- Tổng quan
- Nội dung
- VB gốc
- Tiếng Anh
- Hiệu lực
- VB liên quan
- Lược đồ
-
Nội dung hợp nhất
Tính năng này chỉ có tại LuatVietnam.vn. Nội dung hợp nhất tổng hợp lại tất cả các quy định còn hiệu lực của văn bản gốc và các văn bản sửa đổi, bổ sung, đính chính... trên một trang. Việc hợp nhất văn bản gốc và những văn bản, Thông tư, Nghị định hướng dẫn khác không làm thay đổi thứ tự điều khoản, nội dung.
Khách hàng chỉ cần xem Nội dung hợp nhất là có thể nắm bắt toàn bộ quy định hiện hành đang áp dụng, cho dù văn bản gốc đã qua nhiều lần chỉnh sửa, bổ sung.
- Tải về
Thông tư 48/2014/TT-BTNMT về lập hồ sơ địa giới hành chính các cấp
| Cơ quan ban hành: | Bộ Tài nguyên và Môi trường |
Số công báo:
Số công báo là mã số ấn phẩm được đăng chính thức trên ấn phẩm thông tin của Nhà nước. Mã số này do Chính phủ thống nhất quản lý.
|
Đã biết
|
| Số hiệu: | 48/2014/TT-BTNMT | Ngày đăng công báo: |
Đã biết
|
| Loại văn bản: | Thông tư | Người ký: | Nguyễn Linh Ngọc |
|
Ngày ban hành:
Ngày ban hành là ngày, tháng, năm văn bản được thông qua hoặc ký ban hành.
|
22/08/2014 |
Ngày hết hiệu lực:
Ngày hết hiệu lực là ngày, tháng, năm văn bản chính thức không còn hiệu lực (áp dụng).
|
Đang cập nhật |
|
Áp dụng:
Ngày áp dụng là ngày, tháng, năm văn bản chính thức có hiệu lực (áp dụng).
|
Đã biết
|
Tình trạng hiệu lực:
Cho biết trạng thái hiệu lực của văn bản đang tra cứu: Chưa áp dụng, Còn hiệu lực, Hết hiệu lực, Hết hiệu lực 1 phần; Đã sửa đổi, Đính chính hay Không còn phù hợp,...
|
Đã biết
|
| Lĩnh vực: | Tài nguyên-Môi trường |
TÓM TẮT THÔNG TƯ 48/2014/TT-BTNMT
Nội dung tóm tắt đang được cập nhật, Quý khách vui lòng quay lại sau!
Tải Thông tư 48/2014/TT-BTNMT
|
BỘ TÀI NGUYÊN VÀ MÔI TRƯỜNG Số: 48/2014/TT-BTNMT |
CỘNG HÒA XÃ HỘI CHỦ NGHĨA VIỆT NAM Hà Nội, ngày 22 tháng 08 năm 2014 |
THÔNG TƯ
QUY ĐỊNH KỸ THUẬT VỀ XÁC ĐỊNH ĐƯỜNG ĐỊA GIỚI HÀNH CHÍNH, CẮM MỐC ĐỊA GIỚI VÀ LẬP HỒ SƠ ĐỊA GIỚI HÀNH CHÍNH CÁC CẤP
Căn cứ Luật Đất đai ngày 29 tháng 11 năm 2013;
Căn cứ Nghị định số 12/2002/NĐ-CP ngày 22 tháng 01 năm 2002 của Chính phủ về hoạt động đo đạc và bản đồ;
Căn cứ Nghị định số 119/CP ngày 16 tháng 9 năm 1994 của Chính phủ ban hành quy định về việc quản lý, sử dụng hồ sơ địa giới, bản đồ địa giới và mốc địa giới hành chính các cấp;
Căn cứ Nghị định số 21/2013/NĐ-CP ngày 04 tháng 3 năm 2013 của Chính phủ quy định chức năng, nhiệm vụ, quyền hạn và cơ cấu tổ chức của Bộ Tài nguyên và Môi trường;
Theo đề nghị của Cục trưởng Cục Đo đạc và Bản đồ Việt Nam, Vụ trưởng Vụ Khoa học và Công nghệ và Vụ trưởng Vụ Pháp chế;
Bộ trưởng Bộ Tài nguyên và Môi trường ban hành Thông tư quy định kỹ thuật về xác định đường địa giới hành chính, cắm mốc địa giới và lập hồ sơ địa giới hành chính các cấp.
Chương I
QUY ĐỊNH CHUNG
Điều 1. Phạm vi điều chỉnh
Thông tư này quy định kỹ thuật về xác định đường địa giới hành chính , cắm mốc địa giới hành chính trên thực địa và lập hồ sơ địa giới hành chính các cấp.
Điều 2. Đối tượng áp dụng
Thông tư này áp dụng đối với các cơ quan quản lý nhà nước và các tổ chức, cá nhân có liên quan đến việc xác định đường địa giới hành chính , cắm mốc địa giới hành chính và lập hồ sơ địa giới hành chính các cấp.
Điều 3. Giải thích từ ngữ
1. Đường địa giới hành chính (ĐGHC) là đường ranh giới phân chia lãnh thổ các đơn vị hành chính theo phân cấp quản lý hành chính. Đường ĐGHC các cấp bao gồm: đường ĐGHC tỉnh, thành phố trực thuộc Trung ương (sau đây gọi tắt là cấp tỉnh), đường ĐGHC huyện, quận, thị xã thuộc tỉnh (sau đây gọi tắt là cấp huyện), đường ĐGHC xã, phường, thị trấn (sau đây gọi tắt là cấp xã). Đường ĐGHC các cấp được xác định trên cơ sở các mốc ĐGHC và các điểm đặc trưng trên thực địa.
2. Mốc ĐGHC là dấu hiệu bằng vật thể dùng để đánh dấu đường ĐGHC giữa các đơn vị hành chính với nhau. Mốc ĐGHC các cấp bao gồm: mốc ĐGHC cấp tỉnh, mốc ĐGHC cấp huyện, mốc ĐGHC cấp xã.
3. Điểm đặc trưng là điểm địa vật dễ nhận biết trên thực địa được lựa chọn để phục vụ cho việc xác định và mô tả đường ĐGHC .
4. Bản đồ ĐGHC gốc thực địa là bản đồ được thành lập từ bản đồ in trên giấy thể hiện đường ĐGHC , các vị trí cắm mốc và các điểm đặc trưng ở thực địa trên bản đồ nền có sự thống nhất và xác nhận của các địa phương có liên quan làm cơ sở cho việc thành lập bản đồ ĐGHC cấp xã.
5. Bản đồ nền là bản đồ địa hình quốc gia được sử dụng để xác định đường địa giới, cắm mốc ĐGHC , thành lập bản đồ ĐGHC gốc thực địa.
6. Hồ sơ ĐGHC bao gồm tài liệu dạng giấy, dạng số thể hiện thông tin về việc thành lập, điều chỉnh đơn vị hành chính và các mốc địa giới, đường địa giới của đơn vị hành chính đó. Hồ sơ địa giới hành chính bao gồm: hồ sơ địa giới hành chính cấp tỉnh, hồ sơ địa giới hành chính cấp huyện, hồ sơ địa giới hành chính cấp xã.
Điều 4. Nội dung công việc xác định đường địa giới hành chính , cắm mốc địa giới và lập hồ sơ địa giới hành chính các cấp
1. Công tác chuẩn bị.
2. Xác định đường ĐGHC , vị trí cắm mốc và các điểm đặc trưng; lập bản đồ địa giới hành chính gốc thực địa.
3. Lập bản mô tả đường ĐGHC các cấp.
4. Cắm mốc ĐGHC .
5. Thành lập bản đồ ĐGHC các cấp.
6. Lập mới, chỉnh lý hồ sơ ĐGHC các cấp.
7. Kiểm tra, nghiệm thu và giao nộp sản phẩm.
Chương II
QUY ĐỊNH KỸ THUẬT
Điều 5. Công tác chuẩn bị
Công tác chuẩn bị bao gồm việc thu thập, nghiên cứu, phân tích, đánh giá các tài liệu sau:
1. Các văn bản của cơ quan nhà nước có thẩm quyền về ĐGHC .
2. Hồ sơ ĐGHC của các đơn vị hành chính có liên quan.
3. Bản đồ địa hình, bản đồ địa chính và các tài liệu, dữ liệu khác có liên quan.
Điều 6. Xác định đường địa giới hành chính , vị trí cắm mốc địa giới hành chính và các điểm đặc trưng; lập bản đồ địa giới hành chính gốc thực địa
1. Trên cơ sở các văn bản của cơ quan nhà nước có thẩm quyền về ĐGHC , tiến hành chuyển vẽ đường ĐGHC lên bản đồ nền. Đường ĐGHC các cấp phải được biểu thị đầy đủ, chính xác trên bản đồ nền. Trường hợp đường ĐGHC các cấp trùng nhau thì chỉ thể hiện đường ĐGHC cấp cao hơn. Trường hợp đường ĐGHC các cấp trùng với đường biên giới quốc gia thì thể hiện theo đường biên giới quốc gia. Sau khi chuyển vẽ xong đường ĐGHC phải thiết kế sơ bộ vị trí cắm mốc ĐGHC và các điểm đặc trưng trên bản đồ nền.
2. Xác định đường ĐGHC , vị trí cắm mốc ĐGHC và các điểm đặc trưng.
2.1. Xác định đường ĐGHC được thực hiện theo nguyên tắc sau:
a) Đo đạc, xác định đường ĐGHC ở thực địa trên cơ sở thiết kế sơ bộ và sự thống nhất của các địa phương có liên quan;
b) Trong phạm vi 2cm trên bản đồ về mỗi bên của đường ĐGHC cần đo vẽ bổ sung các yếu tố địa lý mới xuất hiện và xóa bỏ trên bản đồ nền các nội dung không tồn tại trên thực địa. Những yếu tố địa lý được chọn làm vật chuẩn để xác định vị trí các mốc ĐGHC và những yếu tố địa lý có ý nghĩa định hướng được dùng để mô tả đường ĐGHC chưa có trên bản đồ nền đều phải được đo vẽ bổ sung đầy đủ. Các đối tượng hình tuyến phải vẽ đến điểm ngoặt gần nhất, kể cả trường hợp ngoài phạm vi 2cm dọc theo đường địa giới. Việc đo vẽ bổ sung phải tuân thủ theo các quy định về thành lập bản đồ địa hình hiện hành ở tỷ lệ tương ứng;
c) Độ chính xác của đường ĐGHC phải đảm bảo độ chính xác của bản đồ nền ở tỷ lệ tương ứng.
2.2. Xác định vị trí cắm mốc ĐGHC trên bản đồ và thực địa được thực hiện theo nguyên tắc sau:
a) Mốc ĐGHC phải được xác định tại vị trí giao nhau của đường ĐGHC và ở những vị trí dễ phát sinh tranh chấp sau này. Khi không chọn được vị trí cắm mốc nằm đúng trên đường ĐGHC thì được phép chọn ở vị trí thuận lợi, ổn định lâu dài và gần đường ĐGHC nhất. Vị trí cắm mốc phải được các địa phương có liên quan thống nhất và đánh dấu ở thực địa bằng cọc gỗ. Trường hợp vị trí giao nhau của đường ĐGHC các cấp là đỉnh núi hoặc trên sông, suối, hồ, biển thì không cần xác định vị trí cắm mốc;
b) Số lượng vị trí cắm mốc, loại mốc ĐGHC cần phải cắm do Ủy ban nhân dân các cấp có liên quan đến đường địa giới thống nhất quyết định;
c) Số hiệu mốc ĐGHC trên mỗi tuyến ĐGHC do các địa phương liên quan thỏa thuận, đánh số theo thứ tự từ 1 đến hết hoặc tiếp theo số thứ tự mốc đã có, trên nguyên tắc không có số trùng nhau, bao gồm những thành phần theo trình tự sau:
- Tên các địa phương viết tắt để trong ngoặc đơn, có gạch nối giữa các tên viết tắt của đơn vị hành chính quản lý trực tiếp mốc.
- Số lượng các đơn vị hành chính quản lý trực tiếp mốc.
- Chữ viết tắt của cấp mốc hành chính ghi tiếp ngay sau số lượng đơn vị hành chính trực tiếp quản lý mốc: cấp tỉnh là T., cấp huyện là H., cấp xã là X.
Ví dụ: (PT-TĐ-LC) 3H.1 là số hiệu mốc ĐGHC giữa huyện Phong Thổ, huyện Tam Đường và thành phố Lai Châu khi mốc được cắm đúng trên trên đường ĐGHC.
2.3. Xác định vị trí điểm đặc trưng trên đường ĐGHC được thực hiện theo nguyên tắc sau:
a) Điểm đặc trưng trên đường ĐGHC cấp xã là các điểm ngoặt, vị trí giao nhau của đường ĐGHC cấp xã không cắm mốc. Điểm đặc trưng trên đường ĐGHC cấp xã được đánh số liên tục từ 1 đến hết, chiều đánh số do các đơn vị hành chính liền kề thống nhất;
b) Điểm đặc trưng trên đường ĐGHC cấp huyện là các mốc ĐGHC cấp xã nằm trên đường ĐGHC cấp huyện và vị trí giao nhau của các đường ĐGHC cấp xã với đường ĐGHC cấp huyện không cắm mốc. Số hiệu điểm đặc trưng trên đường ĐGHC cấp huyện là chữ viết tắt của tên các đơn vị hành chính cấp xã hoặc cấp huyện có liên quan.
Ví dụ: (NT-NN-BG) ngã ba địa giới của ba xã Nậm Tăm huyện Sìn Hồ và xã Nùng Nàng, Bản Giang huyện Tam Đường;
c) Điểm đặc trưng trên đường ĐGHC cấp tỉnh là các mốc ĐGHC cấp huyện nằm trên đường ĐGHC cấp tỉnh và vị trí giao nhau của các đường địa giới cấp huyện với đường ĐGHC cấp tỉnh không cắm mốc. Số hiệu điểm đặc trưng trên đường ĐGHC cấp tỉnh là chữ viết tắt của tên các đơn vị hành chính cấp huyện hoặc cấp tỉnh có liên quan.
Ví dụ: (SH-TC-MC) ngã ba địa giới của ba huyện: Sìn Hồ tỉnh Lai Châu và huyện Tủa Chùa, Mường Chà Tỉnh Điện Biên.
2.4. Lập sơ đồ thuyết minh
a) Sơ đồ thuyết minh chỉ lập đối với khu vực đô thị, dân cư đông đúc khi bản đồ ĐGHC không thể hiện được vị trí của đường ĐGHC . Tỷ lệ của sơ đồ thuyết minh, phạm vi lập sơ đồ thuyết minh cho toàn bộ đường ĐGHC của đơn vị hành chính, lập riêng cho từng tuyến hoặc từng đoạn địa giới tùy theo mức độ cần thiết do các đơn vị hành chính liền kề thống nhất quyết định;
b) Tài liệu sử dụng để lập sơ đồ thuyết minh ĐGHC là bản đồ địa hình mới nhất có tỷ lệ lớn hơn tỷ lệ bản đồ ĐGHC cấp xã hoặc bản đồ địa chính mới nhất có trong khu vực. Trường hợp khu vực không có bất kỳ một loại tài liệu nào thì phải tiến hành đo vẽ sơ đồ thuyết minh tại thực địa. Sơ đồ thuyết minh ĐGHC có kích thước bằng kích thước của tờ bản đồ nền địa hình và được trình bày theo mẫu quy định tại Phụ lục 11 ban hành kèm theo Thông tư này.
2.5. Toàn bộ kết quả của quá trình xác định đường ĐGHC , vị trí cắm mốc ĐGHC và các điểm đặc trưng được thể hiện trên bản đồ ĐGHC gốc thực địa.
3. Quy định thành lập bản đồ ĐGHC gốc thực địa
Trên bản đồ nền ĐGHC cấp xã đã in trên giấy, những nội dung mới xuất hiện, chỉnh sửa hoặc xóa bỏ phải được chỉ dẫn chi tiết bằng các ký hiệu thống nhất, cụ thể như sau:
3.1. Trong phạm vi 2cm về mỗi bên đường ĐGHC , đo đạc bổ sung các yếu tố địa lý mới xuất hiện và đưa lên bản đồ bằng các ký hiệu tương tự bộ ký hiệu dạng số nhưng phải phân biệt được với nội dung cũ hiện có trên bản đồ. Trong một số trường hợp, yếu tố địa lý bổ sung ở dạng đường hoặc vùng được phép vẽ chờm ra ngoài phạm vi trên nhằm theo dõi được một cách liên tục.
