn vị độ gần nhất khi không có thông tin về hỗ trợ xác định vệt bay.
5. Độ cao tối thiểu theo phân khu hay độ cao bay đến khu vực trung tận phải được thể hiện kèm theo các chỉ số liên quan được áp dụng do cơ quan có thẩm quyền thiết lập.
6. Thể hiện các vệt bay của phương thức
a) Hình ảnh theo mặt phẳng ngang của sơ đồ phải được trình bày theo hình thức xác định các thông tin sau đây:
- Vệt bay của phương thức bằng nét liền có mũi tên chỉ hướng bay;
- Vệt bay của phương thức tiếp cận hụt bằng nét đứt có mũi tên;
- Các vệt bay khác cần bổ sung bằng các dấu chấm có mũi tên;
- Các giá trị phương vị, vệt bay và ra-đi-ăng được thể hiện bằng đơn vị độ gần nhất. Các giá trị cự ly được thể hiện đến 0,2 km hoặc 0,1 NM. Các giá trị thời gian cần thiết cho thực hiện phương thức;
- Giá trị phương vị từ của sân bay so với phương tiện phụ trợ dẫn đường liên quan đến giai đoạn tiếp cận chót được thể hiện bằng đơn vị độ gần nhất khi không có hỗ trợ xác định vệt bay;
- Đường ranh giới của phân khu không được phép thực hiện phương thức di chuyển bằng mắt (vòng lượn);
- Các khu chờ và độ cao chờ thích hợp với phương thức tiếp cận và tiếp cận hụt;
- Các lưu ý cần thiết phải được thể hiện nổi bật trên sơ đồ.
b) Hình ảnh theo mặt phẳng ngang của sơ đồ phải thể hiện khoảng cách từ phương tiện phụ trợ dẫn đường liên quan đến giai đoạn tiếp cận hụt đến sân bay;
c) Quĩ đạo theo mặt phẳng thẳng đứng phải được thể hiện ngay dưới phần thể hiện theo mặt phẳng ngang với các dữ liệu sau:
- Sân bay được thể hiện bằng một khối đặc tại mức cao sân bay;
- Quĩ đạo các giai đoạn của phương thức tiếp cận bằng nét liền có mũi tên xác định hướng bay;
- Quĩ đạo phương thức tiếp cận hụt bằng nét đứt có mũi tên và kèm theo mô tả về phương thức;
- Quĩ đạo của các giai đoạn bổ sung khác bằng các dấu chấm có mũi tên;
- Các giá trị phương vị, vệt bay và ra-đi-ăng được thể hiện bằng đơn vị độ gần nhất. Các giá trị cự ly được thể hiện đến 0,2 km hoặc 0,1 NM. Các giá trị thời gian cần thiết cho thực hiện phương thức;
- Các độ cao, chiều cao cần thiết của phương thức bao gồm cả độ cao chuyển tiếp và độ cao, chiều cao phương thức (nếu được thiết lập);
- Giới hạn khoảng cách của vòng lượn phương thức (Procedure turn) tính đến đơn vị km hoặc NM gần nhất;
- Điểm mốc tiếp cận giữa trên phương thức trong trường hợp không được phép thực hiện các phương thức đổi chiều hướng bay;
- Đường liền nét kéo dài toàn bộ chiều rộng của sơ đồ thể hiện mức cao sân bay hoặc mức cao đầu thềm đường CHC thích hợp với thước do khoảng cách theo tỷ lệ được bắt đầu từ đầu thềm đường CHC.
- Các chiều cao của phương thức phải được tham chiếu vào gốc qui định tại điểm đ, khoản 2 Điều này và được thể hiện trong ngoặc đơn;
đ) Hình ảnh thể hiện quĩ đạo theo chiều thẳng đứng phải bao gồm cả hình thái địa hình mặt đất hoặc sự mô tả độ cao, chiều cao tối thiểu như sau:
- Hình thái địa hình mặt đất bằng nét liền thể hiện vị trí có mức cao lớn nhất nổi bật trong khu vực chính (primary area) của giai đoạn tiếp cận hụt. Vị trí có mức cao lớn nhất nổi bật trong khu vực phụ (secondary area) của giai đoạn tiếp cận hụt được thể hiện bằng nét đứt hoặc độ cao, chiều cao trong giai đoạn tiếp cận giữa, tiếp cận chót phải được thể hiện trong hộp được nét bóng đi kèm;
- Để mô tả hình thái địa hình mặt đất, các hình vẽ khu vực chính (primary area) và khu vực phụ (secondary area) trong giai đoạn tiếp cận chót phải được nhân viên thiết kế phương thức bay cung cấp cho nhân viên đồ bản;
- Mô tả về độ cao, chiều cao trong sơ đồ được sử dụng để mô tả phương thức tiếp cận có điểm mốc tiếp cận chót.
7. Tiêu chuẩn khai thác tối thiểu của sân bay
a) Tiêu chuẩn khai thác tối thiểu của sân bay phải được thể hiện trong sơ đồ hoặc được ban hành kèm theo sơ đồ;
b) Độ cao, chiều cao vượt chướng ngại vật đối với các loại tàu bay được sử dụng để thiết kế phương thức phải được thể hiện trong sơ đồ.
8. Các thông tin bổ sung
a) Khi điểm tiếp cận hụt được xác định bằng khoảng cách so với điểm mốc tiếp cận chót hoặc một phương tiện phụ trợ dẫn đường hoặc một điểm mốc tương ứng với khoảng cách tính từ điểm mốc tiếp cận chót thì sơ đồ phải thể hiện số liệu cự ly đến giá trị 0,2 km hoặc 0,1 NM và một bằng số liệu về địa tốc và thời gian bay từ điểm mốc tiếp cận chót đến điểm tiếp cận hụt;
b) Sơ đồ phải thể hiện được bảng số liệu độ cao, chiều cao tương ứng với mỗi 02 km hoặc 01 NM khi phương thức có sử dụng DME trong giai đoạn tiếp cận chót. Bảng số liệu không bao gồm các thông tin khoảng cách tương ứng với độ cao thấp hơn OCA/H;
c) Bảng thông tin độ cao, chiều cao nên được kèm theo để cung cấp thông tin bổ sung đối với các phương thức không sử dụng DME trong giai đoạn tiếp cận chót nhưng có thông tin cự ly của một thiết bị DME thích hợp;
d) Sơ đồ phải thể hiện bằng thông tin về tỷ tốc giảm thấp độ cao liên quan;
đ) Đối với các phương thức tiếp cận giản đơn có điểm mốc tiếp cận chót, sơ đồ phải thể hiện thông tin về độ dốc giảm thấp giai đoạn tiếp cận chót trong ngoặc đơn, góc giảm thấp độ cao với giá trị độ chính xác đến 0,1 độ gần nhất;
e) Đối với phương thức tiếp cận và phương thức tiếp cận cung cấp chỉ dẫn về độ cao, số liệu về độ cao tham chiếu được làm tròn đến 0,5 m (bộ) và đường trượt/độ cao/mức cao/góc đường vượt đối với 0,1 của góc phải được chi rõ;
g) Trong trường hợp điểm tiếp cận chót được xác định là điểm tiếp cận chót của phương thức ILS, cần chi rõ điểm này được áp dụng đối với ILS hay đối với ILS mà phương thức chỉ sử dụng thiết bị chỉ hướng (localizer) hoặc cả hai;
h) Có ghi chú trên sơ đồ nếu góc/tỷ lệ giảm thấp của tiếp cận chót đối với mỗi loại phương thức tiếp cận bằng thiết bị vượt quá giá trị tối đa xác định trong tài liệu ICAO Doc 8168.
9. Yêu cầu dữ liệu hàng không: các dữ liệu thích hợp hỗ trợ cho mã hóa dữ liệu dẫn đường phải được công bố theo quy định tại tài liệu ICAO Doc 8168.
MỤC 5. SƠ ĐỒ PHƯƠNG THỨC TIẾP CẬN BẰNG MẮT
Điều 107. Chức năng
Cung cấp cho tổ lái các thông tin để thực hiện việc chuyển tiếp của chuyến bay từ giai đoạn bay đường dài, giảm thấp độ cao sang các giai đoạn sử dụng các tham chiếu bằng mắt tiếp cận hạ cánh xuống đường CHC dự định.
Điều 108. Tính khả dụng
Sơ đồ phương thức tiếp cận bằng mắt được xây dựng và công bố cho mọi sân bay có hoạt động bay dân dụng quốc tế, nội địa theo quy định khi:
1. Khả năng bảo đảm của phương tiện phụ trợ dẫn đường ở mức hạn chế hoặc không bảo đảm khả năng liên lạc vô tuyến; sân bay không có sơ đồ hàng không thích hợp và chỉ được cung cấp loại sơ đồ tỷ lệ 1: 500000 hoặc lớn hơn.
2. Có thiết lập các phương thức tiếp cận bằng mắt.
Điều 109. Tỷ lệ
1. Tỷ lệ của sơ đồ phải đủ lớn để cho phép mô tả các đặc điểm quan trọng và các chỉ số sân bay.
2. Tỷ lệ của sơ đồ không được nhỏ hơn 1: 500000 và khuyến khích sử dụng tỷ lệ 1:250000 và 1:200000.
3. Sơ đồ tiếp cận bằng mắt phải được thể hiện theo tỷ lệ tương đương với tỷ lệ của sơ đồ phương thức tiếp cận bằng thiết bị đã được thiết lập trước đó (nếu có).
Điều 110. Định dạng và phép chiếu
1. Định dạng: kích thước khổ giấy sử dụng để trình bày là A4.
2. Phép chiếu:
a) Phép chiếu phải bảo đảm sử dụng các đường thẳng gần đúng với vòng tròn lớn;
b) Các dấu hiệu chia độ phải được thể hiện phù hợp kèm theo các đường thể hiện các cự ly.
Điều 111. Nhận dạng
Sơ đồ phải bảo đảm được nhận dạng bằng tên của thành phố hay khu vực có sân bay và tên của sân bay.
Điều 112. Các ghi chú về địa hình
Các đặc điểm địa hình tự nhiên và địa vật phải được thể hiện trên sơ đồ, bao gồm:
1. Tên vị trí địa lý chỉ được thể hiện khi cần thiết để tránh nhầm lẫn.
2. Các đường bờ biển, hồ, sông, suối cần được thể hiện.
3. Các đặc điểm địa hình nổi bật cần được thể hiện theo cách thích hợp nhất với các đặc điểm về mức cao và chướng ngại vật trong phạm vi sơ đồ.
4. Các hình vẽ liên quan đến các mức độ tham chiếu khác nhau phải được thể hiện sự khác biệt rõ ràng trong cách thể hiện.
Điều 113. Độ lệch từ
Độ lệch từ phải được thể hiện trong sơ đồ.
Điều 114. Phương vị, vệt bay và ra-đi-ăng
1. Phương vị, vệt bay và ra-đi-ăng cần được thể hiện dựa trên hướng từ.
2. Khi sơ đồ thể hiện phương vị, vệt bay và ra-đi-ăng theo hình thức hướng Bắc thực hoặc hướng Bắc theo lưới tọa độ thì các thông tin này phải được xác nhận rõ ràng.
Điều 115. Dữ liệu hàng không
1. Sân bay:
a) Tất cả các sân bay phải được thể hiện theo hình thức đường CHC. Các hạn chế về sử dụng hướng hạ cánh phải được chi rõ. Sơ đồ phải bảo đảm phân biệt rõ hai sân bay gần kề để tránh mọi nguy cơ nhầm lẫn. Sân bay không sử dụng phải được xác định rõ là không sử dụng;
b) Mức cao sân bay phải được thể hiện ở vị trí nổi bật trong sơ đồ.
2. Chướng ngại vật:
a) Các chướng ngại vật phải được thể hiện kèm theo dấu hiệu nhận dạng;
b) Mức cao của đỉnh các chướng ngại vật phải được thể hiện bằng giá trị làm tròn lên đơn vị mét hoặc bộ gần nhất;
c) Chiều cao của chướng ngại vật so với mức cao sân bay phải được thể hiện;
d) Các chiều cao của các chướng ngại vật so với một mốc khác mực nước biển trung bình cần được thể hiện theo hình thức để trong ngoặc đơn.
3. Các khu vực cấm bay, khu vực hạn chế bay và khu vực nguy hiểm phải được thể hiện trên sơ đồ bao gồm cả nhận dạng và các giới hạn về độ cao.
4. Vùng trời được chỉ định: các khu vực kiểm soát và khu vực vòng lượn sân bay phải được mô tả kèm theo các thông tin về giới hạn độ cao và loại vùng trời tương ứng.
5. Thông tin tiếp cận bằng mắt:
a) Các phương thức tiếp cận bằng mắt phải được thể hiện trên sơ đồ, trong trường hợp được áp dụng;
b) Các phương tiện phụ trợ dẫn đường bằng mắt phải được thể hiện;
c) Sơ đồ phải bảo đảm thể hiện được các thông tin: vị trí và kiểu loại hệ thống đèn đường trượt tiếp cận bằng mắt với góc trượt tiếp cận theo thiết kế, độ cao quan sát tối thiểu qua đầu thềm đường CHC trên đường trượt chuẩn, khi đường trục của hệ thống đèn không song song với trục đường CHC, cần cung cấp góc và hướng dịch chuyển (bên phải hoặc bên trái).
6. Thông tin bổ sung:
a) Các phương tiện phụ trợ dẫn đường vô tuyến, tần số và nhận dạng của các phương tiện phụ trợ dẫn đường vô tuyến phải được thể hiện trong sơ đồ;
b) Các phương tiện liên lạc vô tuyến và tần số liên lạc phải được thể hiện trong sơ đồ.
MỤC 6. SƠ ĐỒ ĐỘ CAO TỐI THIỂU GIÁM SÁT KHÔNG LƯU
Điều 116. Chức năng
1. Cung cấp thông tin giúp tổ lái thực hiện theo dõi và kiểm tra chéo các độ cao được ấn định bởi kiểm soát viên không lưu đang sử dụng hệ thống giám sát không lưu.
2. Sơ đồ được sử dụng cho mục đích kiểm tra chéo các độ cao được ấn định trong lúc tàu bay đã được nhận dạng phải được trình bày nổi bật trên sơ đồ.
Điều 117. Tính khả dụng
Sơ đồ độ cao tối thiểu giám sát không lưu phải được thiết lập khi phương pháp dẫn dắt sử dụng hệ thống giám sát không lưu được áp dụng và độ cao dẫn dắt tối thiểu không được trình bày đầy đủ trên các sơ đồ khu vực tiếp cận, SED, STAR.
Điều 118. Phạm vi và tỷ lệ
1. Phạm vi của sơ đồ phải phù hợp với phạm vi dữ liệu liên quan đến dịch vụ dẫn dắt sử dụng hệ thống giám sát không lưu.
2. Sơ đồ phải được vẽ theo tỷ lệ.
Điều 119. Phép chiếu
1. Phép chiếu nón đồng góc được sử dụng.
2. Vạch chia độ và giá trị phải được biểu thị dọc theo các đường kinh tuyến và vĩ tuyến tương ứng.
Điều 120. Nhận dạng
Sơ đồ phải được nhận dạng bằng tên sân bay mà các phương thức dẫn dắt được thiết lập cho sân bay đó. Khi các phương thức dẫn dắt áp dụng cho nhiều sân bay thì lấy tên của vùng trời được biểu thị.
Điều 121. Cách thức thể hiện và các ghi chú về địa hình
1. Đường mép nước cơ bản của các vùng nước nằm trong phạm vi sơ đồ, các hồ nước rộng và các con sông phải được thể hiện trừ khi chúng xung đột với các dữ liệu cần thiết khác đáp ứng các chức năng của sơ đồ.
2. Các mức cao đỉnh của địa hình trọng yếu và của chướng ngại vật phải được biểu thị.
Điều 122. Độ lệch từ
Độ lệch từ trung bình trong khu vực thuộc phạm vi của sơ đồ phải được biểu thị đến đơn vị độ gần nhất.
Điều 123. Phương vị, vệt bay và ra-đi-ăng
1. Phương vị, vệt bay và ra-đi-ăng phải là hướng từ.
2. Cần chỉ rõ khi phương vị, vệt bay hoặc ra-đi-ăng được tham chiếu theo hướng Bắc thực hoặc hướng Bắc từ. Khi hướng Bắc theo lưới tọa độ được sử dụng, đường kinh tuyến lưới tọa độ tham chiếu phải được chỉ rõ.
Điều 124. Dữ liệu hàng không
1. Sân bay:
a) Tất cả các sân bay có ảnh hưởng đến các tuyến bay trong khu vực tiếp cận phải được biểu thị. Biểu tượng khuôn hình đường CHC phải được sử dụng phù hợp;
b) Mức cao của sân bay phải được thể hiện và làm tròn đến đơn vị mét hoặc bộ gần nhất.
2. Khu vực cấm bay, khu vực hạn chế bay và khu vực nguy hiểm phải được mô tả cùng với nhận dạng.
3. Hệ thống dịch vụ điều hành bay phải thể hiện các thành phần của hệ thống dịch vụ điều hành bay liên quan, các thành phần này bao gồm:
a) Các phương tiện dẫn đường về tuyến liên quan và nhận dạng;
b) Giới hạn ngang của vùng trời có liên quan;
c) Các điểm trọng yếu liên quan đến các phương thức khởi hành tiêu chuẩn sử dụng thiết bị và phương thức đến;
d) Độ cao chuyển tiếp;
đ) Thông tin liên quan đến dẫn dắt, bao gồm:
- Các độ cao dẫn dắt tối thiểu làm tròn gần nhất đến bội số của 50 m hoặc 100 bộ và được nhận dạng rõ ràng;
- Các giới hạn ngang của độ cao dẫn dắt tối thiểu theo phân khu thông thường được xác định bởi các phương vị và các ra-đi-ăng đến/từ các thiết bị phụ trợ dẫn đường vô tuyến được làm tròn gần nhất đến độ hoặc tọa độ địa lý theo độ, phút, giây và được hiển thị bởi các đường nét đậm nhằm phân biệt rõ ràng các phân khu được thiết lập;
- Các vòng tròn đồng tâm có khoảng cách đều nhau là 20 km hoặc 10 km khi cần thiết, được biểu thị bằng các đường mảnh đứt đoạn cùng với giá trị bán kính đặt trên đường chu vi và tâm là đài VOR chính của sân bay hoặc là điểm quy chiếu sân bay/sân bay trực thăng;
- Ghi chú liên quan đến việc hiệu chỉnh do ảnh hưởng của nhiệt độ thấp (nếu có).
e) Các phương thức liên lạc bao gồm tên gọi và kênh liên lạc của các cơ quan không lưu có liên quan.
Chương 6.
BẢN ĐỒ, SƠ ĐỒ DẪN ĐƯỜNG
MỤC 1. SƠ ĐỒ HỆ THỐNG ĐƯỜNG HÀNG KHÔNG
Điều 125. Chức năng
Cung cấp cho tổ bay các thông tin để tạo điều kiện thuận lợi cho việc dẫn đường theo các đường bay ATS phù hợp với phương thức ATS.
Điều 126. Tính khả dụng
1. Sơ đồ hệ thống đường hàng không phải được ban hành cho các khu vực được thiết lập vùng thông báo bay.