3.2. Kết quả đo vẽ bổ sung phải được tu chỉnh ngay sau khi đo đạc tại thực địa. Kết quả phải được trình bày một cách cẩn thận, rõ ràng bằng việc sử dụng loại bút có lực nét nhỏ, không nhòe, hạn chế sửa chữa, gạch xóa tùy tiện và kẻ tay. Phía nam của tờ bản đồ ĐGHC gốc thực địa phải ghi rõ các thông tin: người đo vẽ, ngày đo vẽ, người kiểm tra, tu chỉnh, ngày kiểm tra, tu chỉnh.
3.3. Nội dung đo vẽ bổ sung, chỉnh sửa bản đồ ĐGHC gốc thực địa bao gồm:
a) Các yếu tố địa danh mới xuất hiện chưa có trên bản đồ hoặc sai lệch phải bổ sung hoặc chỉnh sửa theo nguyên tắc về phiên chuyển địa danh do Bộ Tài nguyên và Môi trường ban hành. Trường hợp trên bản đồ không đủ chỗ điền viết, được phép bổ sung trên các sổ tay để chuyển cho khâu nội nghiệp;
b) Khu vực xâm canh, xâm cư phải bổ sung toàn bộ kể cả ở ngoài khu vực 2cm về mỗi bên đường ĐGHC ;
c) Khu vực cấm không thể điều tra đo vẽ bổ sung thì thể hiện đường khoanh bao và ghi chú “khu cấm”;
d) Sông, suối, kênh, mương liên quan đến việc xác định đường ĐGHC phải được đo đạc bổ sung đầy đủ kể cả trường hợp sông, suối, kênh, mương ngắn hơn 2cm trên tỷ lệ bản đồ và độ rộng dưới 1m. Đảo, đá, bãi cạn, bãi ngầm cũng phải bổ sung đầy đủ và ghi rõ thuộc đơn vị hành chính nào;
đ) Đối với khu vực dân cư đô thị hoặc nơi địa vật dày đặc, việc đo đạc chỉnh lý bổ sung các yếu tố địa lý phục vụ việc xác định ĐGHC ngoài việc tuân thủ theo quy định của bản đồ nền còn phải thực hiện theo các quy định sau:
- Đường ĐGHC đi theo đường phố, ngõ thì đường phố, ngõ phải vẽ theo tỷ lệ bản đồ địa hình.
- Tại những nơi cần thông tin để mô tả đường ĐGHC , các yếu tố địa lý bao gồm: nhà hai bên đường, ranh giới tường rào, các công trình văn hóa, điểm phương vị, điểm đặc trưng và các yếu tố địa lý liên quan khác phải đo vẽ theo tỷ lệ. Trường hợp còn lại được phép vẽ gộp khối hoặc tổng quát hóa, biểu thị nửa tỷ lệ hoặc phi tỷ lệ theo quy định của bản đồ địa hình.
- Trường hợp mật độ yếu tố địa lý quá dày, không cho phép thể hiện trên bản đồ gốc thực địa ở tỷ lệ đã thiết kế ban đầu, cho phép thu nhỏ ký hiệu hoặc tạo thêm bản trích đo trong trường hợp cần thiết,
e) Trên bản đồ nền, gạch bỏ các đối tượng địa vật, các địa danh không còn tồn tại bằng ký hiệu gạch chéo “X” mầu đỏ phủ hết đối tượng. Khi đối tượng cần gạch bỏ có dạng hình tuyến, dùng các dấu gạch chéo cách nhau 1 cm để đánh dấu gạch bỏ, đặc biệt chú ý phải chỉ rõ điểm đầu, điểm cuối của đoạn cần gạch bỏ. Trường hợp cần thay thế bằng đoạn mới, phải dùng mực khác màu để dễ nhận biết;
g) Xác định vị trí Ủy ban nhân dân và biểu thị bằng chữ “UB” có gạch chân màu đỏ.
3.4. Các kết quả đo vẽ bổ sung, các điểm khống chế đo vẽ (nếu có) ngoài việc thể hiện trên bản đồ ĐGHC gốc thực địa phải được đưa lên bản vẽ dạng số.
Điều 7. Lập bản mô tả đường địa giới hành chính các cấp
1. Quy định chung về mô tả đường ĐGHC các cấp
1.1. Mô tả đường ĐGHC được lập cho tất cả các tuyến ĐGHC và khép kín theo đơn vị hành chính. Đối với những đơn vị hành chính có đường biên giới quốc gia thì đường ĐGHC phải được mô tả đến đường biên giới quốc gia. Đối với những đơn vị hành chính có đường bờ biển thì đường ĐGHC cấp xã phải được mô tả đến đường bờ nước, trường hợp đường ĐGHC cấp xã trùng với đường ĐGHC cấp huyện hoặc đường ĐGHC cấp xã trùng với đường ĐGHC cấp tỉnh thì đường ĐGHC cấp xã phải được mô tả tiếp đến đường cơ sở.
1.2. Khi mô tả đường ĐGHC cấp xã phải lập biên bản xác nhận mô tả đường ĐGHC cấp xã có xác nhận của các địa phương liên quan. Bản xác nhận mô tả đường ĐGHC cấp huyện, cấp tỉnh được thực hiện trên cơ sở biên tập, tổng hợp nội dung từ các biên bản xác nhận mô tả đường ĐGHC cấp xã.
1.3. Số liệu trong bản mô tả phải phù hợp với bản đồ hoặc sơ đồ thuyết minh (nếu có).
1.4. Mỗi tuyến ĐGHC có thể mô tả liên tục theo toàn tuyến hoặc chia thành một số đoạn. Nội dung mô tả bao gồm:
a) Hiện trạng đường ĐGHC trên thực địa;
b) Vị trí và khoảng cách giữa các mốc ĐGHC , các điểm đặc trưng đã được xác định trên thực địa;
c) Không mô tả những yếu tố địa lý không có trên bản đồ.
1.5. Trường hợp tuyến ĐGHC chưa có sự thống nhất giữa các địa phương liên quan, trong mô tả phải nêu rõ thực trạng và ý kiến đề xuất giải quyết theo quan điểm của mỗi bên.
1.6. Phương pháp mô tả
a) Sử dụng lời văn rõ ràng để diễn đạt chính xác vị trí của đường ĐGHC trên thực địa một cách tuần tự theo hướng đã chọn;
b) Việc mô tả đoạn ĐGHC phải dựa theo các yếu tố địa lý tồn tại ổn định trên thực địa mà đường ĐGHC đi qua hoặc được dùng làm căn cứ để xác định;
c) Trường hợp đặc biệt khi đường ĐGHC đi theo các yếu tố địa lý có khả năng biến động như sông, suối, đường giao thông... thì trong biên bản xác nhận mô tả phải nêu rõ ý kiến thống nhất giữa các đơn vị hành chính liền kề về biện pháp xử lý.
1.7. Lập bản mô tả tình hình chung về ĐGHC các cấp
Sau khi lập bản mô tả đường ĐGHC các cấp phải lập bản mô tả tình hình chung về ĐGHC . Trong bản mô tả tình hình chung về ĐGHC mỗi cấp phải nêu khái quát hiện trạng công tác quản lý ĐGHC , các quyết định của cơ quan nhà nước có thẩm quyền về ĐGHC , diện tích tự nhiên và dân số của đơn vị hành chính. Bản mô tả tình hình chung về ĐGHC lập theo mẫu quy định tại các Phụ lục 15a,15b, 15c ban hành kèm theo Thông tư này.
2. Quy định lập biên bản xác nhận bản mô tả đường ĐGHC cấp xã
2.1. Biên bản xác nhận mô tả đường ĐGHC cấp xã phải thể hiện rõ những nội dung sau:
a) Số hiệu tờ bản đồ có đường ĐGHC ;
b) Sơ đồ thuyết minh ĐGHC kèm theo (nếu có);
c) Các đoạn ĐGHC cấp huyện, cấp tỉnh trùng với tuyến ĐGHC cấp xã;
d) Điểm khởi đầu và điểm kết thúc của tuyến ĐGHC cấp xã;
đ) Số lượng mốc ĐGHC các cấp và các điểm đặc trưng;
e) Số đoạn ĐGHC , chiều dài và phương pháp đo, hướng đi của mỗi đoạn.
2.2. Biên bản xác nhận mô tả đường ĐGHC cấp xã lập theo mẫu quy định tại Phụ lục 12 ban hành kèm theo Thông tư này.
3. Quy định lập bản xác nhận mô tả đường ĐGHC cấp huyện, cấp tỉnh
3.1. Bản xác nhận mô tả đường ĐGHC cấp huyện, cấp tỉnh được lập theo từng tuyến ĐGHC bắt đầu từ điểm giao nhau của đường ĐGHC cấp huyện, cấp tỉnh.
3.2. Bản xác nhận mô tả đường ĐGHC cấp huyện được biên tập, tổng hợp nội dung từ biên bản xác nhận mô tả đường ĐGHC cấp xã trùng cấp huyện. Bản xác nhận mô tả đường ĐGHC cấp tỉnh được biên tập, tổng hợp nội dung từ bản xác nhận mô tả đường ĐGHC cấp huyện trùng cấp tỉnh.
3.3. Bản xác nhận mô tả đường ĐGHC cấp huyện, cấp tỉnh phải thể hiện rõ những nội dung sau:
a) Số hiệu tờ bản đồ có đường ĐGHC;
b) Các đoạn ĐGHC cấp tỉnh trùng với tuyến ĐGHC cấp huyện (đối với bản mô tả đường ĐGHC cấp huyện);
c) Điểm khởi đầu và điểm kết thúc của tuyến ĐGHC cấp huyện, cấp tỉnh;
d) Số lượng mốc ĐGHC và các điểm đặc trưng trên đường ĐGHC cấp huyện, cấp tỉnh;
đ) Số đoạn ĐGHC, chiều dài, hướng đi của mỗi đoạn.
3.4. Nội dung và số liệu trong bản xác nhận mô tả đường ĐGHC cấp huyện, cấp tỉnh phải phù hợp với nội dung và số liệu trong hồ sơ ĐGHC của cấp xã, cấp huyện liên quan.
3.5. Bản xác nhận mô tả ĐGHC cấp huyện, cấp tỉnh được lập theo mẫu quy định tại Phụ lục 13, Phụ lục 14 ban hành kèm theo Thông tư này.
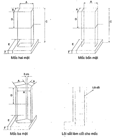
Điều 8. Cắm mốc địa giới hành chính
1. Quy cách mốc địa giới hành chính
Mốc ĐGHC được chia thành 3 cấp: xã, huyện, tỉnh và được sử dụng phù hợp cho từng cấp hành chính tương ứng. Tùy theo điều kiện địa hình cụ thể để thiết kế và triển khai lựa chọn một trong ba loại mốc sau đây:
1.1. Mốc chôn: sử dụng cho tất cả các vùng, mốc được đúc bằng bê tông cốt sắt, đạt mác M25 (39 TCVN 6025 1995) trở lên. Mốc có lõi sắt F8 dài 15cm phía trên có dấu chữ thập làm tâm mốc. Mốc có thể được đúc sẵn rồi chôn hoặc đổ trực tiếp tại thực địa. Quy cách mốc chôn được quy định tại Phụ lục 01 ban hành kèm theo Thông tư này.
1.2. Mốc gắn: sử dụng trong trường hợp vị trí cắm mốc được chọn trên nền đá. Mốc có kích thước bề mặt 30cm x 30cm, có chiều cao tối thiểu 20cm so với mặt đá và được trát phẳng các mặt. Mốc được đúc bằng bê tông cốt sắt, đạt mác M25 trở lên. Mốc có lõi sắt F8 dài 15cm phía trên có dấu chữ thập làm tâm mốc.
1.3. Mốc chôn ngang bằng mặt hè phố, đường giao thông: Được sử dụng trong trường hợp vị trí cắm mốc được chọn là hè phố hoặc đường giao thông. Mốc có kích thước bề mặt là 40cm x 40cm, có chiều cao 40cm. Mốc được đúc bằng bê tông cốt sắt, đạt mác M25 trở lên. Mốc có lõi sắt 08 dài 15cm phía trên có dấu chữ thập làm tâm mốc ngang bằng mặt mốc.
1.4. Ghi chú trên mặt mốc
a) Đối với mốc chôn ghi chú thành 3 hàng được viết bằng chữ in hoa:
- Hàng trên: “ĐỊA GIỚI TỈNH” ( huyện , XÃ) hoặc có thể viết tắt chữ địa giới Đ.G.
- Hàng giữa: Tên đơn vị hành chính.
- Hàng dưới: số đầu là số đơn vị hành chính cùng chung mốc, sau đó là chữ ‘T”, “H” hoặc “X” tương ứng với mốc cấp tỉnh, huyện hoặc xã, tiếp theo là dấu chấm và số thứ tự của mốc.
- Các ghi chú trên mặt mốc phải khắc chìm sâu khoảng 0,5 cm. Các chữ, số có kích thước cao 3cm, rộng 2cm; nét chữ khoảng 0,5cm. Hàng chữ trên cùng cách mép trên khoảng 5cm - 6cm, giãn cách giữa các hàng chữ khoảng 2,5cm - 3,0cm.
b) Mốc gắn trên nền đá và mốc chôn ngang bằng mặt hè phố, đường giao thông:
- Trên mặt mốc, cách mép trên 5cm là dòng chữ “MỐC ĐỊA GIỚI” cao 6cm, rộng 3cm. Ở giữa là vòng tròn, trong đó phía trên ghi số hiệu mốc, phía dưới là chữ số khoảng cách đến điểm giao nhau của đường ĐGHC các cấp. Phía ngoài vòng tròn là phạm vi của các đơn vị hành chính và mũi tên chỉ hướng đến điểm giao nhau của đường ĐGHC các cấp. Kích thước các chữ, số là cao 4cm và rộng 2cm. Các ghi chú, chữ và số đều khắc chìm, nét chữ khoảng 0,5cm.
Chi tiết các ghi chú trên mặt mốc xem tại Phụ lục 02 ban hành kèm theo Thông tư này.
2. Cắm mốc ĐGHC
2.1. Mốc ĐGHC các cấp phải được cắm tại vị trí đã được các đơn vị hành chính liền kề thống nhất lựa chọn và xác nhận pháp lý. Mặt mốc có ghi tên của đơn vị hành chính nào thì hướng mặt mốc về phía đơn vị hành chính đó.
2.2. Khi cắm mốc ĐGHC phải có sự chứng kiến của đại diện cơ quan hành chính nhà nước các đơn vị hành chính liền kề và đại diện cơ quan hành chính nhà nước cấp cao hơn chứng kiến. Khi cắm mốc ĐGHC cấp tỉnh phải có đại diện cơ quan hành chính nhà nước của các đơn vị hành chính liền kề chứng kiến.
2.3. Sau khi cắm mốc ĐGHC phải lập bản xác nhận sơ đồ vị trí mốc ĐGHC . Khi vẽ sơ đồ vị trí mốc ĐGHC phải chọn ít nhất ba (03) địa vật ổn định lâu dài làm vật chuẩn để có khả năng khôi phục lại vị trí của mốc trong trường hợp bị mất hoặc bị phá hủy sau này. Các số liệu đo từ mốc đến vật chuẩn đối với góc phương vị lấy đến chẵn giây và khoảng cách lấy đến 0,1 m;
Bản xác nhận sơ đồ vị trí mốc ĐGHC được thực hiện theo mẫu quy định tại Phụ lục 03a, 03b, 03c ban hành kèm theo Thông tư này.
2.4. Sau khi hoàn thành việc cắm mốc ĐGHC , phải bàn giao mốc ĐGHC các cấp cho các đơn vị hành chính trực tiếp quản lý mốc và lập biên bản bàn giao theo mẫu quy định tại Phụ lục 07 ban hành kèm theo Thông tư này.
3. Đo tọa độ, độ cao mốc địa giới hành chính cấp xã
3.1. Tọa độ, độ cao của mốc ĐGHC cấp xã được đo trực tiếp ở thực địa bằng các thiết bị đo đạc thông dụng như máy thu GPS, máy toàn đạc điện tử. Các điểm khống chế tọa độ, độ cao dùng để khởi tính là các điểm tọa độ, độ cao nhà nước có trong khu đo. Trường hợp sử dụng công nghệ GPS, tùy theo khoảng cách từ các điểm khống chế đến mốc ĐGHC cần xác định tọa độ mà chọn thời gian quan trắc cho phù hợp nhưng không được ít hơn 60 phút.