2. Trong vùng thông báo bay Hà Nội và Hồ Chí Minh, các đường bay ATS yêu cầu về báo cáo vị trí hoặc các giới hạn ngang của các vùng thông báo bay hoặc của các khu vực kiểm soát nằm ở các phân tầng vùng trời khác nhau về không thể biểu thị rõ ràng trên cùng một sơ đồ thì phải tách riêng thành nhiều sơ đồ khác nhau.
Điều 127. Phạm vi và tỷ lệ
1. Phải đảm bảo sự thống nhất về tỷ lệ giữa các sơ đồ tiếp giáp nhau cùng biểu thị một hệ thống đường hàng không.
2. Khu vực tiếp giáp nhau giữa các sơ đồ phải được thể hiện lặp lại để đảm bảo tính liên tục về dẫn đường.
Điều 128. Phép chiếu
1. Các đường kinh tuyến, vĩ tuyến phải được biểu thị với khoảng giãn cách phù hợp với tỷ lệ sơ đồ.
2. Các dấu chia đoạn phải được bố trí thích hợp dọc theo đường chia khoảng giãn cách kinh tuyến, vĩ tuyến.
Điều 129. Nhận dạng
Sơ đồ phải được nhận đạng bằng số nhóm sơ đồ và các số sơ đồ.
Điều 130. Quy cách thể hiện
1. Trường hợp sơ đồ được thể hiện theo tỷ lệ, các đường viền của bờ biển, vùng có nước, hồ lớn, sông phải được thể hiện trên sơ đồ, trừ khi những thông tin này ảnh hưởng đến các thông tin quan trọng hơn đối với sơ đồ.
2. Bên trong mỗi vùng tứ giác được định dạng bởi các đường vĩ tuyến và kinh tuyến, giá trị độ cao tối thiểu khu vực phải được biểu thị.
3. Khi các sơ đồ không được định hướng theo hướng Bắc thực, cách thức định hướng được sử dụng phải được ghi rõ.
Điều 131. Độ lệch từ
Khi có thể, các đường đẳng góc từ phải được biểu thị kèm theo thông tin về ngày, tháng công bố.
Điều 132. Phương vị, vệt bay và ra-đi-ăng
1. Phương vị, vệt bay và ra-đi-ăng phải thể hiện theo hướng từ (trừ qui định tại khoản 2 Điều này). Khi phương vị và vệt bay được cung cấp thêm các giá trị hướng thực cho các giai đoạn thuộc dẫn đường khu vực, chúng phải được biểu thị trong ngoặc đơn đến 0,1 độ và được làm tròn tới giá trị độ gần nhất.
2. Phải chỉ rõ khi phương vị, vệt bay hoặc ra-đi-ăng được tham chiếu theo hướng Bắc thực hoặc hướng Bắc theo lưới tọa độ. Khi hướng Bắc theo lưới tọa độ được sử dụng, kinh tuyến lưới tham chiếu phải được xác định.
Điều 133. Dữ liệu hàng không
1. Sân bay: phải thể hiện tất cả các sân bay được sử dụng cho hoạt động hàng không dân dụng quốc tế và có phương thức tiếp cận sử dụng thiết bị.
2. Khu vực cấm bay, khu vực hạn chế bay và khu vực nguy hiểm phải được mô tả cùng với nhận dạng và giới hạn theo phương thẳng đứng.
3. Hệ thống dịch vụ điều hành bay phải thể hiện các thành phần của hệ thống dịch vụ điều hành bay liên quan, các thành phần này bao gồm:
a) Các thiết bị dẫn đường vô tuyến liên quan đến hệ thống dịch vụ điều hành bay gồm tên, nhận dạng, tần số, tọa độ địa lý theo độ, phút, giây của các phương tiện đó;
b) Đối với thiết bị DME, bổ sung mức cao của ăng-ten phát sóng được làm tròn đến 30m (100 ft);
c) Dấu hiệu của vùng trời đã được chỉ định, bao gồm các giới hạn ngang, cao và loại vùng trời phù hợp;
d) Tất cả các đường bay ATS sử dụng cho bay đường dài, bao gồm tên đường bay, hướng vệt bay được làm tròn gần nhất đến đơn vị độ trên cả hai hướng theo từng đoạn của đường bay ATS và xác định đặc tính dẫn đường gồm cả hạn chế và hướng của luồng không lưu khi được thiết lập;
đ) Các điểm trọng yếu xác định các đường bay ATS và không được xác định bằng vị trí của thiết bị dẫn đường, cùng với tên đã được mã hóa và tọa độ địa lý theo độ, phút, giây;
e) Đối với các lộ điểm xác định các đường bay dẫn đường khu vực theo VOR/DME, cần bổ sung thêm:
- Nhận dạng và tần số vô tuyến của đài VOR/DME được sử dụng để tham chiếu;
- Phương vị được làm tròn đến 0,1 độ và cự ly được làm tròn đến 200 m tính từ đài VOR/DME tham chiếu nếu lộ điểm không cùng vị trí với phương tiện đó.
g) Các điểm báo cáo bắt buộc, theo yêu cầu và các điểm báo cáo không lưu/khí tượng;
h) Các cự ly được làm tròn đến km hoặc NM giữa các điểm trọng yếu chỉ định các điểm vòng rẽ hoặc các điểm báo cáo;
i) Đối với các điểm đổi đài nằm trên các đoạn đường bay được xác định dựa trên tầm hoạt động của đài VOR, phải chỉ ra các cự ly theo đơn vị km hoặc NM cách phương tiện dẫn đường vô tuyến;
k) Các độ cao tối thiểu trên đường bay và các độ cao vượt chướng ngại vật tối thiểu của các đường bay không lưu được làm tròn số gần nhất đến hàng bội số của 50 m hoặc 100 ft;
l) Các phương tiện thông tin liên lạc với tần số và địa chỉ đăng nhập, nếu được áp dụng;
m) Các khu vực nhận dạng phòng không đã được xác định.
4. Các thông tin bổ sung
a) Chi tiết của các tuyến bay khởi hành, bay đến và các khu chờ liên quan trong các khu vực tiếp cận, trừ khi chúng đã được biểu thị trên sơ đồ khu vực tiếp cận, sơ đồ khởi hành tiêu chuẩn sử dụng thiết bị (SID), sơ đồ đến tiêu chuẩn sử dụng thiết bị (STAR);
b) Khi đã được thiết lập, các khu vực đặt độ cao khí áp phải được biểu thị và nhận dạng.
MỤC 2. BẢN ĐỒ HÀNG KHÔNG THẾ GIỚI TỶ LỆ 1:1000000
Điều 134. Chức năng
Cung cấp thông tin đáp ứng yêu cầu dẫn đường hàng không bằng mắt.
Điều 135. Tính khả dụng
Bản đồ hàng không thế giới tỷ lệ 1:1000000 phải được thiết lập theo qui định phân vùng bản đồ tỷ lệ 1:1000000 của ICAO.
Điều 136. Tỷ lệ
1. Thước tỷ lệ tính bằng đơn vị km và hải lý được sắp xếp theo thứ tự km, hải lý. Điểm gốc là số 0 trùng nhau theo phương thẳng đứng phải được biểu thị ở lề của bản đồ.
2. Thang số chuyển đổi tỷ lệ phải được biểu thị ở lề của bản đồ.
Điều 137. Phép chiếu
1. Phép chiếu phải được biểu thị như sau:
a) Giữa xích đạo và vĩ tuyến 80 độ (80°): phép chiếu hình nón đồng góc (phép chiếu Lambert);
b) Giữa vĩ tuyến 80 độ (80°) và 90 độ (90°): phép chiếu lập thể tại cực của trái đất với tỷ lệ phù hợp với phép chiếu nón đồng góc tại vĩ tuyến 80°.
2. Lưới chiếu và đơn vị ghi trên khung bản đồ phải được biểu thị như sau:
| Vĩ tuyến | Khoảng cách giữa các đường vĩ tuyến | Đơn vị trị số thể hiện trên đường vĩ tuyến |
| Từ 0° đến 72° | 30 phút | 01 phút |
| Từ 72° đến 84° | 30 phút | 05 phút |
| Từ 84° đến 89° | 30 phút | 01° |
| Từ 89° đến 90° | 30 phút | 05° Đối với những đường vĩ tuyến từ vĩ độ 72° đến 89° |
| Vĩ tuyến | Khoảng cách giữa các đường kinh tuyến | Đơn vị trị số thể hiện trên đường kinh tuyến |
| Từ 0° đến 52° | 30 phút | 01 phút |
| Từ 52° đến 72° | 30 phút | 01 phút Đối với những đường kinh tuyến được đánh số chẵn |
| Từ 72° đến 84° | 01" | 01 phút |
| Từ 84° đến 89° | 05" | 01 phút |
| Từ 89° đến 90° | 15" | 01 phút Đối với mỗi bốn kinh tuyến |
3. Đơn vị trị số ghi trên khung được biểu thị ở khoảng cách 01 phút và 05 phút phải được kéo dài ra xa từ kinh tuyến gốc và từ xích đạo. Mỗi khoảng cách 10 phút phải được thể hiện trên cả hai lề của đường lưới chiếu.
4. Tất cả các đường kinh tuyến và vĩ tuyến được biểu thị phải ghi rõ trị số trên khung của bản đồ đó. Mỗi đường vĩ tuyến trên bản đồ phải được đánh số theo cách thức để dễ dàng nhận biết khi bản đồ được gắp lại.
5. Tên và các thông số cơ bản của phép chiếu phải được đặt tại lề.
Điều 138. Nhận dạng
Đánh số bản đồ phải theo quy định tại Phụ lục VI ban hành kèm theo Thông tư này.
Điều 139. Quy cách thể hiện
1. Khu vực đô thị: các thành phố, thị trấn và làng mạc phải được biểu thị bằng cách lựa chọn những địa điểm có liên quan đến việc dẫn đường bằng mắt.
2. Đường sắt: tất cả các tuyến đường sắt được xác định là địa tiêu phải được biểu thị.
3. Đường cao tốc và đường nhựa: hệ thống đường cao tốc và đường nhựa phải được biểu thị đầy đủ và chi tiết.
4. Địa tiêu: các địa tiêu như cầu, đường dây điện, đường dây điện thoại, đường dây cáp treo, công trình mỏ, tua-bin gió, căn cứ quân sự, vách đá, cồn cát nổi trên mặt đất, đê biển, hải đăng, đèn phao báo hiệu cho tàu bè phải được xem xét mức độ quan trọng đối với tham chiếu bằng mắt để biểu thị.
5. Đường biên giới: đường biên giới quốc gia phải được biểu thị. Những đường biên giới xác định và biên giới không xác định sẽ được chú thích theo từng loại ranh giới khác nhau.
6. Thủy hệ: tất cả đặc điểm của nước phù hợp với tỷ lệ bản đồ, như đường bờ biển, sông, hồ, suối, các hồ nước mặn, tảng băng cũng phải biểu thị.
7. Đường bình độ: đường bình độ và giá trị của các đường bình độ phải được biểu thị. Việc lựa chọn các đường bình độ tuân theo qui định về bản đồ và mô tả rõ ràng sự khác nhau của địa hình trong việc dẫn đường hàng không;
8. Thang tầng độ cao: thang tầng độ cao được biểu thị theo sự sắp xếp có thứ tự của độ cao; thước tỷ lệ của thang tầng độ cao phải được biểu thị và được đặt ở lề của bản đồ.
9. Điểm mốc xác định độ cao:
a) Điểm mốc xác định độ cao phải được biểu thị bằng sự lựa chọn những điểm quan trọng. Điểm mốc xác định độ cao luôn luôn được xác định tại vị trí cao nhất so với vùng lân cận và chỉ ra đỉnh chướng ngại vật. Độ cao của thung lũng và của bề mặt hồ nước ảnh hưởng đến việc khai thác tàu bay cũng phải được biểu thị. Vị trí của mỗi độ cao được lựa chọn biểu thị sẽ được ký hiệu bằng dấu chấm;
b) Độ cao (tính bằng mét) của điểm cao nhất trên bản đồ, vị trí địa lý của nó được làm tròn đến giá trị 05 phút phải được biểu thị ở lề bản đồ.
10. Khu vực địa hình không đầy đủ hoặc không đáng tin cậy:
a) Những khu vực không được đo đạc, chưa có thông tin về độ cao đường bình độ phải được ghi chú là “Khu vực địa hình không đầy đủ”;
b) Bản đồ có điểm độ cao trong khu vực không đáng tin cậy sẽ phải có cảnh báo dễ nhận biết trên bản đồ bằng màu sắc được sử dụng cho thông tin hàng không như sau: “Cảnh báo - độ tin cậy của thông tin địa hình trên bản đồ, sơ đồ là không chắc chắn và độ cao nên được sử dụng một cách thận trọng”.
11. Khu vực thực vật cần được biểu thị. Những khu vực nằm ở gần điểm giới hạn của cực Bắc hoặc cực Nam có sự phát triển của cây phải được biểu thị bằng đường đứt nét màu đen và có ký hiệu phù hợp.
12. Ngày xuất bản gần nhất phải được thể hiện ở lề bản đồ.
13. Tiêu đề và những lưu ý bên lề phải theo ngôn ngữ tiếng Anh hoặc tiếng Việt.
14. Thông tin thể hiện số của mảnh ghép kế tiếp và đơn vị đo lường được biểu thị theo mức cao và đặt ở những vị trí dễ thấy khi bản đồ được gấp lại.
Điều 140. Độ lệch từ
1. Các đường đẳng từ phải được thể hiện.
2. Ngày, tháng của thông tin đường đẳng từ phải được thể hiện ở lề bản đồ.
Điều 141. Dữ liệu hàng không
1. Dữ liệu hàng không cần phải được duy trì ở mức độ tối thiểu phù hợp sử dụng bản đồ cho việc dẫn đường bằng mắt và các lần tái bản sau.
2. Sân bay:
a) Phải biểu thị tên của sân bay và sân bay trực thăng. Tên các sân bay không được chồng chéo lên nhau và ưu tiên cho những tên nào có dữ liệu hàng không quan trọng hơn;
b) Mức cao sân bay, hệ thống đèn, loại bề mặt đường CHC và chiều dài của đường CHC dài nhất phải được thể hiện theo quy định tại Phụ lục 2 ban hành kèm theo Thông tư này;
c) Những sân bay không sử dụng phải thể hiện dấu hiệu nhận biết về tình trạng của sân bay.
3. Chướng ngại vật được xác định có tầm quan trọng đối với tham chiếu bằng mắt như đường dây điện, đường cáp treo, tua-bin gió phải được biểu thị.
4. Khu vực cấm bay, khu vực hạn chế bay và khu vực nguy hiểm phải được biểu thị.
5. Hệ thống ATS: Những thành phần quan trọng của hệ thống ATS bao gồm vùng kiểm soát, khu vực kiểm soát, vùng thông báo bay và những vùng trời khác phải được biểu thị cùng với phân loại vùng trời phù hợp;
6. Thiết bị dẫn đường: thiết bị dẫn đường phải được thể hiện bởi các biểu tượng và tên phù hợp, nhưng không bao gồm tần số, mã hóa, tần suất hoạt động và những ký tự khác trừ khi một vài hoặc tất cả những thông tin đó được cập nhật bởi các lần xuất bản mới nhất trên bản đồ.
7. Thông tin bổ sung:
a) Các đèn hàng không mặt đất cùng với các tính chất hoặc nhận biết của chúng hoặc cả hai cũng cần phải được biểu thị;
b) Các đèn biển nổi lên trên bờ biển hoặc những đối tượng độc lập có thể nhìn thấy ở cự ly không nhỏ hơn 28 km cũng phải được biểu thị tại những nơi dễ phân biệt với đèn biển khác có công suất cao hơn trong vùng hoặc dễ dàng phân biệt những loại đèn biển hay những loại đèn khác trong vùng của các đô thị ven biển hoặc ở những nơi chỉ có đèn quan trọng thích hợp.
MỤC 3. BẢN ĐỒ HÀNG KHÔNG TỶ LỆ 1:500000
Điều 142. Chức năng
Cung cấp thông tin đáp ứng yêu cầu dẫn đường hàng không bằng mắt cho hoạt động của tàu bay có tốc độ chậm, hoạt động ở tầm ngắn, tầm trung và độ cao thấp hoặc trung bình.
Điều 143. Tính khả dụng
Bản đồ hàng không tỷ lệ 1: 500000 phải được thiết lập theo qui định phân vùng bản đồ tỷ lệ 1: 500000 của ICAO.
Điều 144. Tỷ lệ
1. Thước tỷ lệ tính bằng đơn vị km và hải lý được sắp xếp theo thứ tự km, hải lý. Điểm gốc là số 0 trùng nhau theo phương thẳng đứng phải được biểu thị ở lề của bản đồ; thang số chuyển đổi tỷ lệ phải được biểu thị ở lề của bản đồ.
2. Tiêu đề và những lưu ý thể hiện tại bên lề phải bằng tiếng Anh hoặc tiếng Việt. Thông tin thể hiện số của mảnh ghép bản đồ tiếp giáp và đơn vị đo lường sử dụng để biểu thị mức cao và phải được đặt ở những vị trí dễ nhận biết khi bản đồ được gấp lại.
Điều 145. Phép chiếu
1. Phép chiếu đồng góc phải được sử dụng.
2. Khoảng cách giữa các đường vĩ tuyến và kinh tuyến được thể hiện cách đều nhau 30 phút.
3. Vạch chia trên khung bản đồ phải được thể hiện ở khoảng cách 01 phút dọc theo đường kinh tuyến và vĩ tuyến được kéo dài ra xa từ đường kinh tuyến gốc và đường xích đạo. Mỗi khoảng 10 phút sẽ được đánh dấu bằng vạch dài hơn trên cả hai cạnh của lưới chiếu.
4. Tất cả các đường kinh tuyến và vĩ tuyến đều được đánh số theo trị số ghi trên khung của bản đồ.
5. Tên và các thông số cơ bản của phép chiếu phải được biểu thị ở trên lề bản đồ.
Điều 146. Nhận dạng
Mỗi một mảnh bản đồ phải được nhận biết theo tên trung tâm hành chính hoặc tên vùng địa lý.
Điều 147. Quy cách thể hiện
Thực hiện theo quy định tại Điều 139 Thông tư này.
Điều 148. Độ lệch từ
1. Các đường đẳng từ phải được thể hiện.
2. Ngày, tháng của thông tin đường đẳng từ được thể hiện ở trên lề bản đồ.
Điều 149. Dữ liệu hàng không
Thực hiện theo quy định tại Điều 141 Thông tư này.
MỤC 4. SƠ ĐỒ DẪN ĐƯỜNG HÀNG KHÔNG TỶ LỆ NHỎ
Điều 150. Chức năng
1. Phục vụ như một công cụ trợ giúp dẫn đường cho tổ lái dành cho các chuyến bay tầm xa tại các độ cao lớn.
2. Cung cấp các điểm kiểm tra có chọn lọc ở phạm vi mở rộng cho việc nhận dạng tại tốc độ và độ cao lớn của tàu bay, đáp ứng yêu cầu xác định vị trí bằng mắt.
3. Cho phép tham chiếu liên tục bằng mắt xuống mặt đất cho các chuyến bay tầm xa trên khu vực không có sóng vô tuyến hoặc các phương tiện dẫn đường hàng không khác hoặc khi việc dẫn đường bằng mắt là phù hợp hơn hoặc trở nên cần thiết.