3.2. Quy trình tính toán bình sai xác định tọa độ, độ cao mốc ĐGHC được thực hiện như quy trình tính toán bình sai lưới khống chế tọa độ các cấp. Tọa độ các mốc ĐGHC cấp xã được tính toán bình sai trong Hệ VN-2000, múi chiếu 3° phù hợp với kinh tuyến trục của bản đồ địa hình được sử dụng làm nền để thành lập bản đồ ĐGHC cấp xã khu vực đó.
3.3. Sai số trung phương tọa độ, độ cao mốc ĐGHC cấp xã sau bình sai không được phép vượt quá 0,3m đối với mặt phẳng và 0,5m đối với độ cao. Ở khu vực ẩn khuất, khó khăn các sai số này được phép nâng lên 0,5m đối với mặt phẳng và 0,7m đối với độ cao;
3.4. Sau khi tính toán bình sai phải lập Bảng xác nhận tọa độ mốc ĐGHC cấp xã, giá trị tọa độ, độ cao mốc ĐGHC được điền viết đến 0,01m theo mẫu được quy định tại Phụ lục 04 ban hành kèm theo Thông tư này.
4. Xác định tọa độ các điểm đặc trưng trên đường địa giới hành chính cấp xã
Tọa độ các điểm đặc trưng trên đường ĐGHC cấp xã được xác định trên bản đồ địa hình dạng số sử dụng làm nền cho bản đồ ĐGHC cấp xã đó. Tọa độ điểm đặc trưng lấy đến 0,01m, Bảng tọa độ các điểm đặc trưng trên đường địa giới hành chính cấp xã được thực hiện theo quy định tại Phụ lục 05 ban hành kèm theo Thông tư này;
5. Xác định tọa độ, độ cao mốc địa giới hành chính và các điểm đặc trưng trên đường địa giới hành chính cấp huyện, cấp tỉnh
5.1. Bảng tọa độ các mốc ĐGHC và các điểm đặc trưng trên đường ĐGHC cấp huyện, cấp tỉnh được lập trên cơ sở bảng xác nhận tọa độ các mốc ĐGHC cấp xã. Trong đó:
a) Các mốc ĐGHC cấp xã nằm trên đường ĐGHC cấp huyện và giao điểm giữa đường ĐGHC cấp xã với đường ĐGHC cấp huyện không cắm mốc được coi là những điểm đặc trưng trên đường ĐGHC cấp huyện;
b) Các mốc ĐGHC cấp huyện nằm trên đường ĐGHC cấp tỉnh và giao điểm giữa đường ĐGHC cấp huyện với đường ĐGHC cấp tỉnh không cắm mốc được coi là những điểm đặc trưng trên đường ĐGHC cấp tỉnh.
5.2. Trường hợp bản đồ ĐGHC cấp xã có cơ sở toán học khác với cơ sở toán học của bản đồ ĐGHC cấp huyện, cấp tỉnh thì phải tính chuyển các giá trị tọa độ này về đúng cơ sở toán học của bản đồ ĐGHC cấp huyện, cấp tỉnh.
5.3. Bảng tọa độ các mốc ĐGHC và các điểm đặc trưng trên đường ĐGHC cấp huyện, cấp tỉnh được lập theo quy định tại Phụ lục 06 ban hành kèm theo Thông tư này. Giá trị tọa độ, độ cao lấy đến 0,01m.
Điều 9. Thành lập bản đồ địa giới hành chính các cấp
1. Bản đồ nền sử dụng để thành lập bản đồ ĐGHC các cấp là bản đồ địa hình quốc gia dạng số mới nhất được cung cấp bởi cơ quan nhà nước có thẩm quyền.
| Cấp hành chính | Vùng đô thị, đồng bằng | Vùng trung du, miền núi |
| Cấp xã | 1:2.000 - 1:10.000 | 1:5.000 - 1:10.000 |
| Cấp huyện | 1:5.000 - 1:50.000 | 1:10.000 - 1:50.000 |
| Cấp tỉnh | 1:10.000 - 1:50.000 | 1:25.000 - 1:50.000 |
hình, mỗi mảnh bản đồ ĐGHC phải được đánh số thứ tự theo nguyên tắc từ trái sang phải, từ trên xuống dưới theo thứ tự sắp xếp của các tờ bản đồ trong mỗi đơn vị hành chính. Ví dụ:

4. Bản đồ ĐGHC cấp xã được thành lập bằng công nghệ số trên cơ sở bản đồ nền dạng số, bản đồ ĐGHC gốc thực địa, các bảng xác nhận tọa độ mốc ĐGHC và bảng tọa độ các điểm đặc trưng. Bản đồ ĐGHC cấp huyện và cấp tỉnh được thành lập trên bản đồ nền có tỷ lệ nhỏ hơn, trong đó các yếu tố ĐGHC và các yếu tố địa lý có liên quan đến ĐGHC được tổng hợp từ bản đồ ĐGHC cấp xã.
5. Nội dung bản đồ ĐGHC các cấp
5.1. Các yếu tố nội dung của bản đồ nền.
5.2. Các yếu tố ĐGHC: Đường ĐGHC, mốc ĐGHC và các điểm đặc trưng trên đường ĐGHC; Trong trường hợp trên tuyến ĐGHC còn tranh chấp thì trên bản đồ phải thể hiện đường ĐGHC đúng thực trạng quản lý theo quan điểm của từng đơn vị hành chính liền kề và thể hiện ký hiệu đường địa giới chưa xác định.
5.3. Các yếu tố địa lý có liên quan đến đường ĐGHC được sử dụng như vật định hướng phục vụ việc xác định vị trí và mô tả đường ĐGHC.
5.4. Địa danh các đơn vị hành chính trong mảnh bản đồ; địa danh dân cư, thủy văn, sơn văn trong phạm vi đơn vị hành chính và phạm vi 2cm ngoài đường ĐGHC các cấp tại thời điểm lập bản đồ. Toàn bộ địa danh thể hiện trên bản đồ ĐGHC trong phạm vi đơn vị hành chính phải được lập phiếu thống kê địa danh dân cư, địa danh sơn văn, địa danh thủy văn theo mẫu quy định tại Phụ lục 10 ban hành kèm theo Thông tư này.
5.5. Các đảo, đá, bãi cạn, bãi ngầm phải ghi chú tên đơn vị hành chính quản lý ở trong ngoặc đơn đặt dưới tên đảo hoặc bên cạnh đảo. Trường hợp đảo, đá, bãi cạn, bãi ngầm nằm cách xa đất liền (ngoài phạm vi của tờ bản đồ có phần đất liền) thì phải làm sơ đồ thuyết minh kèm theo.
5.6. Đối với những đơn vị hành chính có đường biên giới quốc gia thì đường ĐGHC phải thể hiện đến đường biên giới quốc gia.
6. Trình bày bản đồ ĐGHC
6.1. Bản đồ ĐGHC các cấp được giới hạn bởi đường ĐGHC từng cấp, trong đó các yếu tố bản đồ nền trình bày theo quy định bản đồ địa hình, các yếu tố ĐGHC thể hiện theo ký hiệu bản đồ ĐGHC quy định tại Phụ lục 08 ban hành kèm theo Thông tư này.
6.2. Tại các điểm đầu hoặc cuối đường ĐGHC các cấp bao quanh đơn vị hành chính hoặc lãnh thổ, đoạn địa giới được kéo dài thêm 2cm ở tỷ lệ bản đồ.
6.3. Đường ĐGHC các cấp phải được tô viền bằng các dải màu (dải bo) có màu hồng sáng, đảm bảo không làm mờ các yếu tố ĐGHC và các yếu tố địa lý. Đối với đường ĐGHC bao quanh đơn vị hành chính thì chỉ tiến hành tạo dải bo về phía ngoài, đối với các đường ĐGHC nội bộ bên trong thì dải bo được tạo về hai phía của đường ĐGHC.
6.4. Trên bản đồ ĐGHC cấp huyện phải tạo dải bo cho đường ĐGHC cấp xã, trên bản đồ ĐGHC cấp tỉnh chỉ tạo dải bo cho ĐGHC cấp huyện.
6.5. Độ rộng dải bo của đường ĐGHC bao quanh đơn vị hành chính các cấp trên bản đồ được quy định như sau:
a) Cấp tỉnh rộng 15mm;
b) Cấp huyện rộng 10mm;
c) Cấp xã rộng 5mm.
6.6. Độ rộng dải bo đối với đường ĐGHC cấp huyện trên bản đồ ĐGHC cấp tỉnh là 8mm, chia đều mỗi bên 4mm. Độ rộng dải bo đối với đường ĐGHC cấp xã trên bản đồ ĐGHC cấp huyện là 4mm, chia đều mỗi bên 2mm.
6.7. Trình bày khung ngoài của bản đồ ĐGHC được quy định tại Phụ lục 09 ban hành kèm theo Thông tư này.
7. Quy định thành lập bản đồ ĐGHC cấp xã
7.1. Mốc ĐGHC các cấp được thể hiện trên bản đồ số theo đúng giá trị tọa độ trong bảng xác nhận tọa độ mốc ĐGHC cấp xã.
7.2. Điểm đặc trưng được thể hiện trên bản đồ số theo đúng giá trị tọa độ trong bảng tọa độ điểm đặc trưng trên đường ĐGHC.
7.3. Trên cơ sở bản đồ ĐGHC gốc thực địa, xóa bỏ các yếu tố không còn tồn tại trên thực địa đồng thời biên tập bổ sung các yếu tố địa lý đã được thực hiện theo quy định tại tiết b điểm 2.1 khoản 2 Điều 6 Thông tư này.
7.4. Đường ĐGHC các cấp được thể hiện trên bản đồ ĐGHC cấp xã trên cơ sở bản đồ ĐGHC gốc thực địa đã được các đơn vị hành chính liền kề thống nhất xác định. Trên bản đồ số, đường ĐGHC phải đi qua các điểm đặc trưng, các mốc ĐGHC nằm trên đường địa giới.
7.5. Đường ĐGHC cấp xã chỉ vẽ đến bờ biển. Đường ĐGHC cấp huyện, cấp tỉnh phải được thể hiện đến đường cơ sở.
7.6. Biên tập bản đồ ĐGHC cấp xã dạng số:
a) Việc biên tập bản đồ ĐGHC cấp xã dạng số tuân thủ theo các quy định về biên tập bản đồ địa hình dạng số hiện hành cùng tỷ lệ có bổ sung các yếu tố ĐGHC vào nhóm đối tượng biên giới, địa giới. Các yếu tố ĐGHC phải được thể hiện ở dạng số theo quy định tại điểm 6.1 khoản 6 Điều 9 Thông tư này;
b) Các yếu tố ĐGHC được tổ chức, tách lớp riêng biệt và biên tập theo đơn vị hành chính cấp xã. Các yếu tố địa lý khác được giữ nguyên theo đơn vị mảnh bản đồ nền;
c) Trường hợp có sự mâu thuẫn về vị trí của mốc ĐGHC so với các yếu tố địa lý lân cận, phải tiến hành biên tập lại các yếu tố địa lý trên bản đồ cho phù hợp;
d) Tại các khu vực có mật độ địa vật quá dày, khi mốc ĐGHC, điểm đặc trưng trùng với yếu tố địa lý trên bản đồ thì ưu tiên thể hiện các yếu tố địa giới, các yếu tố địa lý có trong mô tả ĐGHC và các yếu tố địa lý lân cận có tính định hướng;
đ) Trường hợp đường ĐGHC đi trùng đối tượng hình tuyến trên bản đồ, căn cứ vào bản mô tả tiến hành chuẩn hóa lại đối tượng hình tuyến và các đối tượng có liên quan theo đúng tương quan hình học trên cơ sở giữ nguyên các điểm mốc ĐGHC, các điểm đặc trưng. Sau khi chuẩn hóa, đối tượng đường ĐGHC được sao chép trùng khít từ đối tượng hình tuyến đó;
e) Mỗi đối tượng đường ĐGHC phải là một đường liên tục (Linestring) hoặc bao gồm nhiều đoạn tiếp nối với nhau với dung sai 0,001 m. Tại những nơi đường ĐGHC các cấp trùng nhau phải thể hiện đầy đủ bằng cách sao chép trùng khít tuyệt đối;
g) Khi biên tập bản đồ ĐGHC dạng số được phép sử dụng công cụ làm sạch tự động với dung sai 0,001m đối với các vị trí điểm mốc ĐGHC, điểm đặc trưng trên đường ĐGHC và điểm giao cắt giữa các tuyến ĐGHC; 0,1m đối với các đối tượng khác.
7.7. Biên tập bản đồ ĐGHC cấp xã phục vụ in trên giấy
a) Bản đồ ĐGHC in trên giấy được xác lập tính pháp lý theo quy định tại điểm 4.1 khoản 4 Điều 10 Thông tư này;
b) Biên tập bản đồ ĐGHC cấp xã phục vụ in trên giấy được thực hiện trên cùng phiên bản phần mềm và bộ thư viện ký hiệu đã sử dụng trong biên tập bản đồ ĐGHC cấp xã dạng số;
c) Độ chính xác và tính đầy đủ của phiên bản dữ liệu bản đồ phục vụ in trên giấy không được thay đổi so với bộ dữ liệu bản đồ ĐGHC cấp xã dạng số;
d) Quá trình biên tập chỉ được phép xê dịch vị trí các ghi chú hoặc một số ký hiệu có tính đại diện để các nội dung liên quan đến đường ĐGHC các cấp trên bản in được trình bày rõ ràng, dễ đọc;
đ) Trường hợp đối tượng quá dày, cho phép viết tắt các ghi chú theo quy định của bản đồ địa hình truyền thống, cá biệt có thể được phép thu nhỏ đến 2/3 so với quy định để đảm bảo dung nạp hết những nội dung cần thiết;
e) Trường hợp đoạn ĐGHC đi trùng đối tượng hình tuyến, ký hiệu đường ĐGHC được biên tập chéo cánh xẻ hai bên đoạn đối tượng hình tuyến để chỉ rõ giới hạn đoạn ĐGHC đi trùng. Ký hiệu chéo cánh xẻ tuân theo quy tắc thể hiện của bản đồ địa hình truyền thống.
8. Quy định thành lập bản đồ ĐGHC cấp huyện, cấp tỉnh
8.1. Bản đồ ĐGHC cấp huyện được thành lập bằng công nghệ số từ nguồn dữ liệu bản đồ ĐGHC cấp xã phục vụ in trên giấy. Bản đồ ĐGHC cấp tỉnh được thành lập bằng công nghệ số từ bản đồ ĐGHC cấp huyện.
8.2. Mốc ĐGHC và các điểm đặc trưng cấp huyện, cấp tỉnh được thể hiện theo đúng giá trị tọa độ trong bảng tọa độ các mốc ĐGHC và các điểm đặc trưng trên đường ĐGHC cấp huyện, cấp tỉnh. Trường hợp có sự mâu thuẫn về vị trí của mốc so với các yếu tố địa lý lân cận, phải tiến hành biên tập lại các yếu tố địa lý liên quan trên bản đồ cho phù hợp.
8.3. Các yếu tố ĐGHC và các yếu tố địa lý có liên quan đến đường ĐGHC từ kết quả biên tập bản đồ ĐGHC cấp xã được tổng quát hóa và thể hiện trên bản đồ nền theo các quy định về nội dung và yêu cầu thể hiện ở tỷ lệ tương ứng. Các đối tượng nội dung liên quan trên bản đồ nền phải được chỉnh sửa, biên tập cho phù hợp, không được mâu thuẫn.
8.4. Đường ĐGHC các cấp thể hiện trong bản đồ ĐGHC cấp huyện, cấp tỉnh trên cơ sở kế thừa kết quả biên tập bản đồ ĐGHC cấp xã. Trường hợp có mâu thuẫn cần tiến hành chính sửa, biên tập cho phù hợp trên cơ sở ưu tiên các yếu tố ĐGHC đồng thời phải đảm bảo mức độ đầy đủ như trong bản mô tả đường ĐCHC ở cấp tương ứng.
8.5. Biên tập bản đồ ĐGHC cấp huyện, cấp tỉnh phục vụ in trên giấy được thực hiện theo các quy định như đối với việc biên tập bản đồ ĐGHC cấp xã in trên giấy.
Điều 10. Lập hồ sơ địa giới hành chính các cấp
1. Nội dung của hồ sơ ĐGHC cấp xã
Hồ sơ ĐGHC cấp xã bao gồm các tài liệu sau:
a) Các văn bản pháp lý về thành lập xã và điều chỉnh ĐGHC xã;
b) Bản đồ ĐGHC cấp xã;
c) Các bản xác nhận sơ đồ vị trí các mốc ĐGHC cấp xã, huyện , tỉnh trên đường ĐGHC của xã;
d) Bản xác nhận tọa độ các mốc ĐGHC cấp xã;
đ) Bảng tọa độ các điểm đặc trưng trên đường ĐGHC cấp xã;
e) Mô tả tình hình chung về ĐGHC cấp xã;
g) Các biên bản xác nhận mô tả đường ĐGHC cấp xã;
h) Các phiếu thống kê địa danh (dân cư, thủy văn, sơn văn);
i) Biên bản bàn giao mốc ĐGHC các cấp.