4. Cung cấp các bộ sơ đồ tổng quát cho việc làm kế hoạch bay và đánh dấu vệt bay của chuyến bay tầm xa.
Điều 151. Tính khả dụng
Sơ đồ dẫn đường hàng không tỷ lệ nhỏ phải được thiết lập theo qui định phân vùng sơ đồ tỷ lệ 1:1000000 của ICAO.
Điều 152. Tỷ lệ
1. Tỷ lệ sơ đồ, được thể hiện từ 1:2000000 đến 1:5000000.
2. Tỷ lệ sơ đồ, được thay thế bằng dòng chữ “Tỷ lệ nhỏ”.
3. Thước tỷ lệ tính bằng đơn vị km và hải lý được sắp xếp theo thứ tự km, hải lý. Với những điểm gốc là số 0 trùng nhau theo phương thẳng đứng phải được biểu thị ở lề của sơ đồ.
4. Thang số chuyển đổi tỷ lệ phải được biểu thị ở lề của sơ đồ.
Điều 153. Định đạng
1. Tiêu đề và những lưu ý bên lề phải thể hiện bằng tiếng Anh hoặc tiếng Việt.
Thông tin thể hiện những con số và đơn vị đo lường được biểu thị mức cao và phải được đặt ở những vị trí dễ nhận biết khi sơ đồ được gấp lại.
Điều 154. Phép chiếu
1. Phép chiếu đồng góc phải được sử dụng.
2. Tên và các thông số cơ bản của phép chiếu được biểu thị ở lề của sơ đồ.
3. Khoảng cách giữa các đường vĩ tuyến là 01 độ.
4. Vạch chia trên khung vĩ tuyến phải được biểu thị theo các khoảng dãn cách thích hợp với vĩ tuyến và tỷ lệ của sơ đồ.
5. Khoảng cách giữa các đường kinh tuyến được đặt phù họp với khoảng cách giữa các đường vĩ tuyến và tỷ lệ của sơ đồ.
6. Vạch chia trên khung kinh tuyến phải được biểu thị với khoảng dãn cách không vượt quá 05 phút.
7. Vạch chia trên khung phải được tính từ đường kinh tuyến sốc và đường xích đạo.
8. Tất cả các đường kinh tuyến và vĩ tuyến đều được đánh số theo trị số ghi trên khung của sơ đồ.
9. Tất cả các đường kinh tuyến và vĩ tuyến được biểu thị phải ghi rõ trị số trên khung của sơ đồ. Đường kinh tuyến và vĩ tuyến cần được đánh số trên sơ đồ để dễ dàng nhận biết khi sơ đồ được gấp lại.
Điều 155. Quy cách thể hiện
Thực hiện theo quy định tại Điều 139 Thông tư này.
Điều 156. Độ lệch từ
1. Các đường đẳng từ phải được thể hiện.
2. Ngày, tháng của thông tin đường đẳng từ phải được thể hiện ở trên lề sơ đồ.
Điều 157. Dữ liệu hàng không
1. Phải biểu thị tên của sân bay ở trên mặt đất, trên mặt nước và sân bay trực thăng. Các tên sân bay không được chồng chéo lên nhau và ưu tiên cho những tên nào có dữ liệu hàng không quan trọng nhất.
2. Chướng ngại vật: các chướng ngại vật phải được biểu thị.
3. Khu vực cấm bay, khu vực hạn chế bay và khu vực nguy hiểm phải được biểu thị.
4. Hệ thống ATS: Các yếu tố quan trọng của hệ thống ATS được biểu thị khi được xem là quan trọng đối với việc dẫn đường bay;
5. Thiết bị dẫn đường phải được thể hiện với các biểu tượng và tên gọi phù hợp.
MỤC 5. BẢN ĐỒ ĐÁNH DẤU VỆT BAY - ICAO
Điều 158. Chức năng
Cung cấp phương tiện nhằm duy trì việc ghi nhận lại vị trí tàu bay bằng các phương pháp định vị khác nhau và kỹ thuật bay sử dụng la bàn và thước tính phục vụ dẫn đường nhằm duy trì một đường bay đã định.
Điều 159. Tính khả dụng
Bản đồ đánh dấu vệt bay cần được chuẩn bị sẵn sàng trong lãnh thổ Việt Nam. Các khu vực ngoài lãnh thổ Việt Nam có thể được cung cấp loại bản đồ này nếu có thể thực hiện được.
Điều 160. Phạm vi và tỷ lệ
Phạm vi của một trang bản đồ đánh dấu vệt bay cần bao trùm toàn bộ phần quan trọng của một đường bay đã định. Bản đồ đánh dấu vệt bay có thể sử dụng ở một tỷ lệ phù hợp nhưng không nhỏ hơn tỷ lệ 1:7500000.
Điều 161. Kích thước và phép chiếu
1. Bản đồ đánh dấu vệt bay được ban hành theo kích thước phù hợp với nhu cầu tác nghiệp của chuyên môn dẫn đường.
2. Các đường kinh tuyến và vĩ tuyến phải được hiển thị.
3. Vạch chia độ và giá trị phải được biểu thị đọc theo các đường kinh tuyến và vĩ tuyến tương ứng với khoảng giãn cách phù hợp với tỷ lệ bản đồ nhằm giảm thiểu phương pháp nội suy đáp ứng việc đánh dấu vệt bay chính xác.
Điều 162. Nhận dạng:
Mỗi mảnh bản đồ phải được nhận dạng bằng số chuỗi và số mảnh.
Điều 163. Cách thức thể hiện và các ghi chú về địa hình
1. Đường mép nước cơ bản của các vùng nước nằm trọn trong phạm vi bản đồ, các hồ nước rộng và các con sông phải được biểu thị.
2. Mốc đánh dấu độ cao của địa hình được xác định là mối nguy hiểm đối với dẫn đường hàng không phải được biểu thị.
Điều 164. Độ lệch từ
1. Các đường đẳng từ được thể hiện trong toàn bộ trang bản đồ khi có thể thực hiện được.
2. Ngày, tháng của thông tin đường đẳng từ phải được biểu thị.
Điều 165. Dữ liệu hàng không
Các dữ liệu hàng không sau đây phải được biểu thị:
1. Tên của những sân bay thường sử dụng cho vận tải thương mại hàng không quốc tế.
2. Các đài phụ trợ dẫn đường được sử dụng để cung cấp những thông tin xác định vị trí, tên và nhận dạng của chúng.
3. Chuỗi các thiết bị phụ trợ dẫn đường điện tử tầm xa, theo yêu cầu.
4. Ranh giới của vùng thông báo bay, vùng kiểm soát và khu kiểm soát cần thiết cho chức năng của sơ đồ.
5. Điểm báo cáo cần thiết được chỉ định cho chức năng của sơ đồ.
6. Các cảng biển.
MỤC 6. THIẾT BỊ BIỂU THỊ SƠ ĐỒ ĐIỆN TỬ - ICAO
Điều 166. Chức năng
Thiết bị biểu thị sơ đồ điện tử - ICAO với chức năng lưu dự phòng phù hợp với các quy định tại Phụ ước 6 của Công ước Chi-ca-gô về hàng không dân dụng Quốc tế (Annex 6), phải có khả năng giúp tổ bay thực hiện một cách thuận lợi và kịp thời việc lập kế hoạch đường bay, theo dõi đường bay và dẫn đường thông qua việc biểu thị các thông tin cần thiết.
Điều 167. Thông tin biểu thị
Thiết bị biểu thị sơ đồ điện tử - ICAO, phải có khả năng biểu thị tất cả các thông tin về địa hình, thông tin về hàng không đáp ứng quy định tại Phụ ước 4 của Công ước Chi-ca-gô về hàng không dân dụng Quốc tế (Annex 4).
Điều 168. Yêu cầu biểu thị
1. Các thông tin phục vụ cho việc biểu thị được chia thành các loại sau đây:
a) Thông tin cơ bản: các thông tin được lưu giữ lâu dài trong thiết bị biểu thị, gồm các thông tin tối thiểu cần thiết cho việc thực hiện chuyến bay an toàn;
b) Thông tin biểu thị khác: là các thông tin có thể bị xóa bỏ khỏi thiết bị hoặc được biểu thị riêng lẻ theo nhu cầu, kể cả các thông tin được cho là không quan trọng đối với việc thực hiện chuyến bay an toàn.
2. Thiết bị phải có chức năng thêm vào hoặc xóa bỏ thông tin biểu thị khác, nhưng không có khả năng xóa bỏ thông tin cơ bản.
3. Chế độ biểu thị và khởi tạo khu vực liền kề:
a) Thiết bị phải có khả năng đánh dấu vị trí tàu bay một cách liên tục trong chế độ di chuyển thực tế; việc thiết lập lại và khởi tạo các khu vực liền kề phải được thực hiện một cách tự động;
b) Thiết bị phải có khả năng thay đổi bằng tay khu vực sơ đồ và vị trí của tàu bay so với mép biểu thị của thiết bị.
4. Tỷ lệ: thiết bị phải có khả năng thay đổi tỷ lệ khi thể hiện sơ đồ.
5. Biểu tượng: các biểu tượng được dùng phải phù hợp với quy định tại Phụ lục II ban hành kèm theo Thông tư này. Các biểu tượng khác có thể được sử dụng khi thể hiện các yếu tố cần thiết khác nhưng chưa có biểu tượng theo quy định của ICAO. Trong các trường hợp này, các biểu tượng sơ đồ điện tử sẽ được lựa chọn sử dụng nếu:
a) Hạn chế đến mức tối thiểu việc sử dụng các đường nét, các cung tròn và vùng tô màu sắc;
b) Không gây nhầm lẫn với bất cứ biểu tượng nào của sơ đồ hàng không hiện tại;
c) Không được ảnh hưởng đến khả năng dễ đọc của thiết bị.
6. Phần cứng của thiết bị:
a) Kích cỡ hiệu quả của vùng thể hiện sơ đồ phải cho phép thể hiện hiệu quả hầu hết các loại sơ đồ quy định trong Thông tư này mà không cần thực hiện việc cuốn màn hình một cách quá mức;
b) Thiết bị phải có khả năng biểu thị chính xác các yếu tố được quy định tại Phụ lục II ban hành kèm theo Thông tư này;
c) Phương pháp trình bày phải bảo đảm các thông tin được biểu thị rõ ràng, dễ nhìn trong điều kiện ánh sáng tự nhiên và ánh sáng đèn bình thường (nhân tạo) trong buồng lái;
d) Độ sáng của thiết bị phải cho phép được điều chỉnh bởi tổ lái.
Điều 169. Cung cấp và cập nhật dữ liệu
1. Việc cung cấp và cập nhật dữ liệu để sử dụng cho thiết bị phải phù hợp với các yêu cầu về hệ thống chất lượng dữ liệu hàng không.
2. Thiết bị thể hiện phải có khả năng cập nhật các dữ liệu hiện có trong phạm vi được phép một cách tự động và phải có chức năng giúp đảm bảo chắc chắn các dữ liệu được phép hay các cập nhật liên quan đến các dữ liệu đó được tải vào thiết bị một cách chính xác.
3. Thiết bị phải có khả năng chấp nhận các cập nhật cho các dữ liệu được phép đa được nạp bằng tay với các phương pháp giản đơn cho việc xác nhận trước khi dữ liệu được chấp nhận lần cuối. Các cập nhật được nạp bằng tay phải được phân biệt trên thiết bị đối với các dữ liệu được phép và cập nhật được phép và không gây ảnh hưởng đến việc biểu thị rõ ràng.
4. Các ghi nhận phải được lưu lại đối với tất cả các cập nhật, bao gồm: ngày, tháng, thời gian nạp dữ liệu.
5. Thiết bị phải cho phép tổ bay biểu thị các cập nhật, theo đó tổ bay có thể kiểm tra các nội dung của cập nhật và xác định rằng chúng đã được đưa vào trong hệ thống.
Điều 170. Kiểm tra tính năng, thông báo và báo động sự cố
1. Chức năng thông báo và báo động sự cố phải được cung cấp để thực hiện kiểm tra các chức năng của thiết bị. Trong trường hợp có hỏng hóc, chức năng kiểm tra phải thể hiện thông tin chi rõ những phần nào của thiết bị bị hỏng hóc.
2. Thiết bị phải có chức năng báo động hoặc chức năng biểu thị các sự cố của thiết bị.
Điều 171. Các thiết bị dự phòng
Để bảo đảm việc dẫn đường được an toàn trong trường hợp có sự cố của thiết bị biểu thị sơ đồ điện tử, việc chuẩn bị thiết bị dự phòng phải bao gồm:
1. Thiết bị có khả năng chuyển đổi an toàn việc biểu thị nhằm bảo đảm rằng không xảy ra hỏng hóc trong tình huống nghiêm trọng;
2. Thiết bị đáp ứng yêu cầu dẫn đường an toàn đối với phần còn lại của chuyến bay.
Chương 7.
ĐIỀU KHOẢN THI HÀNH
Điều 172. Tổ chức thực hiện
Cục Hàng không Việt Nam:
1. Chịu trách nhiệm triển khai thực hiện Thông tư này.
2. Tổng hợp và báo cáo Bộ Giao thông vận tải những vấn đề phát sinh, vướng mắc trong quá trình thực hiện để nghiên cứu, giải quyết kịp thời.
Điều 173. Hiệu lực và trách nhiệm thi hành
1. Thông tư này có hiệu lực thi hành kể từ ngày 30 tháng 3 năm 2013.
2. Chánh Văn phòng Bộ, Chánh Thanh tra Bộ, Vụ trưởng các Vụ, Cục trưởng Cục Hàng không Việt Nam, Thủ trưởng các cơ quan, tổ chức và cá nhân có liên quan chịu trách nhiệm thi hành Thông tư này.
|
Nơi nhận: |
BỘ TRƯỞNG |
PHỤ LỤC I
QUY ĐỊNH VỀ KÍCH CỠ CỦA TRANG SƠ ĐỒ, MẪU CHỮ VÀ BIÊN LỀ
(Kèm theo Thông tư số 51/2012/TT-BGTVT ngày 20 tháng 12 năm 2012 của Bộ trưởng Bộ Giao thông vận tải)
1. Kích thước trang và chiều thể hiện phần dữ liệu viền:
Kích thước của sơ đồ phải phù hợp với các phương pháp in ấn, điều kiện khai thác hoặc tính năng thể hiện của các thiết bị biểu thị điện tử chuyên ngành.
Vùng dữ liệu viền là phần nằm ngoài đường khung xác định vùng nội dung của sơ đồ. Vùng này được dùng để thể hiện các dữ liệu hành chính hoặc quản lý sơ đồ.
Trừ các loại sơ đồ không thể hiện được trên một loại kích thước thống nhất, các sơ đồ sau đây phải được sản xuất phù hợp với quy định:
a. Các sơ đồ công bố trong Tập thông báo tin tức Hàng không:
|
TT |
LOẠI SƠ ĐỒ |
CHÍNH |
DỰ PHÒNG |
||
|
KHỔ GIẤY |
CHIỀU DỮ LIỆU VIỀN |
KHỔ GIẤY |
CHIỀU DỮ LIỆU VIỀN |
||
|
1 |
SƠ ĐỒ CHƯỚNG NGẠI VẬT SÂN BAY - LOẠI A |
A3 |
NGANG |
LỚN HƠN A3 |
NGANG |
|
2 |
SƠ ĐỒ CHƯỚNG NGẠI VẬT SÂN BAY - LOẠI B |
A3 |
NGANG |
LỚN HƠN A3 |
NGANG |
|
3 |
SƠ ĐỒ ĐỊA HÌNH TIẾP CẬN CHÍNH XÁC |
A3 |
NGANG |
LỚN HƠN A3 |
NGANG |
|
4 |
SƠ ĐỒ SÂN BAY, SÂN BAY TRỰC THĂNG |
A4 |
TÙY CHỌN |
A5, A3 |
TÙY CHỌN |
|
5 |
SƠ ĐỒ HƯỚNG DẪN DI CHUYỂN MẶT ĐẤT |
A4 |
TÙY CHỌN |
A3 |
TÙY CHỌN |
|
6 |
SƠ ĐỒ SÂN ĐỖ, VỊ TRÍ ĐỖ TÀU BAY |
A4 |
TÙY CHỌN |
A5, A3 |
TÙY CHỌN |
|
7 |
SƠ ĐỒ PHƯƠNG THỨC KHỞI HÀNH TIÊU CHUẨN SỬ DỤNG THIẾT BỊ (SID) |
A4 |
DỌC |
A5 |
DỌC |
|
8 |
SƠ ĐỒ KHU VỰC TIẾP CẬN (TMA HAY AREA CHART) |
A4 |
NGANG |
A3, A5 |
NGANG |
|
9 |
SƠ ĐỒ PHƯƠNG THỨC ĐẾN TIÊU CHUẨN SỬ DỤNG THIẾT BỊ (STAR) |
A4 |
DỌC |
A5 |
DỌC |
|
10 |
SƠ ĐỒ PHƯƠNG THỨC TIẾP CẬN SỬ DỤNG THIẾT BỊ |
A4 |
DỌC |
A5 |
DỌC |
|
11 |
SƠ ĐỒ PHƯƠNG THỨC TIẾP CẬN BẰNG MẮT |
A4 |
DỌC |
A5 |
DỌC |
|
A3 |
NGANG |
||||
|
12 |
SƠ ĐỒ ĐỘ CAO TỐI THIỂU GIÁM SÁT KHÔNG LƯU (SƠ ĐỒ KHU VỰC DẪN DẮT RA ĐA) |
A4 |
DỌC |
A5 |
DỌC |
|
A3 |
NGANG |
||||
|
13 |
SƠ ĐỒ HỆ THỐNG ĐƯỜNG HÀNG KHÔNG |
A0 |
DỌC |
A1 |
DỌC |
|
A2 |
DỌC |
||||
|
A3 |
NGANG |
||||
b. Các sơ đồ không công bố trong Tập thông báo tin tức Hàng không sẽ được sản xuất theo các kích thước và chiều dữ liệu viền phù hợp với mục đích sử dụng của sơ đồ.
2. Các chữ cái được thể hiện trên trang sơ đồ
a. Phông chữ được sử dụng chủ yếu là phông “Arial” thuộc bộ phông chữ Unicode cho các dữ liệu viền và các dữ liệu phần nội dung sơ đồ.
b. Thông thường các dữ liệu chữ cái trên sơ đồ được định dạng in hoa không đậm nét. Không sử dụng định dạng chữ thường. Khi muốn nhấn mạnh, làm nổi bật các dữ liệu chữ để tăng sự chú ý thì định dạng nghiêng, đậm nét, gạch chân, đóng khung, tô đậm nền vùng dữ liệu chữ.
c. Các dữ liệu chữ cái thể hiện trên sơ đồ có kích thước nhỏ nhất là 5pt (point). Các nhóm dữ liệu chữ cùng loại được thể hiện với kích thước bằng nhau. Kích thước dữ liệu chữ phải được sử dụng đáp ứng mục đích mỹ thuật của sơ đồ. Không sử dụng kích thước quá lớn của dữ liệu chữ.
3. Các chữ số được thể hiện trên trang sơ đồ
a. Phông chữ số được sử dụng chủ yếu là phông chữ “Arial” thuộc bộ mã Unicode cho các dữ liệu viền và các dữ liệu phần nội dung sơ đồ.
b. Thông thường các dữ liệu chữ số trên sơ đồ được định dạng in hoa không đậm nét. Khi muốn nhấn mạnh, làm nổi bật các dữ liệu chữ số để tăng sự chú ý thì dữ liệu chữ hoặc số có thể được định dạng nghiêng, đậm nét, đóng khung, tô đậm nền vùng dữ liệu.
c. Các dữ liệu chữ số thể hiện trên sơ đồ có kích thước nhỏ nhất là 5pt (point). Các nhóm dữ liệu số cùng loại được thể hiện với kích thước bằng nhau. Kích thước dữ liệu số phải được sử dụng đáp ứng mục đích mỹ thuật của sơ đồ. Không sử dụng kích thước quá lớn của dữ liệu số.
4. Biên lề của sơ đồ
Biên lề của sơ đồ là vùng nằm ngoài vùng dữ liệu viền. Thông thường ở biên lề không được thể hiện các dữ liệu. Trong trường hợp cần thiết hoặc bắt buộc thì vùng biên lề có thể được sử dụng để thể hiện các dữ liệu, nhưng không được làm ảnh hưởng đến vùng lề để đục lỗ gáy trang hoặc dữ liệu được thể hiện nằm trong khu vực in của máy in.
PHỤ LỤC II
CÁC BIỂU TƯỢNG TRÊN BẢN ĐỒ, SƠ ĐỒ HÀNG KHÔNG
(Kèm theo Thông tư số 51/2012/TT-BGTVT ngày 20 tháng 12 năm 2012 của Bộ trưởng Bộ Giao thông vận tải)
1. ĐỊA HÌNH