2. Nội dung của hồ sơ ĐGHC cấp huyện
Hồ sơ ĐGHC cấp huyện bao gồm các tài liệu sau:
a) Các văn bản pháp lý về thành lập huyện và điều chỉnh ĐGHC huyện;
b) Bản đồ ĐGHC cấp huyện;
c) Các bản xác nhận sơ đồ vị trí các mốc ĐGHC cấp huyện, tỉnh trên đường ĐGHC của huyện;
d) Bảng tọa độ các mốc ĐGHC và các điểm đặc trưng trên đường ĐGHC cấp huyện;
đ) Mô tả tình hình chung về ĐGHC cấp huyện;
e) Các bản xác nhận mô tả đường ĐGHC cấp huyện.
3. Nội dung của hồ sơ ĐGHC cấp tỉnh
Hồ sơ ĐGHC cấp tỉnh bao gồm các tài liệu sau:
a) Các văn bản pháp lý về thành lập tỉnh và điều chỉnh ĐGHC tỉnh;
b) Bản đồ ĐGHC cấp tỉnh;
c) Các bản xác nhận sơ đồ vị trí các mốc ĐGHC cấp tỉnh trên đường ĐGHC của tỉnh;
d) Bảng tọa độ các mốc ĐGHC và các điểm đặc trưng trên đường ĐGHC cấp tỉnh;
đ) Mô tả tình hình chung về ĐGHC cấp tỉnh;
e) Các bản xác nhận mô tả đường ĐGHC cấp tỉnh.
4. Xác lập tính pháp lý của các tài liệu trong hồ sơ ĐGHC các cấp
4.1. Xác lập tính pháp lý trên bản đồ ĐGHC các cấp:
a) Chủ tịch Ủy ban nhân dân cấp xã, huyện , tỉnh ký xác nhận ở ngoài góc khung Đông nam các mảnh bản đồ trong bộ bản đồ ĐGHC thuộc phạm vi quản lý hành chính của mình;
b) Chủ tịch Ủy ban nhân dân cấp xã, huyện , tỉnh liên quan ký xác nhận bên trong nội dung các mảnh bản đồ ĐGHC vào phạm vi thuộc quản lý hành chính của mình và cách đường ĐGHC chung với cấp lập hồ sơ từ 2cm đến 3cm.
4.2. Xác lập tính pháp lý trên sơ đồ vị trí các mốc ĐGHC cấp:
a) Chủ tịch Ủy ban nhân dân cấp tỉnh trực tiếp quản lý mốc ĐGHC ký xác nhận sơ đồ vị trí mốc ĐGHC cấp tỉnh, đại diện Bộ Nội vụ ký chứng thực sơ đồ vị trí mốc ĐGHC cấp tỉnh;
b) Chủ tịch Ủy ban nhân dân cấp huyện trực tiếp quản lý mốc ký xác nhận và Chủ tịch UBND cấp tỉnh ký chứng thực sơ đồ vị trí mốc ĐGHC cấp huyện
c) Chủ tịch Ủy ban nhân dân cấp xã trực tiếp quản lý mốc ký xác nhận và Chủ tịch Ủy ban nhân dân cấp huyện ký chứng thực sơ đồ vị trí mốc ĐGHC cấp xã.
4.3. Xác lập tính pháp lý trên bản xác nhận tọa độ các mốc ĐGHC :
a) Chủ tịch Ủy ban nhân dân cấp quản lý trực tiếp mốc ĐGHC ký xác nhận vào bản xác nhận tọa độ các mốc ĐGHC cấp tương ứng;
b) Đại diện đơn vị thi công ký xác nhận; người lập, người kiểm tra ký và ghi rõ họ tên.
4.4. Xác lập tính pháp lý đối với bản mô tả tình hình chung về ĐGHC các cấp:
a) Chủ tịch Ủy ban nhân dân các cấp ký xác nhận;
b) Người lập ký và ghi rõ họ tên.
4.5. Xác lập tính pháp lý đối với biên bản xác nhận mô tả đường ĐGHC cấp xã:
a) Chủ tịch Ủy ban nhân dân cấp xã của hai bên liên quan ký xác nhận;
b) Đại diện cơ quan chuyên môn cấp huyện gồm phòng Nội vụ và đơn vị thi công ký chứng kiến.
4.6. Xác lập tính pháp lý đối với bản xác nhận mô tả đường ĐGHC cấp huyện, cấp tỉnh do Chủ tịch Ủy ban nhân dân cấp huyện, cấp tỉnh liên quan trực tiếp ký xác nhận.
4.7. Xác lập tính pháp lý đối với phiếu thống kê địa danh (dân cư, thủy văn, sơn văn) thuộc địa phận hành chính cấp xã do Chủ tịch Ủy ban nhân dân cấp xã ký xác nhận, người lập phiếu ký và ghi rõ họ tên.
4.8. Xác lập tính pháp lý đối với biên bản bàn giao mốc ĐGHC các cấp:
a) Chủ tịch Ủy ban nhân dân cấp tỉnh ký xác nhận bên giao mốc;
b) Chủ tịch Ủy ban nhân dân xã ký xác nhận bên nhận mốc.
4.9. Đối với bản sao các văn bản pháp lý về điều chỉnh ĐGHC các cấp: việc ký sao y bản chính tuân theo quy định tại Thông tư liên tịch số 55/TTLT-BNV-VPCP ngày 06 tháng 5 năm 2005 của Bộ Nội vụ và Văn phòng Chính phủ hướng dẫn thể thức và kỹ thuật trình bày văn bản hành chính; Thông tư số 01/2011/TT-BNV ngày 19 tháng 01 năm 2011 của Bộ Nội vụ hướng dẫn thể thức và kỹ thuật trình bày văn bản hành chính.
5. Trình bày và đóng tập hồ sơ ĐGHC lập mới
5.1. Hồ sơ ĐGHC các cấp lập mới được trình bày và đóng tập theo quy định tại Phụ lục 16a, 16b, 16c; bìa hồ sơ ĐGHC trình bày theo quy định tại Phụ lục 17 ban hành kèm theo Thông tư này.
5.2. Bản đồ ĐGHC lập mới được trình bày và đóng tập theo quy định tại Phụ lục 18 ban hành kèm theo Thông tư này.
Điều 11. Chỉnh lý, bổ sung hồ sơ ĐGHC đối với các đơn vị hành chính có sự điều chỉnh
1. Trường hợp đơn vị hành chính được điều chỉnh ĐGHC theo Quyết định của cơ quan nhà nước có thẩm quyền thì thực hiện chỉnh lý, bổ sung hồ sơ ĐGHC theo quy định sau:
1.1. Giữ nguyên hiện trạng bộ hồ sơ ĐGHC hiện đang sử dụng sau khi có Quyết định điều chỉnh ĐGHC của cơ quan nhà nước có thẩm quyền, không chỉnh sửa làm thay đổi nội dung, tẩy xóa, xé lẻ bộ hồ sơ hiện có.
1.2. Những tài liệu và văn bản pháp lý trong hồ sơ hiện đang sử dụng có nội dung còn phù hợp với nội dung Quyết định điều chỉnh ĐGHC mới của cơ quan nhà nước có thẩm quyền thì được sao lục đưa vào hồ sơ ĐGHC chỉnh lý, bổ sung.
1.3. Đối với tuyến ĐGHC không thay đổi và không chôn thêm mốc ĐGHC phải bổ sung bản sao Quyết định điều chỉnh ĐGHC mới của cơ quan nhà nước có thẩm quyền vào tập hồ sơ ĐGHC hiện đang sử dụng.
1.4. Những tài liệu lập mới trong hồ sơ ĐGHC được phải được xác lập tính pháp lý theo quy định tại khoản 4 Điều 10 Thông tư này.
1.5. Những tài liệu bổ sung thêm và những tài liệu liên quan đến chỉnh lý hồ sơ ĐGHC đều phải đóng bổ sung vào tập hồ sơ hiện đang sử dụng.
2. Trường hợp có điều chỉnh đường ĐGHC và chôn thêm mốc mới thì phải bổ sung vào tập hồ sơ hiện đang sử dụng những tài liệu sau:
2.1. Bản thống kê danh mục tài liệu mới bổ sung.
2.2. Bản sao văn bản của cơ quan nhà nước có thẩm quyền về điều chỉnh ĐGHC.
2.3. Bản tổng hợp những thay đổi về ĐGHC.
2.4. Bản xác nhận sơ đồ vị trí mốc mới bổ sung.
2.5. Bảng xác nhận tọa độ các mốc ĐGHC và bảng tọa độ các điểm đặc trưng trên đường ĐGHC mới bổ sung.
2.6. Biên bản xác nhận mô tả tuyến ĐGHC mới lập.
2.7. Biên bản bàn giao mốc ĐGHC mới bổ sung.
3. Tài liệu pháp lý sử dụng để chỉnh lý, bổ sung bản đồ ĐGHC bao gồm:
3.1. Bản sao quyết định của cấp có thẩm quyền về điều chỉnh ĐGHC.
3.2. Bản đồ ĐGHC hiện đang sử dụng.
3.3. Bản đồ nền do cơ quan nhà nước có thẩm quyền cung cấp.
3.4. Bản xác nhận sơ đồ vị trí mốc ĐGHC mới bổ sung; biên bản xác nhận mô tả tuyến ĐGHC mới điều chỉnh; bản xác nhận tọa độ mốc ĐGHC; bảng tọa độ các điểm đặc trưng trên đường ĐGHC.
4. Thực hiện chỉnh lý, bổ sung bản đồ ĐGHC theo quy định sau:
4.1. Căn cứ vào tài liệu, văn bản pháp lý về điều chỉnh ĐGHC tiến hành bổ sung, chỉnh sửa các ký hiệu đường địa giới, mốc ĐGHC, địa danh hành chính, địa danh dân cư, thủy văn, sơn văn cho phù hợp đồng thời bổ sung chỉnh sửa các yếu tố địa lý liên quan đến đường ĐGHC trong phạm vi 2cm trên bản đồ về hai bên đường ĐGHC cấp xã.
4.2. Trình bày bản đồ ĐGHC sau khi đã được chỉnh lý bổ sung theo quy định tại Phụ lục 9 ban hành kèm theo Thông tư này, góc phía Đông bắc ngoài khung mảnh bản đồ có ghi chú nội dung: “Mảnh bản đồ được chỉnh lý bổ sung theo quyết định số..., ngày..., tháng..., năm... của...” (điền tên cơ quan nhà nước có thẩm quyền về việc điều chỉnh ĐGHC phải được ghi chính xác theo các văn bản pháp lý).
5. Xác lập tính pháp lý trên các tài liệu chỉnh lý, bổ sung của hồ sơ ĐGHC các cấp được thực hiện theo các quy định sau:
5.1. Các tài liệu lập mới thì xác lập tính pháp lý theo quy định tại khoản 4 Điều 10 Thông tư này.
5.2. Các tài liệu có nội dung không thay đổi được sao lục và xác nhận bởi cơ quan hành chính nhà nước cấp trên quản lý trực tiếp đơn vị hành chính có sự điều chỉnh.
6. Đóng tập các tài liệu chỉnh lý, bổ sung hồ sơ ĐGHC các cấp:
6.1. Bản đồ ĐGHC mới chỉnh lý, bổ sung được đóng tiếp vào tập bản đồ ĐGHC hiện đang sử dụng hoặc theo các quyết định của cơ quan nhà nước có thẩm quyền.
6.2. Các văn bản tài liệu mới chỉnh lý, bổ sung được đóng tiếp vào tập hồ sơ ĐGHC hiện đang sử dụng hoặc theo các quyết định của cơ quan nhà nước có thẩm quyền.
Điều 12. Kiểm tra, nghiệm thu hồ sơ địa giới hành chính các cấp
1. Yêu cầu về kiểm tra, nghiệm thu:
1.1. Nhiệm vụ kiểm tra, nghiệm thu hồ sơ ĐGHC phải được thực hiện ngay sau khi hoàn thành từng hạng mục công việc, sản phẩm.
1.2. Hồ sơ ĐGHC khi nghiệm thu phải đảm bảo được lập đầy đủ theo quy định tại Thông tư này, các số liệu phải chính xác, từ ngữ sử dụng trong các văn bản phải ngắn gọn, rõ ràng, dễ hiểu và thống nhất giữa các cấp.
1.3. Đảm bảo tính thống nhất và chính xác về mặt kỹ thuật trong quá trình thực hiện nhiệm vụ đo vẽ bổ sung các yếu tố ĐGHC, các yếu tố địa lý từ thực địa lên bản đồ địa hình và về lập hồ sơ, bản đồ ĐGHC.
1.4. Xác nhận rõ khối lượng nhiệm vụ đã thực hiện, đối chiếu với Dự án, Thiết kế kỹ thuật - dự toán để làm cơ sở cho việc quyết toán.
1.5. Khi kết thúc nghiệm thu hồ sơ ĐGHC phải lập báo cáo gửi cơ quan quản lý cấp trên nêu rõ số lượng và chất lượng từng tài liệu trong hồ sơ ĐGHC. Trong báo cáo phải có kết luận rõ ràng và đánh giá chất lượng tốt hoặc đạt yêu cầu, những thiếu sót cần phải bổ sung, sửa chữa hoặc làm lại, thời gian hoàn thành, khi nộp lên cấp trên phải đảm bảo đầy đủ và chính xác.
1.6. Phiếu ghi ý kiến kiểm tra, Biên bản nghiệm thu, Bảng danh mục tài liệu đã nghiệm thu trong quá trình kiểm tra, nghiệm thu lập theo mẫu quy định tại Phụ lục 19a, 19b, 19c ban hành kèm theo Thông tư này.
1.7. Những ý kiến liên quan đến đề nghị xử lý của cơ quan Trung ương (Bộ Nội vụ, Bộ Tài nguyên và Môi trường) phải lập thành văn bản đề nghị riêng.
2. Trình tự trách nhiệm các cấp trong kiểm tra nghiệm thu:
2.1. Đơn vị thi công chịu trách nhiệm kiểm tra tất cả các hạng mục của sản phẩm theo các chỉ tiêu kỹ thuật đưa ra trong nội dung Thông tư này.
2.2. Ủy ban nhân dân các cấp phối hợp với đơn vị thi công kiểm tra nghiệm thu hồ sơ ĐGHC thuộc trách nhiệm quản lý trực tiếp của mình và kiểm tra nghiệm thu hồ sơ ĐGHC của cấp dưới thuộc thẩm quyền quản lý.
2.3. Sở Nội vụ, Sở Tài nguyên và Môi trường có trách nhiệm giúp Ủy ban nhân dân tỉnh hướng dẫn và tổ chức thực hiện công tác tra kiểm tra nghiệm thu hồ sơ ĐGHC, các cấp.
2.4. Ủy ban nhân dân cấp tỉnh nghiệm thu và chịu trách nhiệm trước Chính phủ về chất lượng toàn bộ hồ sơ ĐGHC các cấp thuộc thẩm quyền quản lý của mình. Để bảo đảm giá trị sử dụng lâu dài, nếu trong quá trình sử dụng phát hiện có sai sót thì Ủy ban nhân dân cấp tỉnh phải có biện pháp chỉ đạo các cấp liên quan chỉnh lý, bổ sung kịp thời và báo cáo cơ quan quản lý cấp trên, không để kéo dài.
2.5. Hồ sơ ĐGHC các cấp trước khi giao nộp để kiểm tra nghiệm thu phải được xem xét kỹ lưỡng về số lượng, chất lượng của tất cả các tài liệu có liên quan đảm bảo bốn tính chất đầy đủ, chính xác, thống nhất và pháp lý của hồ sơ.
3. Tổ chức kiểm tra, nghiệm thu
3.1. Ủy ban nhân dân mỗi cấp thành lập một tổ chuyên viên giúp việc để thực hiện công tác kiểm tra và nghiệm thu hồ sơ ĐGHC thuộc thẩm quyền quản lý trực tiếp và kiểm tra nghiệm thu hồ sơ ĐGHC của cấp dưới thuộc quyền quản lý. Tổ chuyên viên có nhiệm vụ:
a) Theo dõi quá trình tổ chức thực hiện và chuẩn bị các công việc cần thiết cho việc kiểm tra nghiệm thu sản phẩm ngay sau khi hoàn thành;
b) Thực hiện kiểm tra cơ sở pháp lý và nội dung kỹ thuật đối với các sản phẩm đưa vào kiểm tra nghiệm thu;
c) Chỉ ra những thiếu sót và yêu cầu đơn vị thi công có trách nhiệm bổ sung, sửa chữa kịp thời hoặc yêu cầu làm lại khi cần thiết;
d) Xác nhận việc sửa chữa, bổ sung hoặc làm lại (nếu có); giúp Ủy ban nhân dân cấp mình xác nhận tính pháp lý cho hồ sơ, xác nhận việc hoàn thành của đơn vị thi công và soạn thảo báo cáo nghiệm thu gửi cấp trên.
3.2. Tổ chức kiểm tra, nghiệm thu trên toàn bộ các hạng mục sản phẩm bản đồ ĐGHC và các tài liệu theo quy định trong bộ hồ sơ ĐGHC, các tài liệu liên quan trong quá trình thi công như: sổ đo, kết quả đo bù, bảng tính, biên bản kiểm nghiệm máy và các tài liệu khác.
3.3. Khi kiểm tra, nghiệm thu hồ sơ ĐGHC ở mỗi cấp, phải có đại diện của Ủy ban nhân dân cấp trên trực tiếp tham gia; riêng đối với bộ hồ sơ ĐGHC cấp tỉnh, thì Ủy ban nhân dân tỉnh tự tổ chức kiểm tra nghiệm thu.
3.4. Các tài liệu giao nộp trước khi kiểm tra nghiệm thu:
a) Bản đồ ĐGHC;
b) Sơ đồ vị trí các mốc ĐGHC;
c) Bảng xác nhận tọa độ các mốc ĐGHC;
d) Bảng tọa độ các điểm đặc trưng trên đường ĐGHC;
đ) Các biên bản xác nhận mô tả ĐGHC;
e) Các phiếu thống kê địa danh.
4. Mức độ kiểm tra nghiệm thu
4.1. Đối với hồ sơ ĐGHC cấp xã:
a) Đơn vị thi công tự tổ chức kiểm tra 100% các hạng mục công việc và tài liệu trong hồ sơ ĐGHC;
b) Ủy ban nhân dân cấp xã có trách nhiệm theo dõi, giám sát quá trình thi công tại thực địa và kiểm tra 100% tất cả các hạng mục công việc và tài liệu của hồ sơ ĐGHC cấp xã của mình trong quá trình đơn vị thi công tổ chức thực hiện;
c) Ủy ban nhân dân cấp huyện có trách nhiệm:
Kiểm tra xem xét tài liệu, chất lượng mốc ĐGHC 30%;
Đối chiếu kết quả đo tọa độ mốc ĐGHC và các điểm đặc trưng trên dữ liệu bản đồ ĐGHC 30%.
Đối chiếu giữa tài liệu với thực địa: kiểm tra 30% cho các loại công việc và tài liệu: bản đồ ĐGHC, sơ đồ vị trí mốc ĐGHC, biên bản xác nhận mô tả ĐGHC và các bản thống kê địa danh.
d) Ủy ban nhân dân cấp tỉnh có trách nhiệm:
Kiểm tra xem xét tài liệu, chất lượng mốc 20%;
Đối chiếu kết quả đo tọa độ vị trí mốc và các điểm đặc trưng trên bản đồ ĐGHC 10%.
Đối chiếu giữa tài liệu với thực địa: kiểm tra 10% cho các loại công việc và tài liệu: bản đồ ĐGHC, sơ đồ vị trí mốc ĐGHC, biên bản xác nhận mô tả ĐGHC và các bản thống kê địa danh.
4.2. Đối với hồ sơ ĐGHC cấp huyện
a) Đơn vị thi công tự tổ chức kiểm tra 100% các hạng mục công việc và tài liệu trong hồ sơ ĐGHC;
b) Ủy ban nhân dân cấp huyện kiểm tra 100% tất cả các hạng mục công việc và tài liệu của hồ sơ ĐGHC cấp huyện của mình do đơn vị thi công thực hiện;
c) Ủy ban nhân dân cấp tỉnh kiểm tra 50% tất cả các hạng mục công việc và tài liệu.
4.3. Đối với hồ sơ ĐGHC cấp tỉnh
a) Đơn vị thi công tự tổ chức kiểm tra 100% tất cả các hạng mục công việc và tài liệu trong hồ sơ ĐGHC do đơn vị thi công thực hiện;
b) Ủy ban nhân dân cấp tỉnh kiểm tra 100% tất cả các hạng mục công việc và tài liệu của hồ sơ ĐGHC cấp tỉnh do đơn vị thi công thực hiện; Bộ Nội vụ chủ trì phối hợp với Bộ Tài nguyên và Môi trường căn cứ tình hình cụ thể để quyết định mức độ kiểm tra các hạng mục công việc và tài liệu thuộc hồ sơ ĐGHC cấp tỉnh trong quá trình thẩm định.
5. Đóng gói sản phẩm hồ sơ ĐGHC các cấp
5.1. Trước khi đóng gói sản phẩm bản đồ ĐGHC các cấp, phải rà soát toàn bộ sản phẩm theo các nội dung sau:
a) Thông tin định tính, định lượng của các yếu tố địa lý cùng tên trên bản đồ ĐGHC các cấp không được mâu thuẫn, đặc biệt là các yếu tố liên quan đến mô tả đường ĐGHC các cấp;
b) Các yếu tố ĐGHC và yếu tố địa lý thể hiện trên bản đồ địa hình có liên quan phải được rà soát, chuẩn hóa 100% về độ chính xác, mức độ phù hợp giữa bản đồ số, bản đồ gốc thực địa và bản xác nhận mô tả đường ĐGHC các cấp;
c) Bản đồ ĐGHC các cấp in trên giấy phải có chất lượng tốt, tông màu đồng đều, hình thức, màu sắc ký hiệu phải thống nhất trên toàn bộ sản phẩm. Các yếu tố nội dung về ĐGHC phải rõ ràng, dễ nhận biết.
5.2. Việc tiếp biên phải được tiến hành trước khi tổng hợp nội dung bản đồ cấp xã lên cấp huyện và cấp huyện lên cấp tỉnh. Phải tiếp biên tất cả các đối tượng kiểu đường, kiểu vùng có giao cắt với đường biên theo nguyên tắc các đối tượng kiểu đường và kiểu vùng không được biến dạng, đổi hướng hoặc gãy khúc. Các đối tượng địa vật, địa danh cùng tên giữa các đơn vị hành chính lân cận phải thống nhất.
5.3. Việc đóng gói, giao nộp sản phẩm chỉ được thực hiện sau khi đã thông qua công tác kiểm tra nghiệm thu sản phẩm cuối cùng của toàn dự án. Bản đồ ĐGHC được đóng gói theo quy định của việc lập hồ sơ địa giới hành chính các cấp, bao gồm:
a) Dữ liệu bản đồ dạng số và kết quả biên tập phục vụ in trên giấy;
b) Các thư viện ký hiệu được sử dụng để thành lập và biên tập bản đồ ĐGHC các cấp;
c) Các bảng biểu thống kê tọa độ điểm mốc, điểm đặc trưng và các sản phẩm trung gian khác đã sử dụng trong quá trình thành lập bản đồ.
5.4. Số đo GPS theo mẫu tại Phụ lục 7 của Quy chuẩn kỹ thuật quốc gia về xây dựng lưới tọa độ.
5.5. Kết quả tính toán bình sai tọa độ, độ cao mốc ĐGHC các cấp.
5.6. Các hạng mục sản phẩm dạng số được ghi trên đĩa CD, DVD có chất lượng tốt hoặc các thiết bị lưu trữ số khác.
6. Việc thẩm định hồ sơ ĐGHC thực hiện theo quy định tại khoản 3 mục 2 Thông tư liên tịch số 06/2006/TTLT-BTNMT-BNV-BNG-BQP ngày 13 tháng 6 năm 2006 của Bộ Tài nguyên và Môi trường, Bộ Nội vụ, Bộ Ngoại giao và Bộ Quốc phòng hướng dẫn quản lý công tác đo đạc và bản đồ về địa giới hành chính và biên giới quốc gia.
7. Việc quản lý, sử dụng hồ sơ ĐGHC các cấp thực hiện theo quy định tại khoản 2 mục 2 Thông tư liên tịch số 06/2006/TTLT-BTNMT-BNV-BNG-BQP ngày 13 tháng 6 năm 2006 của Bộ Tài nguyên và Môi trường, Bộ Nội vụ, Bộ Ngoại giao và Bộ Quốc phòng hướng dẫn quản lý công tác đo đạc và bản đồ về địa giới hành chính và biên giới quốc gia.
Chương III
ĐIỀU KHOẢN THI HÀNH
Điều 13. Hiệu lực thi hành
Thông tư này có hiệu lực thi hành từ ngày 03 tháng 11 năm 2014 và hủy bỏ QCVN12:2008/BTNMT được ban hành kèm theo Quyết định số 12/2008/BTNMT ngày 18 tháng 12 năm 2008 của Bộ trưởng Bộ Tài nguyên và Môi trường về việc ban hành “Quy chuẩn kỹ thuật quốc gia về phân định địa giới hành chính và lập hồ sơ địa giới hành chính các cấp”.
Điều 14. Trách nhiệm thi hành
1. Bộ, cơ quan ngang Bộ, cơ quan thuộc Chính phủ; Ủy ban nhân dân tỉnh, thành phố trực thuộc Trung ương có trách nhiệm chỉ đạo triển khai thực hiện Thông tư này.
2. Cục Đo đạc và Bản đồ Việt Nam có trách nhiệm kiểm tra việc thực hiện Thông tư này.
3. Sở Tài nguyên và Môi trường có trách nhiệm giúp Ủy ban nhân dân tỉnh, thành phố trực thuộc Trung ương triển khai thực hiện Thông tư này tại địa phương.
Trong quá trình tổ chức thực hiện, nếu có khó khăn, vướng mắc thì các cơ quan, tổ chức, cá nhân phản ánh kịp thời về Bộ Tài nguyên và Môi trường để xem xét, sửa đổi, bổ sung cho phù hợp./.
|
Nơi nhận: |
KT. BỘ TRƯỞNG |
PHỤ LỤC
VỀ MẪU TRÌNH BÀY QUY ĐỊNH KỸ THUẬT VỀ XÁC ĐỊNH ĐƯỜNG ĐỊA GIỚI HÀNH CHÍNH, CẮM MỐC ĐỊA GIỚI VÀ LẬP HỒ SƠ ĐỊA GIỚI HÀNH CHÍNH CÁC CẤP
(Kèm theo Thông tư số 48/2014/TT-BTNMT ngày 22 tháng 8 năm 2014 của Bộ Tài nguyên và Môi trường)
Phụ lục 1: Quy cách mốc đúc bê tông thông thường
Phụ lục 2: Mẫu ghi chú trên mặt mốc địa giới hành chính
Phụ lục 3: Mẫu Bản xác nhận sơ đồ vị trí mốc địa giới hành chính
- Phụ lục 3a: cấp xã; phụ lục 3b: cấp huyện; phụ lục 3c: cấp tỉnh
Phụ lục 4: Mẫu Bảng xác nhận tọa độ mốc địa giới hành chính cấp xã
Phụ lục 5: Mẫu Bảng tọa độ các điểm đặc trưng trên đường địa giới hành chính cấp xã
Phụ lục 6: Mẫu Bảng tọa độ các mốc địa giới hành chính và điểm đặc trưng trên đường địa giới hành chính cấp huyện (hoặc tỉnh)
Phụ lục 7: Mẫu Biên bản bàn giao mốc địa giới hành chính
Phụ lục 8: Mẫu ký hiệu bản đồ địa giới hành chính
Phụ lục 9: Trình bày ngoài khung bản đồ địa giới hành chính các cấp
Phụ lục 10: Mẫu phiếu thống kê địa danh
Phụ lục 11: Sơ đồ thuyết minh địa giới hành chính
Phụ lục 12: Mẫu biên bản xác nhận mô tả địa giới hành chính cấp xã
Phụ lục 13: Mẫu bản xác nhận mô tả địa giới hành chính cấp huyện
Phụ lục 14: Mẫu bản xác nhận mô tả địa giới hành chính cấp tỉnh
Phụ lục 15: Mẫu mô tả tình hình chung về địa giới hành chính
- Phụ lục 15a: cấp xã; phụ lục 15b: cấp huyện; phụ lục 15c: cấp tỉnh
Phụ lục 16: Hướng dẫn đóng gói hồ sơ địa giới hành chính
- Phụ lục 16a: cấp xã; phụ lục 16b: cấp huyện; phụ lục 16c: cấp tỉnh
Phụ lục 17: Mẫu bìa tập hồ sơ địa giới hành chính các cấp
Phụ lục 18: Mẫu trình bày bìa tập bản đồ địa giới hành chính các cấp
Phụ lục 19: Trình bày các tài liệu về kiểm tra, nghiệm thu
- Phụ lục 19a: Mẫu phiếu ghi ý kiến kiểm tra, nghiệm thu
- Phụ lục 19b: Mẫu biên bản nghiệm thu sản phẩm hồ sơ địa giới hành chính
- Phụ lục 19c: Mẫu bảng danh mục tài liệu đã nghiệm thu
Phụ lục 01 được thay thế bởi Mẫu số 01 Phụ lục ban hành kèm theo Thông tư số 25/2025/TT-BNNMT theo quy định tại Điểm a Khoản 4 Điều 2
PHỤ LỤC 01
QUY CÁCH MỐC ĐÚC BÊ TÔNG THÔNG THƯỜNG

|
TT |
Cấp |
A cm |
B cm |
C cm |
D cm |
E cm |
F cm |
|
1 |
Xã |
30 |
20 |
80 |
30 |
50 |
15 |
|
2 |
Huyện |
35 |
25 |
80 |
30 |
50 |
15 |
|
3 |
Tỉnh |
40 |
30 |
80 |
30 |
50 |
15 |
Kích thước mốc đúc bê tông thông thường
Phụ lục 02 được thay thế bởi Mẫu số 02 Phụ lục ban hành kèm theo Thông tư số 25/2025/TT-BNNMT theo quy định tại Điểm a Khoản 4 Điều 2
PHỤ LỤC 02
MẪU GHI CHÚ TRÊN MẶT MỐC ĐỊA GIỚI HÀNH CHÍNH


|
1,2,3,4 Vị trí 4 ốc vít cách góc của mốc 10 cm Đinh ốc đường kính 8, dài 15 cm, đầu ngoài êcu dài 15 cm (Các ghi chú, chữ, số đều khắc chìm, nét chữ 0,5 cm) |

PHỤ LỤC 03
MẪU BẢN XÁC NHẬN SƠ ĐỒ VỊ TRÍ MỐC ĐGHC
Phụ lục 03a được thay thế bởi Mẫu số 03a Phụ lục ban hành kèm theo Thông tư số 25/2025/TT-BNNMT theo quy định tại Điểm a Khoản 4 Điều 2
Phụ lục 03a: cấp xã
BẢN XÁC NHẬN SƠ ĐỒ VỊ TRÍ MỐC ĐỊA GIỚI HÀNH CHÍNH
Số hiệu mốc:
Thuộc mảnh bản đồ địa hình:

Nơi cắm mốc (nói rõ vị trí):
Tại (gần) thôn (xóm) ………………..Xã……………Huyện……………. Tỉnh.............................
Tại (gần) thôn (xóm) ………………..Xã……………Huyện……………. Tỉnh.............................
Tại (gần) thôn (xóm) ………………..Xã……………Huyện……………. Tỉnh.............................
|
STT |
Tên vật chuẩn |
Số liệu đo từ mốc |
Ghi chú |
|
|
Góc phương vị º ‘ “ |
Khoảng cách (m) |
|||
|
A |
|
|
|
|
|
B |
|
|
|
|
|
C |
|
|
|
|
………,ngày …tháng …..năm...