2. THỦY HỆ

3. ĐỊA VẬT

4. SÂN BAY

4. SÂN BAY (tiếp)
DỮ LIỆU SÂN BAY TRONG MẪU VIẾT TẮT CÓ THỂ ĐI KÈM VỚI CÁC BIỂU TƯỢNG

CÁC BIỂU TƯỢNG SÂN BAY SỬ DỤNG TRONG SƠ ĐỒ TIẾP CẬN

CÁC PHƯƠNG TIỆN DẪN ĐƯỜNG VÔ TUYẾN

5. DỊCH VỤ KHÔNG LƯU


5. DỊCH VỤ KHÔNG LƯU (tiếp)

PHÂN LOẠI VÙNG TRỜI

HẠN CHẾ CỦA VÙNG TRỜI

CHƯỚNG NGẠI VẬT

HỖN HỢP

THIẾT BỊ PHÙ TRỢ DẪN ĐƯỜNG BẰNG MẮT

6. KÝ HIỆU SỬ DỤNG TRONG SƠ ĐỒ SÂN BAY/SÂN BAY TRỰC THĂNG

7. KÝ HIỆU SỬ DỤNG TRONG SƠ ĐỒ CHƯỚNG NGẠI VẬT SÂN BAY - LOẠI A, B

8. CÁC BIỂU TƯỢNG BỔ SUNG DÙNG CHO SƠ ĐỒ GIẤY VÀ SƠ ĐỒ ĐIỆN TỬ


PHỤ LỤC III
HƯỚNG DẪN VỀ MÀU SẮC TRÊN BẢN ĐỒ, SƠ ĐỒ HÀNG KHÔNG
(Kèm theo Thông tư số 51/2012/TT-BGTVT ngày 20 tháng 12 năm 2012 của Bộ trưởng Bộ Giao thông vận tải)
1. KÝ HIỆU BẢN ĐỒ/SƠ ĐỒ

KÝ HIỆU BẢN ĐỒ/SƠ ĐỒ (tiếp)

3. HƯỚNG DẪN TÔ MÀU ĐỘ CAO

Ghi chú 1 - Việc tô màu phải đồng nhất theo quy định của bản đồ hàng không thế giới.
Ghi chú 2 - Việc tô màu độ cao không liên quan đến việc tô màu của cả hệ thống cho phép có sự tùy chọn linh động
PHỤ LỤC IV
MẪU CỦA MỘT SỐ LOẠI SƠ ĐỒ HÀNG KHÔNG
(Kèm theo Thông tư số 51/2012/TT-BGTVT ngày 20 tháng 12 năm 2012 của Bộ trưởng Bộ Giao thông vận tải)
Sơ đồ mẫu I: SƠ ĐỒ CHƯỚNG NGẠI VẬT SÂN BAY - LOẠI A
Sơ đồ mẫu 2: SƠ ĐỒ ĐỊA HÌNH TIẾP CẬN CHÍNH XÁC
Sơ đồ mẫu 3: SƠ ĐỒ SÂN BAY
Sơ đồ mẫu 4: SƠ ĐỒ HƯỚNG DẪN DI CHUYỂN MẶT ĐẤT
Sơ đồ mẫu 5: SƠ ĐỒ SÂN ĐỖ, VỊ TRÍ ĐỖ TÀU BAY
Sơ đồ mẫu 6: SƠ ĐỒ PHƯƠNG THỨC KHỞI HÀNH TIÊU CHUẨN SỬ DỤNG THIẾT BỊ (SID)
Sơ đồ mẫu 7: SƠ ĐỒ KHU VỰC (TMA)
Sơ đồ mẫu 8: SƠ ĐỒ PHƯƠNG THỨC ĐẾN TIÊU CHUẨN SỬ DỤNG THIẾT BỊ (STAR)
Sơ đồ mẫu 9: SƠ ĐỒ PHƯƠNG THỨC TIẾP CẬN SỬ DỤNG THIẾT BỊ
Sơ đồ mẫu 9 (mặt sau): BẢNG DỮ LIỆU HÀNG KHÔNG
Sơ đồ mẫu 10: SƠ ĐỒ PHƯƠNG THỨC TIẾP CẬN BẰNG MẮT
Sơ đồ mẫu 11: SƠ ĐỒ ĐỘ CAO TỐI THIỂU GIÁM SÁT KHÔNG LƯU
Sơ đồ mẫu 12: SƠ ĐỒ HỆ THỐNG ĐƯỜNG HÀNG KHÔNG