Địa phương cắm mốc xác nhận
|
TM. UBND |
TM. UBND |
TM. UBND |
TM. UBND |
|
xã………….. |
xã………….. |
xã………….. |
xã………….. |
|
Chức vụ |
Chức vụ |
Chức vụ |
Chức vụ |
|
ký tên, |
ký tên, |
ký tên, |
ký tên, |
|
Họ và tên |
Họ và tên |
Họ và tên |
Họ và tên |
Cấp quản lý chứng thực
|
TM. UBND |
TM. UBND |
TM. UBND |
TM. UBND |
|
huyện …………. |
huyện …………. |
huyện …………. |
huyện …………. |
|
Ngày, tháng, năm |
Ngày, tháng, năm |
Ngày, tháng, năm |
Ngày, tháng, năm |
|
Chức vụ |
Chức vụ |
Chức vụ |
Chức vụ |
|
ký tên, |
ký tên, |
ký tên, |
ký tên, |
|
Họ và tên |
Họ và tên |
Họ và tên |
Họ và tên |
Ghi chú: Nội dung trong sơ đồ mốc vẽ màu như bản đồ địa hình ở tỷ lệ tương ứng
Phụ lục 03b: cấp huyện
BẢN XÁC NHẬN SƠ ĐỒ VỊ TRÍ MỐC ĐỊA GIỚI HÀNH CHÍNH
Số hiệu mốc:
Thuộc mảnh bản đồ địa hình:

Nơi cắm mốc (nói rõ vị trí):
Tại (gần) thôn (xóm) …………………..Xã………………. Huyện …………Tỉnh......................
Tại (gần) thôn (xóm) …………………..Xã………………. Huyện …………Tỉnh......................
Tại (gần) thôn (xóm) …………………..Xã………………. Huyện …………Tỉnh......................
|
STT |
Tên vật chuẩn |
Số liệu đo từ mốc |
Ghi chú |
|
|
Góc phương vị º ‘ “ |
Khoảng cách (m) |
|||
|
A |
|
|
|
|
|
B |
|
|
|
|
|
C |
|
|
|
|
………,ngày …tháng …..năm...
Địa phương cắm mốc xác nhận
|
TM. UBND |
TM. UBND |
TM. UBND |
TM. UBND |
|
huyện …………. |
huyện …………. |
huyện …………. |
huyện …………. |
|
Ngày, tháng, năm |
Ngày, tháng, năm |
Ngày, tháng, năm |
Ngày, tháng, năm |
|
Chức vụ |
Chức vụ |
Chức vụ |
Chức vụ |
|
ký tên, |
ký tên, |
ký tên, |
ký tên, |
|
Họ và tên |
Họ và tên |
Họ và tên |
Họ và tên |
Cấp quản lý chứng thực
|
TM. UBND |
TM. UBND |
TM. UBND |
TM. UBND |
|
tỉnh……….. |
tỉnh……….. |
tỉnh……….. |
tỉnh……….. |
|
Ngày, tháng, năm |
Ngày, tháng, năm |
Ngày, tháng, năm |
Ngày, tháng, năm |
|
Chức vụ |
Chức vụ |
Chức vụ |
Chức vụ |
|
ký tên, |
ký tên, |
ký tên, |
ký tên, |
|
Họ và tên |
Họ và tên |
Họ và tên |
Họ và tên |
Ghi chú: Nội dung trong sơ đồ mốc vẽ màu như bản đồ địa hình ở tỷ lệ tương ứng
Phụ lục 03c được thay thế bởi Mẫu số 03b Phụ lục ban hành kèm theo Thông tư số 25/2025/TT-BNNMT theo quy định tại Điểm a Khoản 4 Điều 2
Phụ lục 03c: cấp tỉnh
BẢN XÁC NHẬN SƠ ĐỒ VỊ TRÍ MỐC ĐỊA GIỚI HÀNH CHÍNH
Số hiệu mốc:
Thuộc mảnh bản đồ địa hình:

Nơi cắm mốc (nói rõ vị trí):
Tại (gần) thôn (xóm) …………………..Xã………………. Huyện …………Tỉnh..................... .
Tại (gần) thôn (xóm) …………………..Xã………………. Huyện …………Tỉnh......................
Tại (gần) thôn (xóm) …………………..Xã………………. Huyện …………Tỉnh......................
|
STT |
Tên vật chuẩn |
Số liệu đo từ mốc |
Ghi chú |
|
|
Góc phương vị º ‘ “ |
Khoảng cách (m) |
|||
|
A |
|
|
|
|
|
B |
|
|
|
|
|
C |
|
|
|
|
….,ngày ……tháng …..năm ...
Địa phương cắm mốc xác nhận
|
TM. UBND |
TM. UBND |
TM. UBND |
TM. UBND |
|
tỉnh……….. |
tỉnh……….. |
tỉnh……….. |
tỉnh……….. |
|
Ngày, tháng, năm |
Ngày, tháng, năm |
Ngày, tháng, năm |
Ngày, tháng, năm |
|
Chức vụ |
Chức vụ |
Chức vụ |
Chức vụ |
|
ký tên, |
ký tên, |
ký tên, |
ký tên, |
|
Họ và tên |
Họ và tên |
Họ và tên |
Họ và tên |
Cấp quản lý chứng thực
|
ĐẠI DIỆN BỘ NỘI VỤ |
|
Ngày, tháng, năm |
|
Chức vụ |
|
ký tên, |
|
Họ và tên |
Ghi chú: Nội dung trong sơ đồ mốc vẽ màu như bản đồ địa hình ở tỷ lệ tương ứng
Phụ lục 04 được thay thế bởi Mẫu số 04 Phụ lục ban hành kèm theo Thông tư số 25/2025/TT-BNNMT theo quy định tại Điểm a Khoản 4 Điều 2
PHỤ LỤC 04
MẪU BẢNG XÁC NHẬN TỌA ĐỘ MỐC ĐGHC CẤP XÃ
BẢNG XÁC NHẬN TỌA ĐỘ MỐC ĐỊA GIỚI HÀNH CHÍNH
Xã …….. huyện ……….. tỉnh………..
Và các
Xã …….. huyện ……….. tỉnh………..
Xã …….. huyện ……….. tỉnh………..
Xã …….. huyện ……….. tỉnh………..
|
STT |
Số hiệu mốc |
Tọa độ |
Độ cao (m) |
Ghi chú |
|
|
X(m) |
Y(m) |
||||
|
1 |
2 |
3 |
4 |
5 |
6 |
|
1 |
|
|
|
|
|
|
2 |
|
|
|
|
|
|
3 |
|
|
|
|
|
|
4 |
|
|
|
|
|
|
… |
|
|
|
|
|
|
Người lập bảng:………….. |
Người kiểm tra:…………. |
|
……ngày .. tháng ... năm……
|
……, ngày….. tháng ... năm……….
|
Phụ lục 05 được thay thế bởi Mẫu số 05 Phụ lục ban hành kèm theo Thông tư số 25/2025/TT-BNNMT theo quy định tại Điểm a Khoản 4 Điều 2
PHỤ LỤC 05
MẪU BẢNG TỌA ĐỘ CÁC ĐIỂM ĐẶC TRƯNG TRÊN ĐƯỜNG ĐGHC CẤP XÃ
BẢNG TỌA ĐỘ CÁC ĐIỂM ĐẶC TRƯNG TRÊN ĐƯỜNG ĐỊA GIỚI HÀNH CHÍNH
THEO ĐOẠN MÔ TẢ: TỪ ………….ĐẾN……………..
Xã……………….Huyện ……………….. Tỉnh……………….
Và xã …………………Huyện …………………. Tỉnh……………
|
STT |
Số hiệu mốc, |
Tọa độ |
Độ cao (m) |
Ghi chú |
|
|
X(m) |
Y(m) |
||||
|
1 |
2 |
3 |
4 |
5 |
6 |
|
1 |
|
|
|
|
|
|
2 |
|
|
|
|
|
|
3 |
|
|
|
|
|
|
4 |
|
|
|
|
|
|
5 |
|
|
|
|
|
|
6 |
|
|
|
|
|
|
… |
|
|
|
|
|
|
Người lập bảng:………….. |
Người kiểm tra:…………. |
|
……ngày .. tháng ... năm……
|
……, ngày….. tháng ... năm……….
|
Phụ lục 06 được thay thế bởi Mẫu số 06 Phụ lục ban hành kèm theo Thông tư số 25/2025/TT-BNNMT theo quy định tại Điểm a Khoản 4 Điều 2
PHỤ LỤC 06
MẪU BẢNG TỌA ĐỘ CÁC MỐC ĐỊA GIỚI HÀNH CHÍNH VÀ ĐIỂM ĐẶC TRƯNG TRÊN ĐƯỜNG ĐGHC CẤP HUYỆN (TỈNH)
BẢNG TỌA ĐỘ CÁC MỐC ĐỊA GIỚI HÀNH CHÍNH VÀ ĐIỂM ĐẶC TRƯNG TRÊN ĐƯỜNG ĐỊA GIỚI HÀNH CHÍNH
THEO ĐOẠN MÔ TẢ: TỪ ………….ĐẾN……………..
Huyện ……………….. Tỉnh……………….
Và Huyện …………………. Tỉnh……………
(Tỉnh ………. và tỉnh …………..)
|
STT |
Số hiệu mốc, |
Tọa độ |
Độ cao (m) |
Ghi chú |
|
|
X(m) |
Y(m) |
||||
|
1 |
2 |
3 |
4 |
5 |
6 |
|
1 |
|
|
|
|
|
|
2 |
|
|
|
|
|
|
3 |
|
|
|
|
|
|
4 |
|
|
|
|
|
|
5 |
|
|
|
|
|
|
6 |
|
|
|
|
|
|
… |
|
|
|
|
|
|
Người lập bảng:………….. |
Người kiểm tra:…………. |
|
……ngày .. tháng ... năm……
|
……, ngày….. tháng ... năm……….
|
Phụ lục 07 được thay thế bởi Mẫu số 07 Phụ lục ban hành kèm theo Thông tư số 25/2025/TT-BNNMT theo quy định tại Điểm a Khoản 4 Điều 2
PHỤ LỤC 07
MẪU BIÊN BẢN BÀN GIAO MỐC ĐGHC
CỘNG HÒA XÃ HỘI CHỦ NGHĨA VIỆT NAM
Độc lập - Tự do - Hạnh phúc
---------------
BIÊN BẢN BÀN GIAO MỐC ĐỊA GIỚI HÀNH CHÍNH
Căn cứ Nghị định số 119/CP ngày 16/9/1994 của Chính phủ ban hành quy định về việc quản lý, sử dụng hồ sơ địa giới, bản đồ địa giới và mốc ĐGHC các cấp;
Thực hiện Nghị quyết số …./ .../NQ-CP ngày……… tháng …… năm …… của Chính phủ về việc ………………………(hoặc là các văn bản của cấp có thẩm quyền về điều chỉnh địa giới hành chính có liên quan đến đơn vị hành chính sở tại)
Ủy ban nhân dân tỉnh ………………..bàn giao cho UBND xã ……………………….có số hiệu sau để bảo quản:
- Mốc ĐGHC cấp tỉnh:
- Mốc ĐGHC cấp huyện:
- Mốc ĐGHC cấp xã:
Trong quá trình bảo quản, nếu phát hiện thấy mốc ĐGHC bị phá hủy, hư hỏng hoặc xê dịch thì UBND các xã có liên quan có trách nhiệm khôi phục lại trong thời hạn nhanh nhất, đồng thời báo cáo lên cấp quản lý cao hơn.
Biên bản này được lưu vào hồ sơ ĐGHC các cấp theo quy định.
……, ngày ... tháng .... năm ....
|
Bên nhận TM. UBND xã ……………. Chủ tịch (ký tên, đóng dấu) |
Bên giao TM. UBND tỉnh ……………. Chủ tịch (ký tên, đóng dấu) |
Phụ lục 08 được thay thế bởi Mẫu số 08 Phụ lục ban hành kèm theo Thông tư số 25/2025/TT-BNNMT theo quy định tại Điểm a Khoản 4 Điều 2
PHỤ LỤC 08
Mẫu ký hiệu bản đồ địa giới hành chính
|
TT |
LOẠI ĐỐI TƯỢNG |
KÝ HIỆU |
GIẢI THÍCH |
|
1 |
Tô bo đường địa giới tỉnh |
|
Địa giới hành chính tỉnh bao ngoài lãnh thổ 15 mm Đoạn 2 cm của địa giới 2 tỉnh khác: mỗi phía rộng 15 mm |
|
2 |
Tô bo đường địa giới huyện |
|
Địa giới hành chính huyện bao ngoài lãnh thổ 10 mm Đoạn 2 cm của địa giới 2 huyện khác: mỗi phía rộng 10 mm Địa giới hành chính huyện trong nội bộ tỉnh: mỗi phía rộng 4 mm |
|
3 |
Tô bo đường địa giới xã |
|
Địa giới hành chính xã bao ngoài lãnh thổ 5 mm Đoạn 2 cm của địa giới 2 xã khác: mỗi phía rộng 5 mm Địa giới hành chính xã trong nội bộ huyện: mỗi phía rộng 2 mm |
|
4 |
Các loại mốc (dùng chung một ký hiệu) |
|
Vòng tròn đường kính 4 mm, weight = 5 |
|
5 |
Số hiệu mốc địa giới tỉnh |
(HB-NB )2T.9 |
Font: VnTimeH, cao 3 mm |
|
6 |
Số hiệu mốc địa giới huyện |
(TH-VH )2H.11 |
Font: VnTimeH, cao 3 mm |
|
7 |
Số hiệu mốc địa giới xã |
(XL-DĐ-MH )3X15 |
Font: VnTimeH, cao 3 mm |
|
8 |
Điểm đặc trưng và số hiệu |
23 |
Vòng tròn đường kính 2,8 mm, weight = 3 |
Ghi chú: Các ký hiệu khác trên bản đồ ĐGHC sử dụng theo quy định ký hiệu của bản đồ địa hình tỷ lệ tương ứng
Phụ lục 09 được thay thế bởi Mẫu số 09 Phụ lục ban hành kèm theo Thông tư số 25/2025/TT-BNNMT theo quy định tại Điểm a Khoản 4 Điều 2
PHỤ LỤC 09
TRÌNH BÀY NGOÀI KHUNG BẢN ĐỒ ĐGHC CÁC CẤP

Phụ lục 10 được thay thế bởi Mẫu số 10 Phụ lục ban hành kèm theo Thông tư số 25/2025/TT-BNNMT theo quy định tại Điểm a Khoản 4 Điều 2
PHỤ LỤC 10
MẪU PHIẾU THỐNG KÊ ĐỊA DANH
PHIẾU THỐNG KÊ ĐỊA DANH DÂN CƯ
Xã ……………. Huyện……………. Tỉnh…………….
Tổng số dân: ... người
Tổng số hộ: ……….hộ
Diện tích tự nhiên: ……ha
|
STT |
Cấp (ấp, buôn, bản, thôn, xóm, tổ, ...) |
Tên đang dùng trong các văn bản (hoặc là tên chính) |
Tên dùng trước khi có tên hiện nay |
|
1 |
|
|
|
|
2 |
|
|
|
|
. |
|
|
|
|
Ngày .... tháng .... năm…. Người lập phiếu: ..................... Người kiểm tra: ..................... |
……., ngày……. tháng …..năm …… TM. UBND xã…………………. Chủ tịch (ký tên, đóng dấu) |
PHIẾU THỐNG KÊ ĐỊA DANH THỦY VĂN
Xã……………. Huyện……………. Tỉnh…………….
|
STT |
Loại (sông, suối, kênh,mương, hồ, đập, cửa biển,..) |
Tên đang dùng trong các văn bản (hoặc là tên chính) |
Tên dùng trước khi có tên hiện nay |
|
1 |
|
|
|
|
2 |
|
|
|
|
. |
|
|
|
|
Ngày .... tháng .... năm…. Người lập phiếu: ..................... Người kiểm tra: ..................... |
……., ngày……. tháng …..năm …… TM. UBND xã…………………. Chủ tịch (ký tên, đóng dấu) |
PHIẾU THỐNG KÊ ĐỊA DANH SƠN VĂN
Xã……………. Huyện……………. Tỉnh…………….
|
STT |
Loại (dãy núi, núi, đồi, đèo, hang động, ...) |
Tên đang dùng trong các văn bản (hoặc là tên chính) |
Tên đùng trước khi có tên hiện nay |
|
1 |
|
|
|
|
2 |
|
|
|
|
. |
|
|
|
|
Ngày .... tháng .... năm…. Người lập phiếu: ..................... Người kiểm tra: ..................... |
……., ngày……. tháng …..năm …… TM. UBND xã…………………. Chủ tịch (ký tên, đóng dấu) |
Phụ lục 11 được thay thế bởi Mẫu số 11 Phụ lục ban hành kèm theo Thông tư số 25/2025/TT-BNNMT theo quy định tại Điểm a Khoản 4 Điều 2
PHỤ LỤC 11
SƠ ĐỒ THUYẾT MINH ĐGHC

Phụ lục 12 được thay thế bởi Mẫu số 12 Phụ lục ban hành kèm theo Thông tư số 25/2025/TT-BNNMT theo quy định tại Điểm a Khoản 4 Điều 2
PHỤ LỤC 12
MẪU BIÊN BẢN XÁC NHẬN MÔ TẢ ĐGHC CẤP XÃ
CỘNG HÒA XÃ HỘI CHỦ NGHĨA VIỆT NAM
Độc lập - Tự do - Hạnh phúc
---------------
BIÊN BẢN XÁC NHẬN MÔ TẢ ĐỊA GIỚI HÀNH CHÍNH
Tuyến ĐGHC giữa
Xã……………………. Huyện ……………… Tỉnh…………………
Và
Xã……………………. Huyện ……………… Tỉnh…………………
Chúng tôi gồm:
1. Ông: ………………….. Chức vụ: Chủ tịch UBND xã ……………………………
2. Ông: ………………….. Chức vụ: Chủ tịch UBND xã ……………………………
Với sự chứng kiến của các:
1. Ông: ………………………….. Chức vụ: ……………………………………………………
2. Ông: ………………………….. Chức vụ: ……………………………………………………
3. Ông: ………………………….. Chức vụ: ……………………………………………………
4. Ông: ………………………….. Chức vụ: ……………………………………………………
5. Ông: ………………………….. Chức vụ: Tổ trưởng, đại diện đơn vị thi công.
Cơ quan thi công: …………………………………………………………………………………….
Sau khi đã cùng nhau xem xét trên bản đồ và đi khảo sát ở thực địa, dọc theo tuyến ĐGHC, chúng tôi thống nhất xác nhận mô tả tuyến ĐGHC giữa hai xã như sau:
Tuyến ĐGHC giữa xã ………………………… trùng với tuyến ĐGHC giữahuyện ……………………(nếu có) nằm trên các mảnh bản đồ địa hình tỷlệ ………………………có các phiên hiệu sau:
………………………………………………………………………………………………………..
Tuyến ĐGHC khởi đầu từ ngã ba địa giới 3 xã: ………………………, đượcđánh dấu trên thực địa bằng mốc bê tông …………………Theo hướng chính là hướng ……………….., đường địa giới chủ yếu đi theo và kết thúc tại ngã ba địagiới ba xã …………………, được đánh dấu trên thực địa bằng mốc bê tông ………………………. (mốc chôn tại ……………. cách ngã ba địa giới ……….m vềphía………………… ).
Tổng chiều dài của tuyến địa giới là ……………..m, gồm …..... mốc địa giới, ....điểm đặc trưng, chia làm…… đoạn; chiều dài các đoạn đo ……………và được mô tả cụ thể như sau:
Đoạn 1: Khởi đầu từ ngã ba địa giới 3 xã: ……………………………, theo hướng Đông-Đông bắc, đường địa giới đi …………………………….., đến điểm đặc trưng số ................ Đoạn …………..địa giới này dài ....m.
………………………
Đoạn ………………Từ điểm đặc trưng số ……, theo hướng ……………………, đường địa giới đi ……………………… ,đến kết thúc tại ngã ba địa giới ba xã: ………………….được đánh dấutrên thực địa bằng mốc bê tông ……………………………………(mốc chôn tại…………………… cách ngã ba địa giới ....m về phía ………). Đoạn địa giới nàydài ....m.
Chúng tôi cam đoan những vấn đề nêu trên là đúng với thực địa, phù hợp với bản đồ ĐGHC, biên bản này có giá trị pháp lý trong công tác quản lý nhà nước đối với các cấp chính quyền từ nay về sau.
Biên bản này làm thành 10 bản có nội dung như nhau. Mỗi UBND xã giữ 05 bản để đưa vào Hồ sơ ĐGHC xã của mình.
Biên bản làm tại xã ………………………..ngày ... tháng ... năm ...
|
TM. UBND xã………………… |
TM. UBND xã………………… |
Người chứng kiến
|
Đại diện Đơn vị thi công (ký, ghi rõ họ tên) |
Đại diện Phòng Nội vụ (ký, ghi rõ họ tên) |
PHỤ LỤC 13
MẪU BẢN XÁC NHẬN MÔ TẢ ĐGHC CẤP HUYỆN
BẢN XÁC NHẬN MÔ TẢ ĐỊA GIỚI HÀNH CHÍNH
Tuyến ĐGHC giữa
Huyện ……………… Tỉnh…………………
Và huyện ………… Tỉnh…………………
Tuyến ĐGHC giữa huyện.......... tỉnh.......... và huyện.......... tỉnh.......... nằm trên ………mảnh bản đồ địa hình tỷ lệ ……… Hệ VN-2000 do Bộ Tài nguyên và Môi trường xuất bản năm ……….., có phiên hiệu sau: ……………………………….
Tuyến ĐGHC khởi đầu từ ngã ba địa giới giữa ba xã, đồng thời là ngã ba địa giới giữa ba huyện: xã.......... huyện.......... tỉnh.........., xã.........., huyện..........và xã.......... huyện.......... tỉnh.......... (đỉnh núi), được đánh dấu trên bản đồ bằng điểm đặc trưng có ký hiệu: (……………….). Hướng chung của đường địa giới là hướng ……………, đường địa giới đi theo sống núi và kết thúc tại ngã ba địa giới giữa ba huyện.........., đồng thời là ngã ba địa giới giữa ba tỉnh..........: huyện.......... và huyện.......... tỉnh.......... , huyện.......... tỉnh.......... (đỉnh cao.......... ), được đánh dấu trên bản đồ bằng điểm đặc trưng có ký hiệu: ( …………….).
Tổng chiều dài toàn tuyến là …………m. Trên tuyến ĐGHC này có ………….mốc, có…………. điểm đặc trưng, chia thành …………đoạn và được mô tả cụ thể như sau:
Đoạn 1: Khởi đầu từ ngã ba địa giới giữa ba xã.........., đồng thời là ngã ba địa giới giữa ba huyện: xã.......... huyện.......... tỉnh.......... , xã.......... huyện.......... và xã.......... huyện.......... tỉnh.......... (đỉnh núi), được đánh dấu trên bản đồ bằng điểm đặc trưng có ký hiệu: (………………. ), theo hướng………, đường địa giới đi theo sống núi đến ngã ba địa giới giữa ba xã: xã.......... huyện.......... tỉnh.........., xã.......... và xã.......... huyện.......... tỉnh.......... (đỉnh cao.......... ), được đánh dấu trên bản đồ bằng điểm đặc trưng có ký hiệu: ( ………..). Đoạn này dài ………….m. Đây chính là tuyến địa giới giữa xã.......... huyện.......... tỉnh.......... và xã.......... huyện.......... tỉnh..........
Đoạn ……: Từ ngã ba địa giới giữa ba xã: xã.......... và xã.......... huyện.......... tỉnh.......... , xã.......... huyện.......... tỉnh.......... (đỉnh núi), được đánh dấu trên bản đồ bằng điểm đặc trưng có ký hiệu: ( ……………….), theo hướng ………….rồi chuyển hướng …………. , đường địa giới đi theo sống núi và kết thúc tại ngã ba địa giới giữa ba xã.........., đồng thời là ngã ba địa giới giữa ba huyện: xã.......... huyện.......... và xã.......... huyện.......... tỉnh.........., xã.......... huyện.......... tỉnh.......... (đỉnh cao.......... ), được đánh dấu trên bản đồ bằng điểm đặc trưng có ký hiệu: ( ………………….). Đoạn này dài …………….m. Đây chính là tuyến địa giới giữa xã ……….huyện……. tỉnh………. và xã ……..huyện……. tỉnh ......
Bản xác nhận mô tả tuyến ĐGHC này được lập trên cơ sở các biên bản xác nhận mô tả tuyến ĐGHC giữa các xã có đường ĐGHC trùng lên đường ĐGHC của hai huyện.
Bản xác nhận mô tả này được làm thành 08 bản có nội dung và giá trị như nhau. Mỗi UBND huyện giữ 04 bản để đưa vào hồ sơ ĐGHC huyện của mình.
|
Ngày ………. tháng…….. năm……… TM. UBND huyện………………… Chủ tịch (ký tên, đóng dấu) |
Ngày ………. tháng…….. năm……… TM. UBND huyện………………… Chủ tịch (ký tên, đóng dấu) |
Phụ lục 14 được thay thế bởi Mẫu số 13 Phụ lục ban hành kèm theo Thông tư số 25/2025/TT-BNNMT theo quy định tại Điểm a Khoản 4 Điều 2
PHỤ LỤC 14
MẪU BẢN XÁC NHẬN MÔ TẢ ĐGHC CẤP TỈNH
BẢN XÁC NHẬN MÔ TẢ ĐỊA GIỚI HÀNH CHÍNH
Tuyến ĐGHC giữa
Tỉnh…………………….
Và tỉnh……………………….
Tuyến ĐGHC giữa tỉnh.......... và tỉnh.......... nằm trên mảnh bản đồ địa hình tỷlệ ……..Hệ VN-2000 do Bộ Tài nguyên và Môi trường xuất bản năm …………….., có phiênhiệu sau: ……….
Tuyến ĐGHC khởi đầu từ ngã ba địa giới giữa ba huyện.........., đồng thời là ngã bađịa giới giữa ba tỉnh: huyện.......... tỉnh.........., huyện.......... và huyện.......... tỉnh..........(đỉnh núi), được đánh dấu trên bản đồ bằng điểm đặc trưng có ký hiệu:(..........). Hướng chung của đường địa giới là hướng ………., đường địa giới đi theosống núi và kết thúc tại ngã ba địa giới giữa ba huyện.........., đồng thời là ngã ba địa giớigiữa ba tỉnh: huyện.......... và huyện.......... tỉnh.........., huyện.......... tỉnh.......... (đỉnh cao..........),được đánh dấu trên bản đồ bằng điểm đặc trưng có ký hiệu: (..........).
Tổng chiều dài toàn tuyến là ………..m. Trên tuyến ĐGHC này không chôn mốc,gồm có ……….điểm đặc trưng, chia thành ………….đoạn và được mô tả cụ thể như sau:
Đoạn 1; khởi đầu từ ngã ba địa giới giữa ba huyện.........., đồng thời là ngã ba địa giớigiữa ba tỉnh: huyện.......... tỉnh.........., huyện.......... và huyện.......... tỉnh.......... (đỉnh núi), được đánh dấu trên bản đồ bằng điểm đặc trưng có ký hiệu: (..........),theo hướng ……., đường địa giới đi theo sống núi đến ngã ba địa giới giữa ba huyện:huyện.......... tỉnh.........., huyện.......... và huyện.......... tỉnh.......... (đỉnh cao..........), được đánhdấu trên bản đồ bằng điểm đặc trưng có ký hiệu: (..........). Đoạn này dài..........m. Đây chínhlà tuyến địa giới giữa huyện.......... tỉnh.......... và huyện.......... tỉnh..........
Đoạn ……: từ ngã ba địa giới giữa ba huyện: huyện.......... và huyện.......... tỉnh.........., huyện.......... tỉnh.......... (đỉnh núi), được đánh dấu trên bản đồ bằng điểmđặc trưng có ký hiệu: (..........), theo hướng ……..rồi chuyển hướng ……….., đườngđịa giới đi theo sống núi và kết thúc tại ngã ba địa giới giữa ba huyện.........., đồng thời là ngãba địa giới giữa ba tỉnh: huyện.......... và huyện.......... tỉnh.........., huyện.......... tỉnh.......... (đỉnh cao.......... ), được đánh dấu trên bản đồ bằng điểm đặc trưngcó ký hiệu: (..........). Đoạn này dài..........m. Đây chính là tuyến địa giới giữa huyện.......... tỉnh.......... và huyện.......... tỉnh..........
Bản xác nhận mô tả tuyến ĐGHC này được lập trên cơ sở các biên bản xác nhận mô tả tuyến ĐGHC giữa các huyện có đường ĐGHC trùng lên đường ĐGHC của hai tỉnh.
Bản xác nhận mô tả này được làm thành 08 bản có nội dung và giá trị như nhau. Mỗi UBND tỉnh giữ 04 bản để đưa vào hồ sơ ĐGHC tỉnh của mình.
|
Ngày ……. tháng…….. năm……… TM. UBND tỉnh………………… Chủ tịch (ký tên, đóng dấu) |
Ngày ……. tháng…….. năm……… TM. UBND tỉnh………………… Chủ tịch (ký tên, đóng dấu) |
PHỤ LỤC 15
Mẫu Bản mô tả tình hình chung về ĐGHC
Phụ lục 15a được thay thế bởi Mẫu số 14a Phụ lục ban hành kèm theo Thông tư số 25/2025/TT-BNNMT theo quy định tại Điểm a Khoản 4 Điều 2
Phụ lục 15a: cấp xã
MÔ TẢ TÌNH HÌNH CHUNG VỀ ĐỊA GIỚI HÀNH CHÍNH
Xã………. Huyện ………. Tỉnh ……….
Xã………., huyện………., tỉnh ……….được thành lập theo Nghị định số / /NĐ-CP ngày / / của Chính phủ, trên cơ sở ………., có vị trí địa lý nằm ở phía………. của huyện ………., tỉnh ………. (*)
Phía………… giáp với xã ………., huyện ………., tỉnh ……….
Phía………… giáp với xã ………., huyện ………., tỉnh ……….
Phía………… giáp với xã ………., huyện ………., tỉnh ……….
Tổng chiều dài toàn tuyến là ……………..m, trong đó:
Với xã …………….., dài ……………..m
Với xã …………….., dài ……………..m
Với xã …………….., dài ……………..m
Đường ĐGHC chủ yếu đi theo ………………………………………..Gồm …….mốc ĐGHC.
Trong đó:
- Mốc ba mặt: ………………………..
- Mốc hai mặt: ………………………..
Các tuyến địa giới đã được UBND xã ………………………..và các xã, (phường, thị trấn) liên quan xác nhận trên thực địa, lập biên bản xác nhận mô tả tuyến ĐGHC; cắm mốc địa giới và lập bản xác nhận sơ đồ vị trí mốc, lập bản đồ ĐGHC.
Các mốc địa giới, ngã ba địa giới và điểm đặc trưng đều được đo tọa độ và thống kê theo bảng riêng.
Ghi chú:
- Mục (*) đối với các xã chỉ điều chỉnh một phần diện tích tự nhiên thì phần đầu bản mô tả chung bổ sung là: “Xã ……………., huyện ……………. tỉnh ……………., được điều chỉnh theo Nghị định số / /NĐ-CP ngày …………….của Chính phủ, trên cơ sở ……………., có vị trí địa lý nằm ở phía …………….của huyện…………….tỉnh …………….”, (tiếp theo mô tả như trên).
- Mục (*) đối với các xã có liên quan (không điều chỉnh về diện tích tự nhiên) thì phần đầu bản mô tả chung bổ sung là: “Khi thực hiện Chỉ thị 364/CT của Chủ tịch Hội đồng Bộ trưởng (nay là Thủ tướng Chính phủ), xã ……………., huyện ……………., tỉnh……………. ……………. Nay thực hiện Nghị định số / /NĐ-CP ngày …………….của Chính phủ, xã ……………... (nêu tình hình điều chỉnh; hoặc có số thay đổi giáp ranh một số tuyến với xã liên quan); có vị trí địa lý nằm ở phía …………….của huyện …………….tỉnh …………….”, (tiếp theo mô tả như trên).
|
Ngày ……. tháng…….. năm……… Người lập:…………………………… Người kiểm tra………………………. |
Ngày ……. tháng…….. năm……… TM. UBND xã………………… Chủ tịch (ký tên, đóng dấu) |
Phụ lục 15b:Cấp huyện
MÔ TẢ TÌNH HÌNH CHUNG VỀ ĐỊA GIỚI HÀNH CHÍNH
Huyện………………………… Tỉnh …………………………
Dân số: …………………………người
Tổng số hộ: …………………………hộ
Diện tích tự nhiên: …………………ha
Huyện ……….nằm ở phía………. của tỉnh, có diện tích tự nhiên là ... ha, dân số …….người (tính đến tháng ... năm……), có ... thị trấn và ...xã.
Huyện ……….tiếp giáp với ……………..huyện cùng tỉnh, với các huyện………. của tỉnh ………., với (nước nào) và giáp biển ở phía ………. với tổng chiều dài đường ĐGHC (kể cả tuyến trùng lên cấp tỉnh, Quốc giới, đường bờ biển) là ………. km. Đường ĐGHC cấp huyện trên thực địa chủ yếu chạy ………. (nêu khái quát như chạy theo sông, suối, đường phân thủy, tụ thủy, theo bờ vùng, bờ thửa ....) và tiếp giáp với huyện, tỉnh khác như sau:
- Phía Bắc giáp huyện (huyện cùng tỉnh), tuyến ĐGHC dài ……….km.