PHỤ LỤC V
YÊU CẦU VỀ CHẤT LƯỢNG CỦA DỮ LIỆU HÀNG KHÔNG
(Kèm theo Thông tư số 51/2012/TT-BGTVT ngày 20 tháng 12 năm 2012 của Bộ trưởng Bộ Giao thông vận tải)
Bảng 1. Vĩ độ và kinh độ
|
Vĩ độ và kinh độ |
Độ phân giải bản đồ |
Tính toàn vẹn/ phân loại |
|
- Điểm ranh giới vùng thông báo bay |
theo bản vẽ |
1 x 10-3/ |
|
- Điểm ranh giới khu vực cấm bay, hạn chế bay, nguy hiểm (bên ngoài ranh giới vùng/khu vực kiểm soát) |
theo bản vẽ |
1 x 10-3/ |
|
- Điểm ranh giới khu vực cấm bay, hạn chế bay, nguy hiểm (bên trong ranh giới vùng/khu vực kiểm soát) |
theo bản vẽ |
1 x 10-5/ |
|
- Điểm ranh giới vùng/khu kiểm soát |
theo bản vẽ |
1 x 10-5/ |
|
- Các đài phụ trợ dẫn đường, điểm giao cắt và lộ điểm trên đường bay, các điểm chờ, các điểm STAR/SID |
1 giây |
1 x 10-5/ |
|
- Chướng ngại vật trong Khu vực 1 (bao trùm toàn bộ lãnh thổ quốc gia) |
theo bản vẽ |
1 x 10-3/ |
|
- Điểm quy chiếu sân bay/sân bay trực thăng |
1 giây |
1 x 10-3/ |
|
- Các đài phụ trợ dẫn đường ở sân bay/sân bay trực thăng |
theo bản vẽ |
1 x 10-5/ |
|
- Chướng ngại vật trong Khu vực 3 |
1/10 giây |
1 x 10-5/ |
|
- Chướng ngại vật trong Khu vực 2 |
1/10 giây |
1 x 10-5/ |
|
- Điểm/vị trí tiếp cận chót và điểm/vị trí thiết yếu khác bao gồm phương thức tiếp cận bằng thiết bị. |
1 giây |
1 x 10-5/ |
|
- Đầu thềm đường cất hạ cánh |
1 giây |
1 x 10-8/ |
|
- Điểm trên đường hướng dẫn vị trí đỗ và trên đường trục của đường lăn. |
1/100 giây |
1 x 10-5/ |
|
- Cuối đường cất hạ cánh |
1 giây |
1 x 10-8/ |
|
- Vị trí chờ trên đường cất hạ cánh |
1 giây |
1 x 10-8/ |
|
- Đường đánh dấu giao cắt với đường lăn |
1 giây |
1 x 10-5/ |
|
- Đường hướng dẫn lối ra |
1 giây |
1 x 10-5/ |
|
- Các ranh giới sân đỗ (đường đa giác) |
1 giây |
1 x 10-3/ |
|
- Phương tiện phá băng/chống đóng băng (đường đa giác) |
1 giây |
1 x 10-3/ |
|
- Các điểm kiểm tra INS/Các vị trí đậu tàu bay |
1/100 giây |
1 x 10-3/ |
|
- Tâm của khu vực chạm bánh và chạm đất (TLOF) hoặc đầu thềm khu vực tiếp cận chót và cất cánh (FATO) của sân bay trực thăng. |
1 giây |
1 x 10-8/ |
Bảng 2. Mức cao/chiều cao/độ cao
|
Mức cao/chiều cao/độ cao |
Độ phân giải bản đồ |
Tính toàn vẹn/ phân loại |
|
- Mức cao sân bay/sân bay trực thăng |
1 m hoặc 1 ft |
1 x 10-5/ |
|
- Bề mặt geoid WGS-84 tại vị trí mức cao sân bay/sân bay trực thăng. |
1 m hoặc 1 ft |
1 x 10-5/ |
|
- Đầu thềm khu vực tiếp cận chót và cất cánh (FATO) hoặc đường cất hạ cánh trong tiếp cận giản đơn |
1 m hoặc 1 ft |
1 x 10-5/ |
|
- Bề mặt geoid WGS-84 tại đường cất hạ cánh hoặc khu vực tiếp cận chót và cất cánh (FATO), tâm của khu vực chạm bánh và chạm đất (TLOF) trong tiếp cận giản đơn. |
1 m hoặc 1 ft |
1 x 10-5/ |
|
- Đầu thềm khu vực tiếp cận chót và cất cánh (FATO) hay đầu thềm đường cất hạ cánh trong tiếp cận chính xác |
0.5 m hoặc 1 ft |
1 x 10-8/ |
|
- Bề mặt geoid WGS-84 tại đầu thềm đường cất hạ cánh hoặc khu vực tiếp cận chót và cất cánh (FATO), tâm khu vực chạm bánh và chạm đất (TLOF) trong tiếp cận chính xác. |
0.5 m hoặc 1 ft |
1 x 10-8/ |
|
- Chiều cao vượt đầu thềm trong tiếp cận chính xác |
0.5 m hoặc 1 ft |
1 x 10-8/ |
|
- Chiều cao/độ cao vượt chướng ngại vật (OCA/H) |
được xác định theo PANS-OPS (Doc 8168) |
1 x 10-5/ |
|
- Chướng ngại vật trong Khu vực 1 (toàn bộ lãnh thổ quốc gia) |
3m (10 ft) |
1 x 10-3/ |
|
- Chướng ngại vật trong Khu vực 2 |
1 m hoặc 1 ft |
1 x 10-5/ |
|
- Chướng ngại vật trong Khu vực 3 |
1 m hoặc 1 ft |
1 x 10-5/ |
|
- Thiết bị đo cự ly bằng vô tuyến (DME) |
30 m (100ft) |
1 x 10-5/ |
|
- Độ cao các phương thức tiếp cận bằng thiết bị |
được xác định theo PANS-OPS (Doc 8168) |
1 x 10-5/ |
|
- Các độ cao tối thiểu |
50 m hoặc 100 ft |
1 x 10-3/ |
Bảng 3. Góc và độ dốc
|
Loại góc và độ dốc |
Độ phân giải bản đồ |
Tính toàn vẹn/ phân loại |
|
- Độ dốc xuống tiếp cận chót không chính xác |
0.1 phần trăm |
1 x 10-8/ |
|
- Góc giảm xuống tiếp cận chót (tiếp cận không chính xác hoặc tiếp cận có hướng dẫn độ cao) |
0.1 độ |
1 x 10-8/ |
|
- Góc của đài chỉ độ dốc đường trượt hạ cánh tiếp cận chính xác |
0.1 độ |
1 x 10-8/ |
Bảng 4. Độ lệch từ
|
Độ lệch từ |
Độ phân giải bản đồ |
Tính toàn vẹn/ phân loại |
|
- Độ lệch từ sân bay/ sân bay trực thăng |
1 độ |
1 x 10-5/ |
Bảng 5. Góc phương vị
|
Góc phương vị |
Độ phân giải bản đồ |
Tính toàn vẹn/ phân loại |
|
- Các phân đoạn đường hàng không |
1 độ |
1 x 10-3/ |
|
- Đường nối các điểm báo cáo trong khu vực trung tận và trên đường bay |
1/10 độ |
1 x 10-3/ |
|
- Các phân đoạn tuyến đường khởi hành/đến khu vực trung tận |
1 độ |
1 x 10-3/ |
|
- Đường nối các điểm báo cáo trong phương thức tiếp cận bằng thiết bị |
1/10 độ |
1 x 10-5/ |
|
- Đường căn trục đài chỉ hướng hệ thống ILS |
1 độ |
1 x 10-5/ |
|
- Đường căn thẳng của độ phương vị số 0 hệ thống MLS |
1 độ |
1 x 10-5/ |
|
- Góc phương vị khu vực cất cánh và tiếp cận chót (FATO) và đường cất hạ cánh. |
1 độ |
1 x 10-3/ |
Bảng 6. Kích thước/cự ly/chiều dài
|
Kích thước/cự ly/chiều dài |
Độ phân giải bản đồ |
Tính toàn vẹn/ phân loại |
|
- Chiều dài phân đoạn đường hàng không |
1 km hoặc 1 NM |
1 x 10-3/ |
|
- Cự ly hình thành điểm báo cáo trên đường bay |
2/10 km (1/10 NM) |
1 x 10-3/ |
|
- Chiều dài các phân đoạn tuyến đường khởi hành/đến trong khu vực trung tận |
1 km hoặc 1 NM |
1 x 10-5/ |
|
- Cự ly hình thành điểm báo cáo trong phương thức tiếp cận bằng thiết bị và trong khu vực trung tận |
2/10 km (1/10NM) |
1 x 10-5/ |
|
- Kích thước của khu vực chạm bánh và chạm đất (TLOF), chiều dài khu vực tiếp cận chót và cất cánh (FATO) và chiều dài đường cất hạ cánh |
1 m |
1 x 10-8/ |
|
- Chiều rộng đường cất hạ cánh |
1 m |
1 x 10-5/ |
|
- Chiều dài và chiều rộng đoạn dừng |
1 m |
1 x 10-8/ |
|
- Cự ly có thể hạ cánh |
1 m |
1 x 10-8/ |
|
- Đoạn chạy lấy đà có thể sử dụng |
1 m |
1 x 10-8/ |
|
- Cự ly có thể cất cánh |
1 m |
1 x 10-8/ |
|
- Cự ly có thể dừng khẩn cấp |
1 m |
1 x 10-8/ |
|
- Cự ly từ vị trí an-ten đài chỉ hướng ILS đến cuối đường cất hạ cánh |
theo bản vẽ |
1 x 10-3/ |
|
- Cự ly từ vị trí an-ten đài chỉ độ dốc đường trượt hạ cánh ILS đến đầu thềm đường cất hạ cánh (dọc theo trục đường cất hạ cánh) |
theo bản vẽ |
1 x 10-3/ |
|
- Cự ly từ đài chỉ mốc ILS đến đầu thềm đường cất hạ cánh |
2/10 km (1/10NM) |
1 x 10-5/ |
|
- Cự ly từ vị trí an-ten thiết bị đo cự ly bằng vô tuyến (DME) ILS đến đầu thềm đường cất hạ cánh (dọc theo trục đường cất hạ cánh) |
theo bản vẽ |
1 x 10-5/ |
|
- Cự ly từ vị trí an-ten đài chỉ phương vị MLS đến cuối đường cất hạ cánh |
theo bản vẽ |
1 x 10-3/ |
|
- Cự ly từ vị trí an-ten đài chỉ độ cao MLS đến đầu thềm đường cất hạ cánh (dọc theo trục đường cất hạ cánh) |
theo bản vẽ |
1 x 10-3/ |
|
- Cự ly từ vị trí an-ten đài DME/P MLS đến đầu thềm đường cất hạ cánh (dọc theo trục đường cất hạ cánh) |
theo bản vẽ |
1 X 10-5/ quan trọng |
PHỤ LỤC VI
BỐ TRÍ VÙNG DỮ LIỆU VIỀN
(Kèm theo Thông tư số 51/2012/TT-BGTVT ngày 20 tháng 12 năm 2012 của Bộ trưởng Bộ Giao thông vận tải)

Bạn chưa Đăng nhập thành viên.
Đây là tiện ích dành cho tài khoản thành viên. Vui lòng Đăng nhập để xem chi tiết. Nếu chưa có tài khoản, vui lòng Đăng ký tại đây!
Bạn chưa Đăng nhập thành viên.
Đây là tiện ích dành cho tài khoản thành viên. Vui lòng Đăng nhập để xem chi tiết. Nếu chưa có tài khoản, vui lòng Đăng ký tại đây!