- Phía Đông giáp huyện ……….tỉnh ………., tuyến ĐGHC dài ……….km.
……….……….……….……….……….……….……….……….……….……….……….
Trên đường ĐGHC các cấp của huyện đã cắm ……….mốc. Trong đó mốc cấp tỉnh là ………., mốc cấp huyện ………., mốc cấp xã ……….
Trên địa bàn cả huyện có ………. tuyến ĐGHC cấp xã, với tổng chiều dài là ………. km, trong đó trùng lên ĐGHC cấp tỉnh là ……….tuyến, trùng lên ĐGHC cấp huyện là ……….tuyến và có ……….xã giáp với nước ……….
Bản đồ ĐGHC cấp xã của huyện được thành lập năm ……….trên nền bản đồ địa hình tỷ lệ ………. do ……….xuất bản năm………. Đã làm hoàn chỉnh hồ sơ của ……….xã, thị trấn.
Bản đồ ĐGHC cấp huyện thành lập trên nền bản đồ địa hình tỷ lệ ……….do ………. xuất bản năm ………., bằng phương pháp ………. từ các bộ bản đồ ĐGHC của cấp xã. Bộ bản đồ ĐGHC cấp huyện gồm ……….tờ, có phiên hiệu sau: ……….và được đóng thành tập.
Các mốc ĐGHC, các tuyến ĐGHC trên địa bàn cả huyện đã được UBND cấp xã, huyện có liên quan xác định tại thực địa, cắm mốc, lập bản xác nhận sơ đồ vị trí mốc ĐGHC, lập biên bản xác nhận mô tả ĐGHC, đã được thể hiện trên bản đồ ĐGHC của huyện và đã được xác nhận, chứng thực theo quy định.
|
Ngày ……. tháng…….. năm……… Người lập:…………………………… Người kiểm tra………………………. |
Ngày ……. tháng…….. năm……… TM. UBND huyện………………… Chủ tịch (ký tên, đóng dấu) |
Phụ lục 15c được thay thế bởi Mẫu số 14b Phụ lục ban hành kèm theo Thông tư số 25/2025/TT-BNNMT theo quy định tại Điểm a Khoản 4 Điều 2
Phụ lục 15c: cấp tỉnh
MÔ TẢ TÌNH HÌNH CHUNG VỀ ĐỊA GIỚI HÀNH CHÍNH
Tỉnh……………….
Dân số: …………………người
Tổng số hộ: …………….….hộ
Diện tích tự nhiên: ………..ha
Tỉnh ………..nằm ở ………..có diện tích tự nhiên là ... ha, dân số ……….. người (tính đến tháng ... năm ………), có ………..thành phố, ………..quận, ………..huyện với ……….. phường, ………..thị trấn và ………..xã.
Đường ĐGHC của tỉnh dài ………..km, trên thực địa chủ yếu chạy ... và tiếp giáp với các tỉnh ……….., nước……………… cụ thể như sau:
- Phía Bắc giáp nước ………..đoạn quốc giới dài ………..km.
- Phía Đông giáp tỉnh ……….., tuyến ĐGHC dài……….. km.
……………………………………………………………………..
Trên đường ĐGHC các cấp của tỉnh đã cắm……….. mốc. Trong đó cấp tỉnh là ……….. mốc, cấp huyện ………..mốc và cấp xã ………..mốc,
Trên địa bàn cả tỉnh có……….. tuyến ĐGHC cấp xã, dài ……….. km, có ……….. tuyến ĐGHC cấp huyện dài ……….. km, có ………..huyện giáp với nước và có……….. huyện giáp với biển ……….. số tuyến ĐGHC cấp xã trùng lên ĐGHC cấp huyện là ……….. tuyến. Trên đường ĐGHC cấp tỉnh có ……….. tuyến ĐGHC cấp huyện và……….. tuyến ĐGHC cấp xã đi trùng lên.
Bản đồ ĐGHC cấp xã được thành lập năm……….. trên nền bản đồ địa hình tỷ lệ ……….. do xuất bản năm ………..đã làm đầy đủ cho.... xã.
Bản đồ ĐGHC cấp huyện được thành lập năm……….. trên nền bản đồ địa hình tỷ lệ ………..do ………..xuất bản năm……….. Đã làm đầy đủ cho…… huyện.
Bản đồ ĐGHC của tỉnh thành lập trên nền bản đồ địa hình tỷ lệ ……….. do ……….. xuất bản năm ……….., bằng phương pháp ……….. từ các bộ bản đồ ĐGHC của cấp xã, huyện. Bộ bản đồ ĐGHC cấp tỉnh gồm ………..tờ, có phiên hiệu sau: ………..và được đóng thành tập.
Các mốc ĐGHC, các tuyến ĐGHC trên địa bàn cả tỉnh đã được UBND cấp xã, huyện, tỉnh có liên quan xác định tại thực địa, cắm mốc, lập bản xác nhận sơ đồ vị trí mốc ĐGHC, lập biên bản xác nhận mô tả ĐGHC, đã được thể hiện trên bản đồ ĐGHC các cấp, có xác nhận, chứng thực theo quy định.
|
Ngày ……. tháng…….. năm……… Người lập:…………………………… Người kiểm tra………………………. |
Ngày ……. tháng…….. năm……… TM. UBND tỉnh………………… Chủ tịch (ký tên, đóng dấu) |
PHỤ LỤC 16
HƯỚNG DẪN ĐÓNG GÓI HỒ SƠ ĐGHC
Phụ lục 16a được thay thế bởi Mẫu số 15a Phụ lục ban hành kèm theo Thông tư số 25/2025/TT-BNNMT theo quy định tại Điểm a Khoản 4 Điều 2
Phụ lục 16a: cấp xã
BẢN THỐNG KÊ DANH MỤC CÁC TÀI LIỆU
|
1. Bản sao các văn bản pháp lý về thành lập xã và điều chỉnh ĐGHC xã của cơ quan |
||
|
nhà nước có thẩm quyền: |
Số lượng …...bản |
Từ trang ....đến trang |
|
2. Bản xác nhận sơ đồ vị trí mốc ĐGHC |
Số lượng …...bản |
Từ trang ....đến trang |
|
3. Bảng xác nhận tọa độ các mốc ĐGHC |
Số lượng …...bản |
Từ trang ....đến trang |
|
4. Bảng tọa độ các điểm đặc trưng trên đường ĐGHC |
Số lượng …...bản |
Từ trang ....đến trang |
|
5. Mô tả tình hình chung về ĐGHC |
Số lượng …...bản |
Từ trang ....đến trang |
|
6. Biên bản xác nhận mô tả ĐGHC |
Số lượng …...bản |
Từ trang ....đến trang |
|
7. Phiếu thống kê địa danh dân cư |
Số lượng …...bản |
Từ trang ....đến trang |
|
8. Phiếu thống kê địa danh thủy văn |
Số lượng …...bản |
Từ trang ....đến trang |
|
9. Phiếu thống kê địa danh sơn văn |
Số lượng …...bản |
Từ trang ....đến trang |
|
10. Biên bản bàn giao mốc ĐGHC |
Số lượng …...bản |
Từ trang ....đến trang |
|
11. Bộ bản đồ ĐGHC |
Số lượng …...mảnh |
|
|
12. Các tài liệu khác liên quan (nếu có): |
Số lượng …... |
|
Phụ lục 16b: cấp huyện
BẢN THỐNG KÊ DANH MỤC CÁC TÀI LIỆU
|
1. Bản sao văn bản của cơ quan nhà nước có thẩm quyền về thành lập huyện và điều |
||
|
chỉnh ĐGHC |
Số lượng …...bản |
Từ trang ....đến trang |
|
2. Bản xác nhận sơ đồ vị trí mốc ĐGHC |
Số lượng …...bản |
Từ trang ....đến trang |
|
3. Bảng tọa độ các mốc và các điểm đặc trưng trên đường ĐGHC |
Số lượng …...bản |
Từ trang ....đến trang |
|
4. Mô tả tình hình chung về ĐGHC |
Số lượng …...bản |
Từ trang ....đến trang |
|
5. Bản xác nhận mô tả đường ĐGHC |
Số lượng …...bản |
Từ trang ....đến trang |
|
6. Bộ bản đồ ĐGHC |
Số lượng …...mảnh |
|
Phụ lục 16c được thay thế bởi Mẫu số 15b Phụ lục ban hành kèm theo Thông tư số 25/2025/TT-BNNMT theo quy định tại Điểm a Khoản 4 Điều 2
Phụ lục 16c: cấp tỉnh
BẢN THỐNG KÊ DANH MỤC CÁC TÀI LIỆU
|
1. Bản sao văn bản của cơ quan nhà nước có thẩm quyền về thành lập tỉnh và điều |
||
|
chỉnh ĐGHC |
Số lượng …...bản |
Từ trang ....đến trang |
|
2. Bản xác nhận sơ đồ vị trí mốc ĐGHC |
Số lượng …...bản |
Từ trang ....đến trang |
|
3. Bảng tọa độ các mốc và các điểm đặc trưng trên đường ĐGHC |
Số lượng …...bản |
Từ trang ....đến trang |
|
4. Mô tả tình hình chung về ĐGHC |
Số lượng …...bản |
Từ trang ....đến trang |
|
5. Bản xác nhận mô tả đường ĐGHC |
Số lượng …...bản |
Từ trang ....đến trang |
|
6. Bộ bản đồ ĐGHC |
Số lượng …...mảnh |
|
Phụ lục 17 được thay thế bởi Mẫu số 16a và 16b Phụ lục ban hành kèm theo Thông tư số 25/2025/TT-BNNMT theo quy định tại Điểm a Khoản 4 Điều 2

Phụ lục 18 được thay thế bởi Mẫu số 17a và 17b Phụ lục ban hành kèm theo Thông tư số 25/2025/TT-BNNMT theo quy định tại Điểm a Khoản 4 Điều 2
PHỤ LỤC 18
MẪU TRÌNH BÀY BÌA TẬP BẢN ĐỒ ĐỊA GIỚI HÀNH CHÍNH

Ghi chú:
- Tại phụ lục 17, 18 đối với hồ sơ cấp huyện (hoặc tỉnh) thì dòng tên xã, được thay thế vị trí dòng tên huyện (hoặc tỉnh) tương ứng.
- Đối với các dãn cách là 130, 100 mm thì giảm đi tương ứng đối với bản đồ tỷ lệ nhỏ (1/25.000 và 1/50.000)
PHỤ LỤC 19
CÁC TÀI LIỆU KIỂM TRA, NGHIỆM THU
Phụ lục 19a được thay thế bởi Mẫu số 18a Phụ lục ban hành kèm theo Thông tư số 25/2025/TT-BNNMT theo quy định tại Điểm a Khoản 4 Điều 2
Phụ lục 19a: Mẫu Phiếu ghi ý kiến kiểm tra, nghiệm thu
PHIẾU GHI Ý KIẾN KIỂM TRA NGHIỆM THU
Tên thành quả: ................................................................................................................
Người sản xuất ……………………………..Người kiểm tra ...................................................
Ngày kiểm tra …………………..
|
Số hiệu |
Trang |
Dòng |
Nội dung vấn đề |
Ý kiến kiểm tra |
Ý kiến kiểm tra lại |
Tình hình sửa chữa |
|
|
|
|
|
|
|
|
|
|
|
|
|
|
|
|
|
|
|
|
|
|
|
|
|
|
|
|
|
|
|
|
|
|
|
|
|
|
|
|
|
|
|
|
|
|
|
|
|
|
|
|
|
|
|
|
|
|
|
|
|
|
|
|
|
|
|
|
|
|
|
|
|
|
|
|
|
|
|
|
|
|
|
|
|
|
|
|
|
|
|
|
|
|
|
|
|
Người được kiểm tra |
Người kiểm tra |
Phụ lục 19b được thay thế bởi Mẫu số 18b Phụ lục ban hành kèm theo Thông tư số 25/2025/TT-BNNMT theo quy định tại Điểm a Khoản 4 Điều 2
Phụ lục 19b : Mẫu Biên bản nghiệm thu sản phẩm hồ sơ ĐGHC
|
Tỉnh:…………………………… Huyện…………………………. Xã:.......................................... |
CỘNG HÒA XÃ HỘI CHỦ NGHĨA VIỆT NAM |
|
|
……….., ngày…. tháng…. năm… |
BIÊN BẢN NGHIỆM THU SẢN PHẨM HỒ SƠ ĐGHC
TỈNH: ………………………………
(Theo Dự án, Thiết kế KT-DT...)
Phần Hồ sơ ĐGHC cấp xã (huyện, tỉnh)
Chúng tôi gồm:
1. Ông (bà)…………………………. Chức vụ…………………. Đại diện ……………………
2. Ông (bà)…………………………. Chức vụ…………………. Đại diện ……………………
3. Ông (bà)…………………………. Chức vụ…………………. Đại diện ……………………
Có sự chứng kiến của
1. Ông (bà)…………………………. Chức vụ…………………. Đại diện ……………………
2. Ông (bà)…………………………. Chức vụ…………………. Đại diện ……………………
3. Ông (bà)…………………………. Chức vụ…………………. Đại diện ……………………
Đã tiến hành kiểm tra, nghiệm thu hồ sơ ĐGHC cấp xã (huyện, tỉnh) do ……………….thực hiện
Kết quả kiểm tra nghiệm thu như sau
1. Tổ chức và phương pháp kiểm tra nghiệm thu: (nêu ngắn gọn về tổ chức và phương pháp đã tiến hành kiểm tra nghiệm thu).
2. Tài liệu đã giao nộp để kiểm tra, nghiệm thu (thống kê đầy đủ)
3. Kết quả kiểm tra chất lượng sản lượng.
(Nêu trình tự kết quả chất lượng đối với từng loại hồ sơ)
A- Hồ sơ địa giới hành chính cấp xã.
B- Hồ sơ địa giới hành chính cấp huyện
C- Hồ sơ địa giới hành chính cấp tỉnh
Mỗi chủng loại công việc, mỗi loại tài liệu cần nêu rõ tổng khối lượng, số lượng đã kiểm tra trong phòng, ngoài thực địa, tỷ lệ kiểm tra, chất lượng đạt được.
Nhận xét và đánh giá
Nhận xét chung về kết quả đo các đơn vị sản xuất thực hiện đã được các cấp nghiệm thu. Đánh giá cụ thể các hồ sơ nào đạt, mức độ; Hồ sơ nào không đạt, lý do. Kiến nghị biện pháp khắc phục cụ thể, khối lượng công việc đã hoàn thành.
|
Ngày tháng năm Đại diện đơn vị thi công (Ký tên, đóng dấu) |
Ngày tháng năm Đại diện UBND cấp kiểm tra (Ký tên, đóng dấu) |
Phụ lục 19c được thay thế bởi Mẫu số 18c Phụ lục ban hành kèm theo Thông tư số 25/2025/TT-BNNMT theo quy định tại Điểm a Khoản 4 Điều 2
Phụ lục 19c: Mẫu Bảng danh mục tài liệu đã nghiệm thu
BẢNG DANH MỤC TÀI LIỆU ĐÃ NGHIỆM THU
(Kèm theo biên bản kiểm tra nghiện thu…..ngày…..tháng ….năm …..)
Hồ sơ địa giới hành chính …………………………………………………………………
|
STT |
Loại sản phẩm |
Đơnvị |
Hình thức và khối lượng nghiệm thu |
Phân loại |
Thời gian nghiệm thu |
Ghi chú |
|
|
|
|
|
|
|
|
|
|
|
|
|
|
|
|
|
|
|
|
|
|
|
|
|
|
|
|
|
|
|
|
|
|
|
|
|
|
|
|
|
|
|
|
|
|
|
|
|
|
|
|
|
|
|
|
|
|
|
|
|
|
|
|
|
|
|
|
|
|
|
|
|
|
|
|
|
|
|
|
|
|
|
|
|
|
|
|
|
Ngày… tháng ….năm…….. Ý kiến người được nghiệm thu (Ghi rõ ý kiến đồng ý, không đồng ý)
(Ký ghi rõ họ tên) |
Ngày… tháng ….năm…….. Người nghiệm thu
(Ký ghi rõ họ tên) |
Bạn chưa Đăng nhập thành viên.
Đây là tiện ích dành cho tài khoản thành viên. Vui lòng Đăng nhập để xem chi tiết. Nếu chưa có tài khoản, vui lòng Đăng ký tại đây!
Bạn chưa Đăng nhập thành viên.
Đây là tiện ích dành cho tài khoản thành viên. Vui lòng Đăng nhập để xem chi tiết. Nếu chưa có tài khoản, vui lòng Đăng ký tại đây!




